Benvenuto Ospite

Forum Entomologi Italiani

www.entomologiitaliani.net/forum
 
Oggi è 08/05/2026, 10:53

Tutti gli orari sono UTC + 1 ora [ ora legale ]

Mini-cicaletta 2 - Sasso Marconi (BO)



nuovo argomento
rispondi
Pagina 1 di 1 [ 3 messaggi ]
Autore Messaggio
 Oggetto del messaggio: Mini-cicaletta 2 - Sasso Marconi (BO)
MessaggioInviato: 28/08/2010, 22:54 
Avatar utente

Iscritto il: 05/02/2009, 17:25
Messaggi: 4894
Località: Zola Predosa (BO)
Nome: Loris Colacurcio
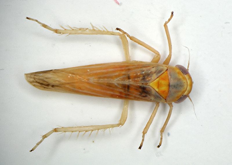
Ed ecco una seconda cicaletta mini, presa alla lampada.

Sasso Marconi (BO) - Palazzo Rossi, 27.VIII.2010
Lunghezza: sui 3 mm.

Cicaletta 2a P.Rossi.JPG


Cicaletta 2b P.Rossi.JPG


_________________
Loris


Top
profilo
MessaggioInviato: 01/09/2010, 0:05 
Avatar utente

Iscritto il: 24/04/2010, 8:24
Messaggi: 5095
Nome: Lucio Morin
Ne ho catturate diverse identiche la scorsa notte ma sul littorale Monfalconese ( palude del Lisert ) GO , le ali posteriori sono iridescenti , appena la tolgo dallo stenditoio se non ci sono determinazioni la posto.
Lucio

_________________
A VOLTE E' MEGLIO TACERE E SEMBRARE STUPIDI CHE APRIR BOCCA E TOGLIERE OGNI DUBBIO Oscar Wilde


Top
profilo
MessaggioInviato: 21/04/2011, 18:09 
 

Iscritto il: 30/06/2009, 15:17
Messaggi: 331
Località: Bovolone (VR)
Nome: Francesco Sanna
Alla fine ci sono arrivato!!! (FORSE...) :D
Io dico: Balclutha cf. rosea (= frontalis).

Ciao
Francesco


Top
profilo
Visualizza ultimi messaggi:  Ordina per  
nuovo argomento
rispondi
Pagina 1 di 1 [ 3 messaggi ]

Tutti gli orari sono UTC + 1 ora [ ora legale ]


Chi c’è in linea

Visitano il forum: Nessuno e 1 ospite


Non puoi aprire nuovi argomenti
Non puoi rispondere negli argomenti
Non puoi modificare i tuoi messaggi
Non puoi cancellare i tuoi messaggi
Non puoi inviare allegati

Cerca per:
Vai a: