| Autore |
Messaggio |
|
eremicus
|
Inviato: 16/03/2013, 18:41 |
|
Iscritto il: 05/02/2009, 17:36 Messaggi: 780
Nome: Attilio Carapezza
|
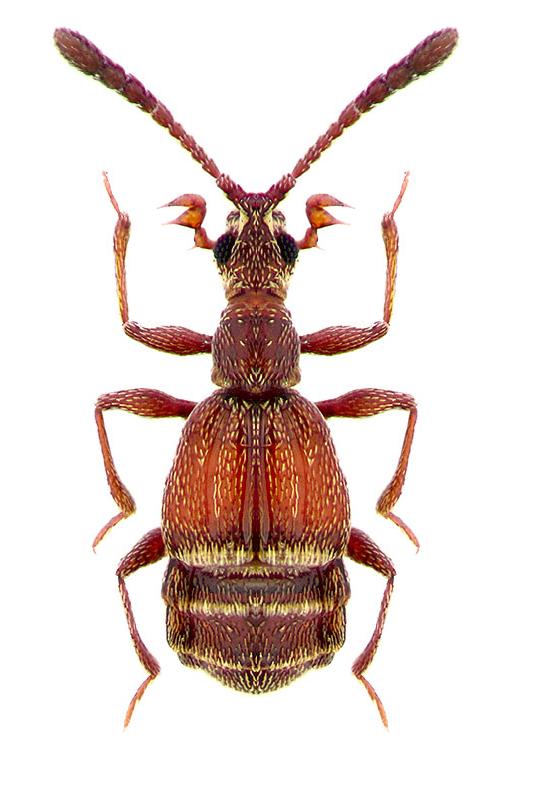
La recente comparsa di tanti Pselaphinae sul Forum mi ha fatto tornare alla memoria di averne raccolto un esemplare venti anni fa nella piccola isola di Tinos (Grecia, arcipelago delle Cicladi); di che si tratta?
|
|
| Top |
|
 |
|
strepens
|
Inviato: 16/03/2013, 18:55 |
|
Iscritto il: 25/01/2012, 21:39 Messaggi: 496 Località: athens, greece
Nome: Kakiopoulos George
|
|
hello !!! It seems to the genus Ctenistes, probably C. palpalis, female sex. George
|
|
| Top |
|
 |
|
Honza
|
Inviato: 16/03/2013, 20:15 |
|
Iscritto il: 09/11/2009, 14:12 Messaggi: 5187 Località: Hradec Kralove,Czech republik
Nome: Jan Matějíček
|
Ctenistes palpalis Reichenbach, 1816
_________________ Research Fields Taxonomy, ecology, biomonitoring , faunistic of Staphylinidae
|
|
| Top |
|
 |
|
Loriscola
|
Inviato: 18/03/2013, 9:14 |
|
Iscritto il: 05/02/2009, 17:25 Messaggi: 4894 Località: Zola Predosa (BO)
Nome: Loris Colacurcio
|
Sempre una splendida bestia, purtroppo l'ho trovata una sola volta.... Controllando sul catalogo di Lobl&Smetana, visto che non conosco la fauna greca, dovrebbe esserci solo la specie palpalis, indi per cui dovrebbe essere proprio lei. 
_________________ Loris
|
|
| Top |
|
 |
|
Honza
|
Inviato: 18/03/2013, 9:48 |
|
Iscritto il: 09/11/2009, 14:12 Messaggi: 5187 Località: Hradec Kralove,Czech republik
Nome: Jan Matějíček
|
|
Ctenistes palpalis questi siti (estrarre dal mio database)
Ctenistes palpalis-Lo-CO-Como-Como Ctenistes palpalis-Lo-LC-Rogeno-Rogeno Ctenistes palpalis-Lo-MI-Milano-Milano Ctenistes palpalis-Lo-MN-Ponti sul Mincio Ctenistes palpalis-Lo-PV-Pavia-Prov. di Pavia
Ctenistes palpalis-Pi-AL-Stazzano Ctenistes palpalis-Pi-AT-Castelnuovo Don Bosco-Castelnuovo Don Bosco Ctenistes palpalis-Pi-TO-Pecetto Torinese Ctenistes palpalis-Pi-TO-Torino
Ctenistes palpalis-Li-GE-Begato-Genova Begato Ctenistes palpalis-Li-GE-Busalla-Busalla Ctenistes palpalis-Li-GE-Genova-Genova Belvedere Ctenistes palpalis-Li-GE-Genova-Genova dint. Ctenistes palpalis-Li-GE-Genova-Genova Lagaccio Ctenistes palpalis-Li-GE-Sturla-Genova Boccadasse Ctenistes palpalis-Li-GE-N.S. della Vittoria Ctenistes palpalis-Li-SV-Carcare
Ctenistes palpalis-Em-FO-San Lorenzo in Noceto- Ctenistes palpalis-Em-FO-Tevere, le Vene del--Sorgenti del Tevere Ctenistes palpalis-Em-MO-Carpi Ctenistes palpalis-Em-MO-Casinalbo Ctenistes palpalis-Em-MO-Modena Ctenistes palpalis-Em-PR-Casanova
_________________ Research Fields Taxonomy, ecology, biomonitoring , faunistic of Staphylinidae
|
|
| Top |
|
 |
|
MAPKOΣ
|
Inviato: 18/03/2013, 9:52 |
|
Iscritto il: 10/10/2011, 22:02 Messaggi: 1329 Località: Reggio Emilia
Nome: Malavasi Marco
|
|
ciao Jan potrei sapere il legit dell'esemplare di Carpi ? Ctenistes palpalis-Em-MO-Carpi anche in MP grazie Marco
|
|
| Top |
|
 |
|
Honza
|
Inviato: 18/03/2013, 9:55 |
|
Iscritto il: 09/11/2009, 14:12 Messaggi: 5187 Località: Hradec Kralove,Czech republik
Nome: Jan Matějíček
|
Angelini lgt. (1974) 
_________________ Research Fields Taxonomy, ecology, biomonitoring , faunistic of Staphylinidae
|
|
| Top |
|
 |
|
MAPKOΣ
|
Inviato: 18/03/2013, 10:00 |
|
Iscritto il: 10/10/2011, 22:02 Messaggi: 1329 Località: Reggio Emilia
Nome: Malavasi Marco
|
Grazie ! io sono nato a Carpi sono spesso li' adesso vedo di conoscere di persona questo entomologo magari ancora vive la' chissa' in che anno e' stato trovato ? Thanks a lot 
|
|
| Top |
|
 |
|
f.izzillo
|
Inviato: 18/03/2013, 10:02 |
|
Iscritto il: 22/12/2009, 13:31 Messaggi: 9646 Località: Napoli
Nome: Francesco Izzillo
|
MAPKOΣ ha scritto: Grazie ! io sono nato a Carpi sono spesso li' adesso vedo di conoscere di persona questo entomologo magari ancora vive la' chissa' in che anno e' stato trovato ? Thanks a lot  Potrebbe trattarsi dell'amico Fernando Angelini di Francavilla Fontana (BR) (Fernando non perdona, dove passa  ).
_________________ Francesco Izzillo
|
|
| Top |
|
 |
|
Loriscola
|
Inviato: 18/03/2013, 10:10 |
|
Iscritto il: 05/02/2009, 17:25 Messaggi: 4894 Località: Zola Predosa (BO)
Nome: Loris Colacurcio
|
Ciao Marco Se può servire ti posso passare le mie "enormi"  esperienze su questa bella specie. Il mio esemplare l'ho raccolto a Sasso Marconi (BO) ad una cinquantina di chilomentri da Carpi, più o meno. La zona è un vasto parato incolto (ma periodicamente tagliano l'erba almeno un paio di volte all'anno), a ridosso del fiume Reno. In particolare il mio Ctenistes, l'ho raccolto vagliando il terreno alla base di alcuni pali di cemento (quelli dell'Enel per intenderci). Leggendo qualche dato in più, ho visto che spesso gli Ctenistes si trovano vagliando i detriti al di sotto delle grandi foglie basali della pianta di Verbasco, dove probabilmente si crea un micro ambiente umido adatto a queste bestiole. Se non ricordo male si ipotizza anche una certa mirmecofilia, ma non troppo spinta.... Salvo casi di omonimia, direi che l'Angelini che ha raccolto la bestiola nel modenese sia pugliese.... 
_________________ Loris
|
|
| Top |
|
 |
|
Honza
|
Inviato: 18/03/2013, 10:11 |
|
Iscritto il: 09/11/2009, 14:12 Messaggi: 5187 Località: Hradec Kralove,Czech republik
Nome: Jan Matějíček
|
Sono stato in contatto con Fernando Angelini, ho determinato il materiale dalla suo collezione Pselaphidae ,collettore eccellente  Ho anche ricevuto un elenco dei tipi e le posizioni della banca dati Pselaphinae.
_________________ Research Fields Taxonomy, ecology, biomonitoring , faunistic of Staphylinidae
|
|
| Top |
|
 |
|
MAPKOΣ
|
Inviato: 18/03/2013, 10:12 |
|
Iscritto il: 10/10/2011, 22:02 Messaggi: 1329 Località: Reggio Emilia
Nome: Malavasi Marco
|
Ciao Francesco il motivo per il quale ero interessato e' che Carpi non ha nulla di speciale come localita' e non e' famoso se non per la maglieria o l'edilizia.... non mi intendo e non raccolgo Pselafidi ma ero cusioso di capire chi fosse mai venuto a Carpi per una simile ricerca , anche perche' uno Pselafide non lo trovi sotto un sasso mentre sei in giro con gli amici in centro ... 
|
|
| Top |
|
 |
|
MAPKOΣ
|
Inviato: 18/03/2013, 10:15 |
|
Iscritto il: 10/10/2011, 22:02 Messaggi: 1329 Località: Reggio Emilia
Nome: Malavasi Marco
|
Loriscola ha scritto: Ciao Marco Se può servire ti posso passare le mie "enormi"  esperienze su questa bella specie. Il mio esemplare l'ho raccolto a Sasso Marconi (BO) ad una cinquantina di chilomentri da Carpi, più o meno. La zona è un vasto parato incolto (ma periodicamente tagliano l'erba almeno un paio di volte all'anno), a ridosso del fiume Reno. In particolare il mio Ctenistes, l'ho raccolto vagliando il terreno alla base di alcuni pali di cemento (quelli dell'Enel per intenderci). Leggendo qualche dato in più, ho visto che spesso gli Ctenistes si trovano vagliando i detriti al di sotto delle grandi foglie basali della pianta di Verbasco, dove probabilmente si crea un micro ambiente umido adatto a queste bestiole. Se non ricordo male si ipotizza anche una certa mirmecofilia, ma non troppo spinta.... Salvo casi di omonimia, direi che l'Angelini che ha raccolto la bestiola nel modenese sia pugliese....  Grazie Loris il mio intervento era solo dovuto al luogo del ritrovamento molto strano e che un entomologo fosse venuto proprio a carpi speravo fosse un mio conoscente che vivesse in zona Comunque la bestiola in particolare e' nata un anno dopo di me nello stesso luogo 
|
|
| Top |
|
 |
|
Honza
|
Inviato: 18/03/2013, 10:25 |
|
Iscritto il: 09/11/2009, 14:12 Messaggi: 5187 Località: Hradec Kralove,Czech republik
Nome: Jan Matějíček
|
|
uno dei siti in Repubblica Ceca /Moravia mer.Dívčí hrady (Ctenistes (Ctenistes) palpalis Reichenbach, 1816 )
_________________ Research Fields Taxonomy, ecology, biomonitoring , faunistic of Staphylinidae
|
|
| Top |
|
 |
|
MAPKOΣ
|
Inviato: 18/03/2013, 10:31 |
|
Iscritto il: 10/10/2011, 22:02 Messaggi: 1329 Località: Reggio Emilia
Nome: Malavasi Marco
|
bel posto con quelle roccie sembra la Grecia ..... io sono stato li' a Piestany nel 1991 ho trovato solo C. hortensis.... 
|
|
| Top |
|
 |
|