Benvenuto Ospite

Forum Entomologi Italiani

www.entomologiitaliani.net/forum
 
Oggi è 21/04/2026, 19:08

Tutti gli orari sono UTC + 1 ora [ ora legale ]

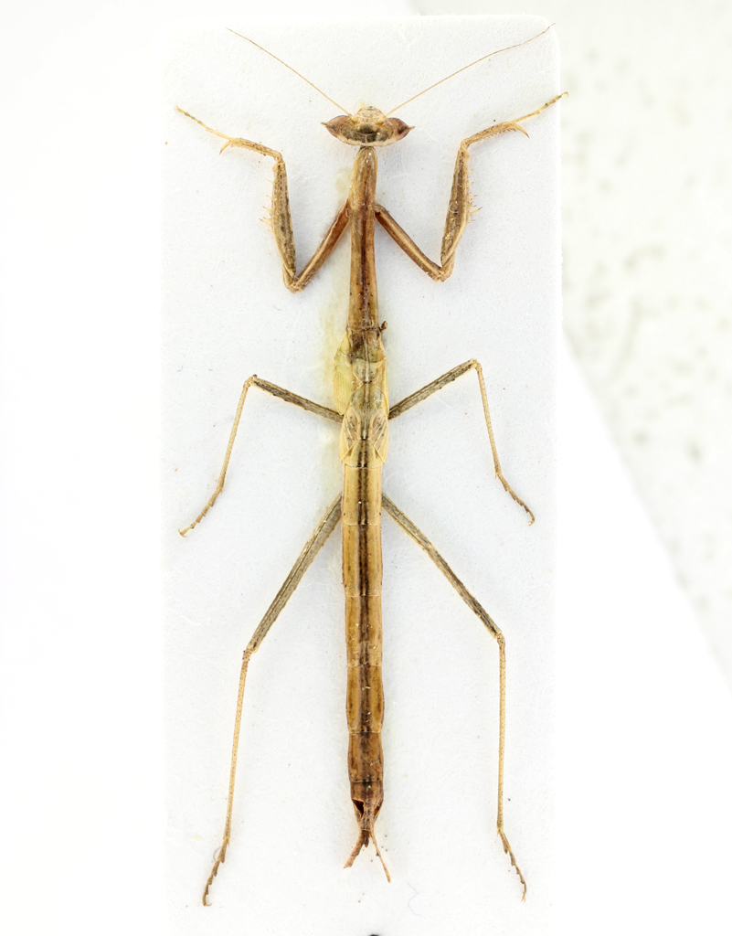
Oxyothespis dumonti Chopard, 1941 - Mantodea

21.V.2004 - TUNISIA - EE, Kef Derbi, 28 km N di Gafsa leg. D. Sechi


nuovo argomento
rispondi
Pagina 1 di 1 [ 4 messaggi ]
Autore Messaggio
MessaggioInviato: 30/08/2014, 19:15 
Avatar utente

Iscritto il: 04/02/2009, 17:49
Messaggi: 5557
Località: Cagliari
Nome: Daniele Sechi
Lunghezza mm 26 (cerci esclusi).
mantide1 rid.jpg


_________________
:hi:
Daniele


Top
profilo
 Oggetto del messaggio: Re: Mantodea 2
MessaggioInviato: 30/08/2014, 20:03 
Avatar utente

Iscritto il: 19/06/2012, 14:35
Messaggi: 5666
Località: Alfonsine (RA)
Nome: Marco Villani
Femmina sub-adulta di Oxyothespis. Per questa ho bisogno di un po di tempo, ma alla specie dovrei arrivarci ;)


Top
profilo
 Oggetto del messaggio: Re: Mantodea 2
MessaggioInviato: 30/08/2014, 20:14 
Avatar utente

Iscritto il: 19/06/2012, 14:35
Messaggi: 5666
Località: Alfonsine (RA)
Nome: Marco Villani
Trovata: Oxyothespis dumonti Chopard, 1941 ;)


Top
profilo
 Oggetto del messaggio: Re: Mantodea 2
MessaggioInviato: 30/08/2014, 23:44 
Avatar utente

Iscritto il: 04/02/2009, 17:49
Messaggi: 5557
Località: Cagliari
Nome: Daniele Sechi
Ottimo Marco, grazie ancora! :hp:

_________________
:hi:
Daniele


Top
profilo
Visualizza ultimi messaggi:  Ordina per  
nuovo argomento
rispondi
Pagina 1 di 1 [ 4 messaggi ]

Tutti gli orari sono UTC + 1 ora [ ora legale ]


Chi c’è in linea

Visitano il forum: Nessuno e 2 ospiti


Non puoi aprire nuovi argomenti
Non puoi rispondere negli argomenti
Non puoi modificare i tuoi messaggi
Non puoi cancellare i tuoi messaggi
Non puoi inviare allegati

Cerca per:
Vai a: