| Autore |
Messaggio |
|
Julodis
|
Inviato: 10/01/2011, 1:46 |
|
Iscritto il: 30/12/2009, 22:20 Messaggi: 31564 Località: Roma
Nome: Maurizio Gigli
|
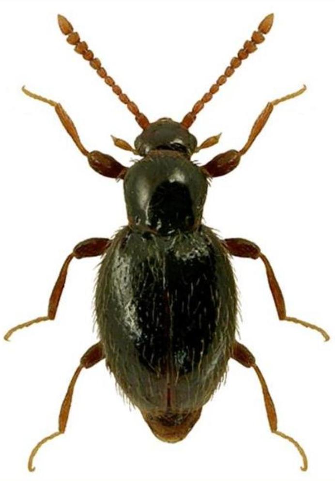
Il più piccolo Scydmaenino che abbia trovato senza vagliare Lazio, Roma, Tolfa, 3.I.2011, sotto pietre, M. Gigli legit 1,4 mm
|
|
| Top |
|
 |
|
Glaphyrus
|
Inviato: 10/01/2011, 10:49 |
|
Iscritto il: 05/02/2009, 17:28 Messaggi: 3228
Nome: Marco Uliana
|
|
Appartiene al genere Stenichnus.
|
|
| Top |
|
 |
|
Centrotoma
|
Inviato: 10/01/2011, 13:13 |
|
Iscritto il: 31/01/2010, 13:28 Messaggi: 172 Località: Prague, Czech republic
Nome: Adam Šíma
|
Could be female of Stenichnus scutellaris, but it only is a tip because of the sex 
|
|
| Top |
|
 |
|
giuseppe55
|
Inviato: 10/01/2011, 20:18 |
|
Iscritto il: 10/07/2010, 14:42 Messaggi: 4865
Nome: Giuseppe Pace
|
Centrotoma ha scritto: Could be female of Stenichnus scutellaris, but it only is a tip because of the sex Ciao Adam, non sono uno specialista di questa Famiglia e probabilmente hai ragione. Gli esemplari raccolti nella stessa località li ho determinati come Stenichnus helferi. Ho determinato S. scutellaris, specie molto simile, gli esemplari con setole elitrali ancora più lunghe ed irte dell'esemplare di Maurizio. Giuseppe
|
|
| Top |
|
 |
|
Centrotoma
|
Inviato: 10/01/2011, 22:23 |
|
Iscritto il: 31/01/2010, 13:28 Messaggi: 172 Località: Prague, Czech republic
Nome: Adam Šíma
|
|
Hi Giuseppe! If I understand well it could also be S. helferi. I cannot say so because this species is not presented in my collection.
|
|
| Top |
|
 |
|
Honza
|
Inviato: 10/01/2011, 22:53 |
|
Iscritto il: 09/11/2009, 14:12 Messaggi: 5194 Località: Hradec Kralove,Czech republik
Nome: Jan Matějíček
|
|
Stenichnus scutellaris (Müller et Kunze, 1822)
Stenichnus scutellaris (Müller et Kunze, 1822)

|
_________________ Research Fields Taxonomy, ecology, biomonitoring , faunistic of Staphylinidae
|
|
| Top |
|
 |
|
Julodis
|
Inviato: 10/01/2011, 23:26 |
|
Iscritto il: 30/12/2009, 22:20 Messaggi: 31564 Località: Roma
Nome: Maurizio Gigli
|
|
Grazie per la determinazione, almeno del genere. Setole elitrali a parte, ci sono altre differenze visibili tra le due specie?
|
|
| Top |
|
 |
|
Honza
|
Inviato: 11/01/2011, 0:19 |
|
Iscritto il: 09/11/2009, 14:12 Messaggi: 5194 Località: Hradec Kralove,Czech republik
Nome: Jan Matějíček
|
Sì, è 
_________________ Research Fields Taxonomy, ecology, biomonitoring , faunistic of Staphylinidae
|
|
| Top |
|
 |
|
Glaphyrus
|
Inviato: 11/01/2011, 0:26 |
|
Iscritto il: 05/02/2009, 17:28 Messaggi: 3228
Nome: Marco Uliana
|
Julodis ha scritto: Setole elitrali a parte, ci sono altre differenze visibili tra le due specie? L'edeago, of course.  [ecco, Honza mi ha preceduto!] La struttura dei femori anteriori è diagnostica per i maschi. Possiamo escludere il maschio di S. scutellaris, i cui femori anteriori terminano con un dente molto evidente. Non sembra nemmeno un maschio di helferi, che ha i femori con un angolo ottuso nella parte distale un po' più evidente e piatto di quanto si vede in foto (o sono un po' schiacciati dall'effetto prospettico?) Fra le femmine di helferi e scutellaris la distinzione è ardua... forse impossibile.
|
|
| Top |
|
 |
|
Julodis
|
Inviato: 11/01/2011, 8:03 |
|
Iscritto il: 30/12/2009, 22:20 Messaggi: 31564 Località: Roma
Nome: Maurizio Gigli
|
|
Neanche ci provo ad estrarre l'edeago di una bestiola di queste dimensioni!
Credo che resterà un sp. finchè non finirà nella collezione di qualcuno che conosce il gruppo!
|
|
| Top |
|
 |
|
giuseppe55
|
Inviato: 11/01/2011, 21:22 |
|
Iscritto il: 10/07/2010, 14:42 Messaggi: 4865
Nome: Giuseppe Pace
|
Glaphyrus ha scritto: La struttura dei femori anteriori è diagnostica per i maschi. Possiamo escludere il maschio di S. scutellaris, i cui femori anteriori terminano con un dente molto evidente. Non sembra nemmeno un maschio di helferi, che ha i femori con un angolo ottuso nella parte distale un po' più evidente e piatto di quanto si vede in foto (o sono un po' schiacciati dall'effetto prospettico?) Conosco il carattere dei femori dei maschi di Stenichnus. Praticamente sono allargati e troncati dritti all'apice e la tibia sembra inserita nella parte inferiore della troncatura (nei maschi dei miei esemplari di Tolfa). In altre specie la troncatura è obliqua e si nota meno, oppure con femore tubercolato superiormente, tale che la troncatura apicale sembra enorme. Le mie determinazioni, ad uso personale per separare le varie specie della collezione, le ho fatte anche tenendo conto di questi caratteri e per confronto con esemplari determinati. Logicamente possono essere correttissime oppure tutte sbagliate e, non avendone certezza, non indicherò i nomi delle presunte varie specie perchè fuorvianti. Ciao a tutti Giuseppe
|
|
| Top |
|
 |
|
Honza
|
Inviato: 11/01/2011, 21:50 |
|
Iscritto il: 09/11/2009, 14:12 Messaggi: 5194 Località: Hradec Kralove,Czech republik
Nome: Jan Matějíček
|
|
specie sono di colori diversi...........diverse curve .......... elitre, scudo
_________________ Research Fields Taxonomy, ecology, biomonitoring , faunistic of Staphylinidae
|
|
| Top |
|
 |
|
Honza
|
Inviato: 11/01/2011, 21:55 |
|
Iscritto il: 09/11/2009, 14:12 Messaggi: 5194 Località: Hradec Kralove,Czech republik
Nome: Jan Matějíček
|
Stenichnus collaris (Müller et Kunze, 1822) 
_________________ Research Fields Taxonomy, ecology, biomonitoring , faunistic of Staphylinidae
|
|
| Top |
|
 |
|
giuseppe55
|
Inviato: 12/01/2011, 21:02 |
|
Iscritto il: 10/07/2010, 14:42 Messaggi: 4865
Nome: Giuseppe Pace
|
Honza ha scritto: specie sono di colori diversi...........diverse curve .......... elitre, scudo Ciao Jan, grazie alle tue bellissime "iconografie" le discussioni sono più semplici. Praticamente mi hai confermato le determinazioni di collaris, godarti e pusillus. Lo scutellaris è identico ai miei helferi, ma penso di aver capito che le due specie sono molto simili e che dovrò ricontrollare i miei esemplari, considerandoli per il momento scutellaris/helferi. Dovrò rivedere anche i miei scutellaris, sono praticamente dei pelliceus completamente scuri. Quanto all'esemplare di Maurizio penso sia corretto indicarli Stenichnus scutellaris/helferi. Cosa ne pensi ? Ciao Giuseppe
|
|
| Top |
|
 |
|
Honza
|
Inviato: 12/01/2011, 21:44 |
|
Iscritto il: 09/11/2009, 14:12 Messaggi: 5194 Località: Hradec Kralove,Czech republik
Nome: Jan Matějíček
|
Stenichnus helferi non nella mia collezione Forse questo aiuterà http://www.coleo-net.de/coleo/texte/stenichnus.htm
_________________ Research Fields Taxonomy, ecology, biomonitoring , faunistic of Staphylinidae
Ultima modifica di Honza il 12/01/2011, 22:23, modificato 1 volta in totale.
|
|
| Top |
|
 |
|