Benvenuto Ospite

Forum Entomologi Italiani

www.entomologiitaliani.net/forum
 
Oggi è 31/03/2026, 11:42

Tutti gli orari sono UTC + 1 ora [ ora legale ]

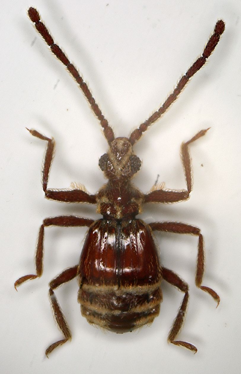
Ctenisis sp. - Staphylinidae Pselaphinae (AMERICHE)

21.II.2008 - PARAGUAY - EE, Paraguari - 20km w. di La Colmena leg. Kudrna


nuovo argomento
rispondi
Pagina 1 di 1 [ 4 messaggi ]
Autore Messaggio
MessaggioInviato: 26/10/2013, 16:45 
Avatar utente

Iscritto il: 05/02/2009, 17:25
Messaggi: 4894
Località: Zola Predosa (BO)
Nome: Loris Colacurcio
Altra meraviglia, altro pselafide exrtacomunitario.
Oltre alla probabile vicinanza ai nostri Ctenistes, non posso andare oltre.

Se per la parte destra del mondo è possibile trovare copioso materiale bibliografico sugli pselafidi, per contro alla nostra sinistra non trovo quasi nulla....se non dell'America del Nord (USA e Canada).

Molto caratteristica anche la forma dell'edeago.

Lunghezza: sui 4 mm.

Psela 5a Paraguay Paraguari. 20km w di La Colmena 19-21.II.2008 Kudrna.JPG



Psela 5b Paraguay Paraguari. 20km w di La Colmena 19-21.II.2008 Kudrna.JPG


_________________
Loris


Top
profilo
MessaggioInviato: 26/10/2013, 17:04 
Avatar utente

Iscritto il: 09/11/2009, 14:12
Messaggi: 5197
Località: Hradec Kralove,Czech republik
Nome: Jan Matějíček
Ctenisis Raffray, 1890
Type species: Desimia dispar Sharp (des. Raffray,1897a:271)


Ctenistes Reichenbach,
Type species: Ctenistes palpalis Reichenbach
Palearctic, Oriental, Afrotropical, South Africa

_________________
Research Fields
Taxonomy, ecology, biomonitoring , faunistic of Staphylinidae


Top
profilo
MessaggioInviato: 28/10/2013, 11:11 
Avatar utente

Iscritto il: 05/02/2009, 17:25
Messaggi: 4894
Località: Zola Predosa (BO)
Nome: Loris Colacurcio
Grazie mille ! direi che si tratta proprio di un Ctenisis sp.

:hi:

_________________
Loris


Top
profilo
MessaggioInviato: 03/04/2017, 1:31 
 

Iscritto il: 31/03/2017, 7:19
Messaggi: 2
Nome: Zi-Wei Yin
Is this one from southern South America?
Looks like Rhytus sp. of the tribe Arhytodini.


Top
profilo
Visualizza ultimi messaggi:  Ordina per  
nuovo argomento
rispondi
Pagina 1 di 1 [ 4 messaggi ]

Tutti gli orari sono UTC + 1 ora [ ora legale ]


Chi c’è in linea

Visitano il forum: Nessuno e 1 ospite


Non puoi aprire nuovi argomenti
Non puoi rispondere negli argomenti
Non puoi modificare i tuoi messaggi
Non puoi cancellare i tuoi messaggi
Non puoi inviare allegati

Cerca per:
Vai a: