Benvenuto Ospite

Forum Entomologi Italiani

www.entomologiitaliani.net/forum
 
Oggi è 27/12/2025, 22:08

Tutti gli orari sono UTC + 1 ora [ ora legale ]

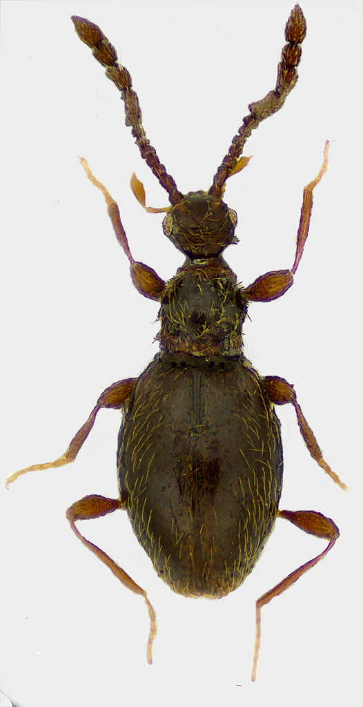
Euconnus sp. - Scydmaenidae - Veneto

25.II.2011 - ITALIA - Veneto - BL, Feltre: Foen Loc. Fornace 46° 2'35"N 11°55'3"E


nuovo argomento
rispondi
Pagina 1 di 1 [ 4 messaggi ]
Autore Messaggio
 Oggetto del messaggio: Euconnus sp. - Scydmaenidae - Veneto
MessaggioInviato: 27/02/2011, 1:51 
Avatar utente

Iscritto il: 08/06/2009, 0:06
Messaggi: 3415
Località: Feltre(BL)
Nome: Nicola Dal Zotto
Da vaglio...2

Questo invece è roba per Loris;)
Mi scuso per le foto non buone, ma me ne son accorto solo ora :oops:
psel-foen-25_II_2011f.jpg


gen-pself.jpg


_________________
Nicola Dal Zotto


Top
profilo
 Oggetto del messaggio: Re: Da vaglio...2
MessaggioInviato: 27/02/2011, 8:43 
Avatar utente

Iscritto il: 09/11/2009, 14:12
Messaggi: 5175
Località: Hradec Kralove,Czech republik
Nome: Jan Matějíček
Euconnus (Cladoconnus) sp. ? motschulskyi (Sturm, 1838)


img187.jpg


_________________
Research Fields
Taxonomy, ecology, biomonitoring , faunistic of Staphylinidae
Top
profilo
 Oggetto del messaggio: Re: Da vaglio...2
MessaggioInviato: 27/02/2011, 9:46 
Avatar utente

Iscritto il: 30/12/2009, 22:20
Messaggi: 31564
Località: Roma
Nome: Maurizio Gigli
Maw89 ha scritto:
Mi scuso per le foto non buone, ma me ne son accorto solo ora :oops

Per una bestia di queste dimensioni (che non hai indicato!) direi che sono foto molto più che buone! Il problema per noi poveri mortali, è che ogni giorno ci dobbiamo confrontare con dei mostri tipo Marcello e Cosmin!

_________________
Maurizio Gigli
http://utenti.romascuola.net/bups
http://bup.xoom.it/


Top
profilo
 Oggetto del messaggio: Re: Da vaglio...2
MessaggioInviato: 27/02/2011, 13:26 
Avatar utente

Iscritto il: 08/06/2009, 0:06
Messaggi: 3415
Località: Feltre(BL)
Nome: Nicola Dal Zotto
Julodis ha scritto:
Maw89 ha scritto:
Mi scuso per le foto non buone, ma me ne son accorto solo ora :oops

Per una bestia di queste dimensioni (che non hai indicato!) direi che sono foto molto più che buone! Il problema per noi poveri mortali, è che ogni giorno ci dobbiamo confrontare con dei mostri tipo Marcello e Cosmin!


Ehmmm chiedo scuso, circa 2mm:)

Grazie :lov2: :lov2:
Qui però mi son fermato tropo presto e ho sfocato i tarsi :oops: :oops:

Nicola

_________________
Nicola Dal Zotto


Top
profilo
Visualizza ultimi messaggi:  Ordina per  
nuovo argomento
rispondi
Pagina 1 di 1 [ 4 messaggi ]

Tutti gli orari sono UTC + 1 ora [ ora legale ]


Chi c’è in linea

Visitano il forum: Nessuno e 1 ospite


Non puoi aprire nuovi argomenti
Non puoi rispondere negli argomenti
Non puoi modificare i tuoi messaggi
Non puoi cancellare i tuoi messaggi
Non puoi inviare allegati

Cerca per:
Vai a: