Benvenuto Ospite

Forum Entomologi Italiani

www.entomologiitaliani.net/forum
 
Oggi è 11/02/2026, 4:28

Tutti gli orari sono UTC + 1 ora [ ora legale ]

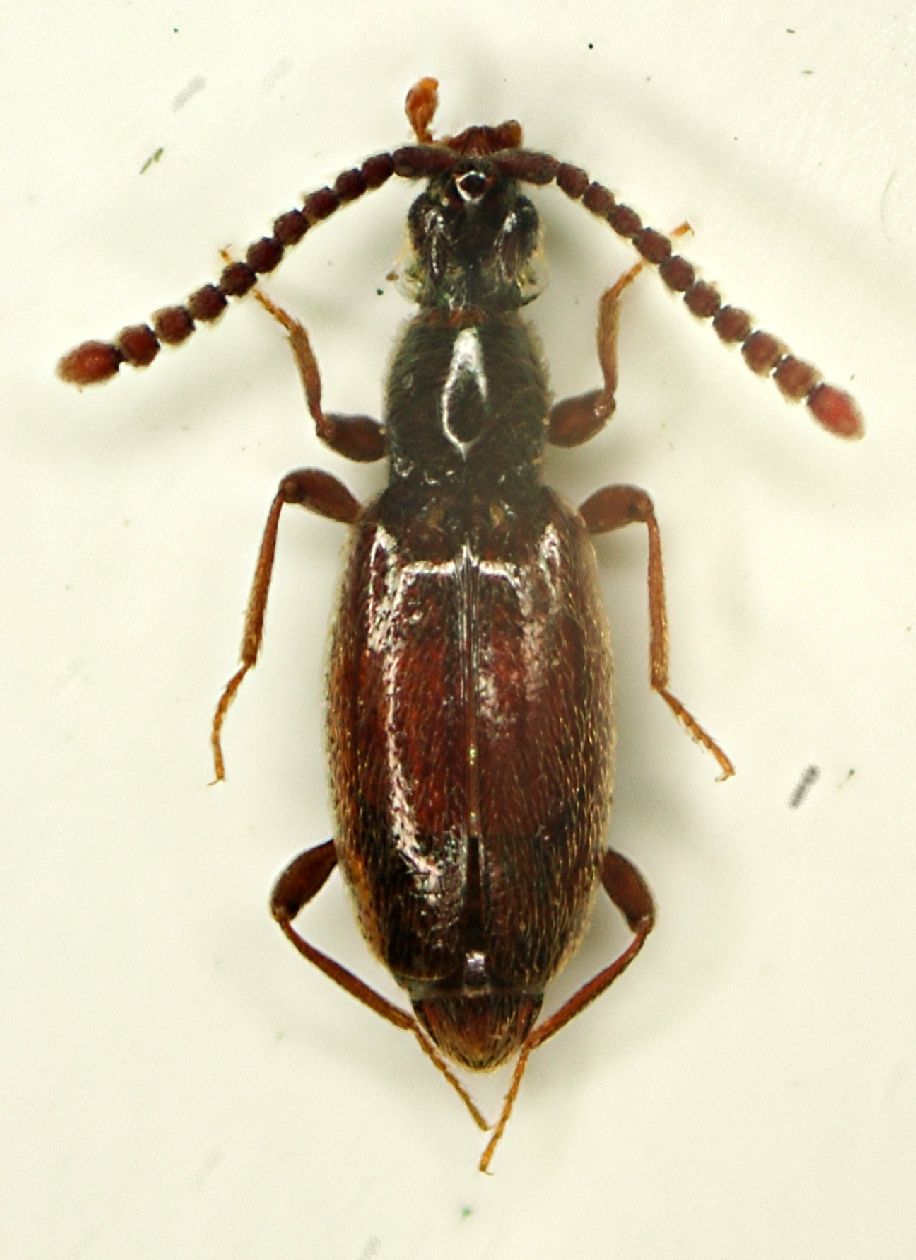
Chevrolatia insignis Jacquelin du Val, 1850 - Staphylinidae Scydmaeninae

6.VI.2012 - ITALIA - Emilia-Romagna - FC, Cesenatico


nuovo argomento
rispondi
Pagina 1 di 1 [ 1 messaggio ]
Autore Messaggio
MessaggioInviato: 06/11/2012, 23:11 
Avatar utente

Iscritto il: 05/02/2009, 17:25
Messaggi: 4894
Località: Zola Predosa (BO)
Nome: Loris Colacurcio
Ed ecco anche la Chevrolatia del continente....quando meno me l'aspettavo, saltò fuori sul litorale rimagnolo, mentre cercavo pselafidi e trovavo Lymnastis :mrgreen:

Salvo orrori, dovrebbe essere la C. insignis.

Lunghezza: 2.2 mm. circa


Chevrolatia 2.2mm Cesenatico 06.612.JPG


_________________
Loris
Top
profilo
Visualizza ultimi messaggi:  Ordina per  
nuovo argomento
rispondi
Pagina 1 di 1 [ 1 messaggio ]

Tutti gli orari sono UTC + 1 ora [ ora legale ]


Chi c’è in linea

Visitano il forum: Nessuno e 1 ospite


Non puoi aprire nuovi argomenti
Non puoi rispondere negli argomenti
Non puoi modificare i tuoi messaggi
Non puoi cancellare i tuoi messaggi
Non puoi inviare allegati

Cerca per:
Vai a:  
cron