Benvenuto Ospite

Forum Entomologi Italiani

www.entomologiitaliani.net/forum
 
Oggi è 22/04/2026, 16:26

Tutti gli orari sono UTC + 1 ora [ ora legale ]

Philaenus spumarius (Linnaeus, 1758) - Aphrophoridae

V.2010 - ITALIA - Emilia-Romagna - BO, Sasso Marconi - Palazzo Rossi


nuovo argomento
rispondi
Pagina 1 di 1 [ 4 messaggi ]
Autore Messaggio
MessaggioInviato: 08/06/2010, 20:39 
Avatar utente

Iscritto il: 05/02/2009, 17:25
Messaggi: 4894
Località: Zola Predosa (BO)
Nome: Loris Colacurcio
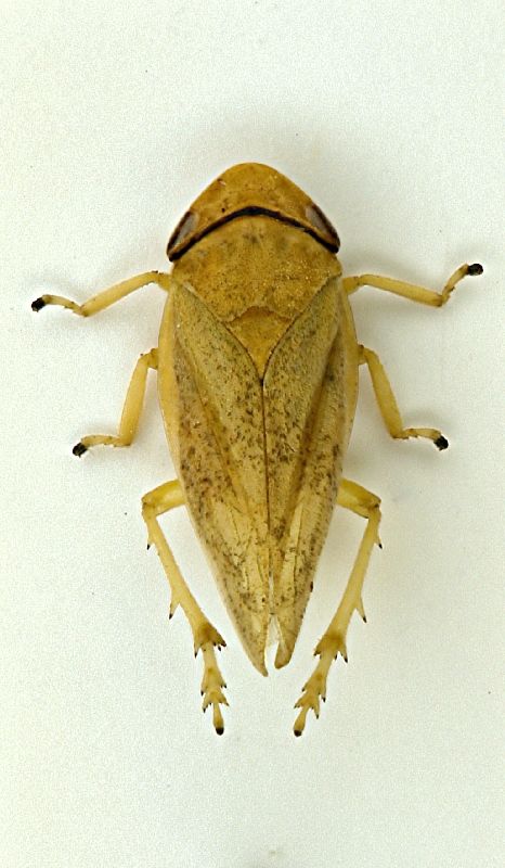
Cicaletta 6 - Sasso Marconi (BO)

Sasso Marconi (BO) - Palazzo Rossi, maggio 2010
Lunghezza: siamo sui 6 mm. circa

Cicaletta 6a.JPG


Cicaletta 6b.JPG


_________________
Loris


Top
profilo
 Oggetto del messaggio: Re: Cicaletta 6 - Sasso Marconi (BO)
MessaggioInviato: 09/06/2010, 22:02 
Avatar utente

Iscritto il: 06/02/2009, 9:15
Messaggi: 1468
Località: Vigevano PV
Nome: Danilo Mario Piccolino
:) Pure questa.

Famiglia: Aphrophoridae

Philaenus spumarius (Linnaeus, 1758)


:hi:

_________________
Danilo


Top
profilo
 Oggetto del messaggio: Re: Cicaletta 6 - Sasso Marconi (BO)
MessaggioInviato: 11/06/2010, 8:12 
Avatar utente

Iscritto il: 05/02/2009, 17:25
Messaggi: 4894
Località: Zola Predosa (BO)
Nome: Loris Colacurcio
Grazie mille per la solerzia .....non sapevo che questa sputacchina potesse avere uan livrea così variabile !!! :shock: Io comunque continuo a prenderne, quando mi sembrano diverse......fammi sapere se non ne vale la pena.

:hi:

Ti ringrazio qui per tutte le determinazioni....

_________________
Loris


Top
profilo
MessaggioInviato: 13/06/2010, 21:42 
Avatar utente

Iscritto il: 06/02/2009, 9:15
Messaggi: 1468
Località: Vigevano PV
Nome: Danilo Mario Piccolino
:ok: Vale sempre la pena....se noti qualche diversità, considera che non abbiamo praticamente nessun Neophilaenus sp. e che l'ambiente di vita è praticamente lo stesso.

:hi:

_________________
Danilo


Top
profilo
Visualizza ultimi messaggi:  Ordina per  
nuovo argomento
rispondi
Pagina 1 di 1 [ 4 messaggi ]

Tutti gli orari sono UTC + 1 ora [ ora legale ]


Chi c’è in linea

Visitano il forum: Nessuno e 1 ospite


Non puoi aprire nuovi argomenti
Non puoi rispondere negli argomenti
Non puoi modificare i tuoi messaggi
Non puoi cancellare i tuoi messaggi
Non puoi inviare allegati

Cerca per:
Vai a: