Forum Entomologi Italiani
https://www.entomologiitaliani.net/public/forum/phpBB3/

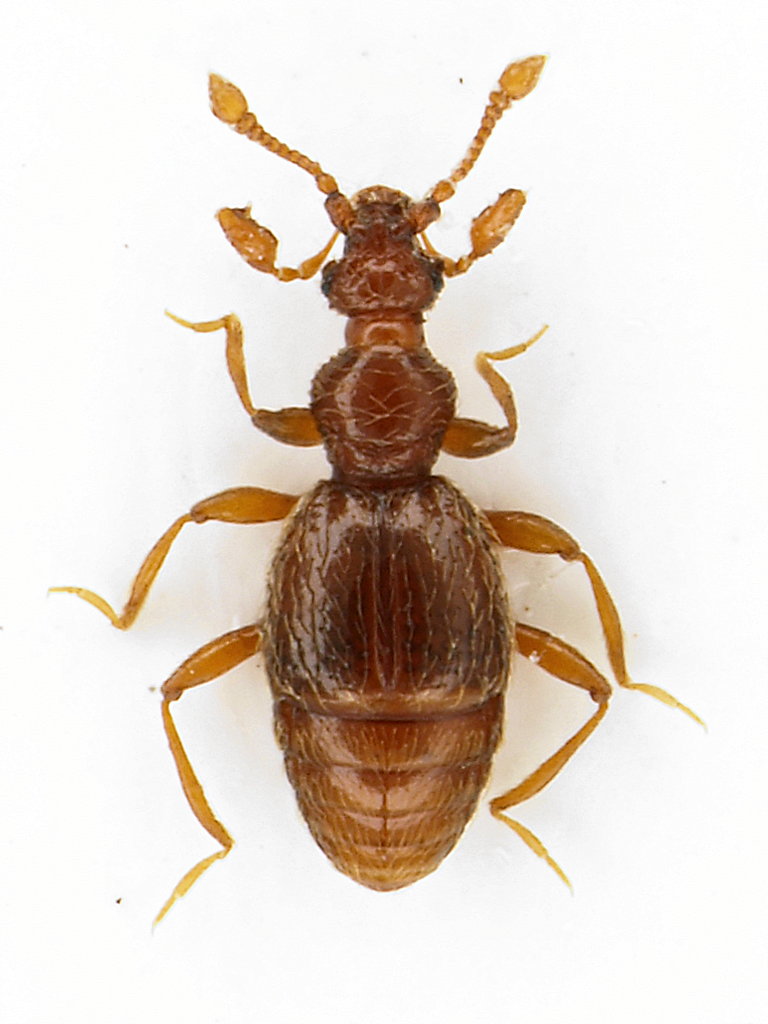
Bryaxis sp. - Staphylinidae Pselaphinae
https://www.entomologiitaliani.net/public/forum/phpBB3/viewtopic.php?f=345&t=11860
Pagina 1 di 1

Autore:  Julodis [ 13/09/2010, 15:44 ]
Oggetto del messaggio:  Bryaxis sp. - Staphylinidae Pselaphinae

Sempre dai muschi, questo Pselaphidae, o meglio, Staphylinidae Pselaphinae:

Lazio, Frosinone, Trevi nel Lazio, 800 m, muschi nel bosco misto, 11.IX.2010, M. Gigli legit
1,75 mm
Pselaphydae_Trevi_11-IX-2010.jpg


Autore:  Julodis [ 13/09/2010, 15:50 ]
Oggetto del messaggio:  Re: Staphylinidae Pselaphinae - Lazio

Mi sono accorto che coi palpi ripiegati non si capisce come è fatta la testa, quindi mando un'altra foto coi palpi estesi.

Pselaphydae_Trevi_11-IX-2010_b.jpg



Purtroppo in questo periodo non posso usare il microscopio per fotografare questi minuscoli esseri, e con lo stativo più di questo non riesco a fare.

Autore:  Julodis [ 02/10/2010, 15:46 ]
Oggetto del messaggio:  Re: Staphylinidae Pselaphinae - Lazio

Nessuno riesce ad arrivare almeno al genere?

Autore:  Honza [ 02/10/2010, 17:54 ]
Oggetto del messaggio:  Re: Staphylinidae Pselaphinae - Lazio

Staphylinidae - Pselaphinae - Bryaxis sp. (femminile)

Pagina 1 di 1 Tutti gli orari sono UTC + 1 ora [ ora legale ]
Powered by phpBB® Forum Software © phpBB Group
http://www.phpbb.com/