Benvenuto Ospite

Forum Entomologi Italiani

www.entomologiitaliani.net/forum
 
Oggi è 14/02/2026, 13:20

Tutti gli orari sono UTC + 1 ora [ ora legale ]

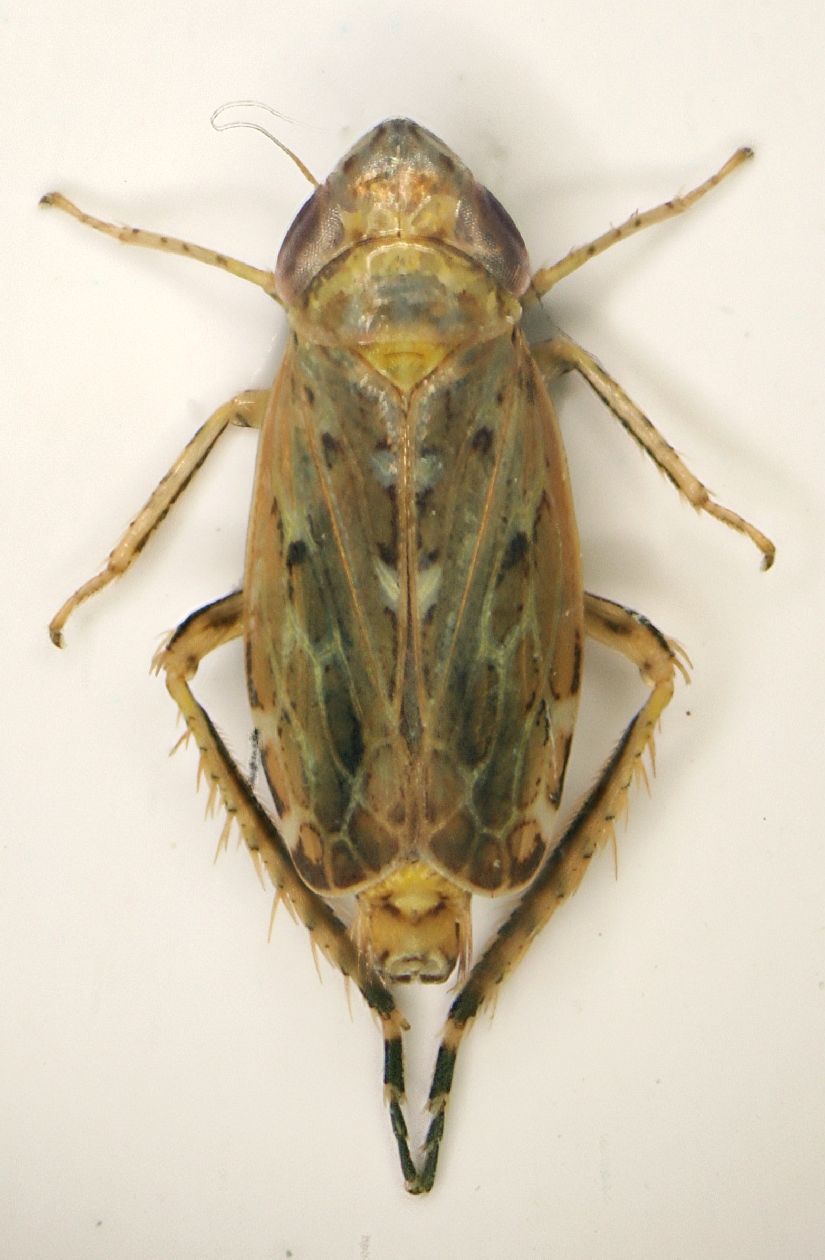
Jassargus latinus (Wagner, 1942) (cf.) - Cicadellidae Deltocephalinae

18.V.2011 - ITALIA - Emilia-Romagna - BO, Sasso Marconi - Palazzo Rossi


nuovo argomento
rispondi
Pagina 1 di 1 [ 4 messaggi ]
Autore Messaggio
MessaggioInviato: 25/05/2011, 15:53 
Avatar utente

Iscritto il: 05/02/2009, 17:25
Messaggi: 4894
Località: Zola Predosa (BO)
Nome: Loris Colacurcio
Una delle pochissime catture del mio primo eseprimento annuale di caccia alla luce, è stata questa splendida cicaletta, rinvenuta in due esemplari...e che appartiene certamente a quel gruppo studiato da Poggi (o almeno credo)

Lunghezza: sui 3 mm.

Cicaletta luce.JPG


_________________
Loris


Top
profilo
 Oggetto del messaggio: Re: Cicaletta "lunare"
MessaggioInviato: 26/05/2011, 16:31 
 

Iscritto il: 30/06/2009, 15:17
Messaggi: 331
Località: Bovolone (VR)
Nome: Francesco Sanna
Secondo me siamo tra gli Adarrus sp./Jassargus sp.

Saluti


Top
profilo
 Oggetto del messaggio: Re: Cicaletta "lunare"
MessaggioInviato: 28/05/2011, 16:59 
Avatar utente

Iscritto il: 06/02/2009, 9:15
Messaggi: 1468
Località: Vigevano PV
Nome: Danilo Mario Piccolino
FrS ha scritto:
Secondo me siamo tra gli Adarrus sp./Jassargus sp. .

Saluti



Sì le nervature alari dicono che siamo in presenza di un rappresentante della Famiglia: Cicadellidae, Sottofamiglia: Deltocephalinae, i Generi indicati da Francesco sono i papabili.

:hi:

_________________
Danilo


Top
profilo
 Oggetto del messaggio: Re: Cicadellidae Deltocephalinae
MessaggioInviato: 12/02/2026, 13:25 
Avatar utente

Iscritto il: 06/01/2010, 0:56
Messaggi: 84
Località: Missaglia (LC)
Nome: Francesco Poggi
Sono d'accordo coi colleghi. Secondo me più Jassargus che Adarrus. L'esemplare nella foto è un maschio, l'esame dei genitali consentirebbe di arrivare agevolmente alla specie. Sospetto fortemente Jassargus latinus, sia per l'aspetto che per la località di raccolta, ma è un'ipotesi da confermare.

_________________
Ciao
Francesco


Top
profilo
Visualizza ultimi messaggi:  Ordina per  
nuovo argomento
rispondi
Pagina 1 di 1 [ 4 messaggi ]

Tutti gli orari sono UTC + 1 ora [ ora legale ]


Chi c’è in linea

Visitano il forum: Nessuno e 1 ospite


Non puoi aprire nuovi argomenti
Non puoi rispondere negli argomenti
Non puoi modificare i tuoi messaggi
Non puoi cancellare i tuoi messaggi
Non puoi inviare allegati

Cerca per:
Vai a: