Benvenuto Ospite

Forum Entomologi Italiani

www.entomologiitaliani.net/forum
 
Oggi è 08/02/2026, 2:48

Tutti gli orari sono UTC + 1 ora [ ora legale ]

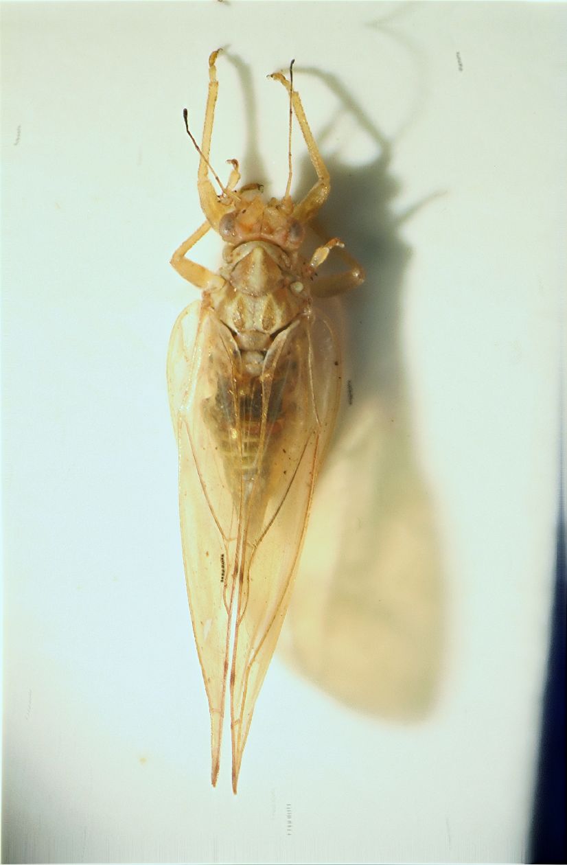
Psylloidea sp. 02 al vaglio

13.II.2011 - ITALIA - Emilia-Romagna - BO, Sasso Marconi - Palazzo Rossi


nuovo argomento
rispondi
Pagina 1 di 1 [ 1 messaggio ]
Autore Messaggio
 Oggetto del messaggio: Psylloidea sp. 02 al vaglio
MessaggioInviato: 15/02/2011, 13:09 
Avatar utente

Iscritto il: 05/02/2009, 17:25
Messaggi: 4894
Località: Zola Predosa (BO)
Nome: Loris Colacurcio
Mi permetto di proporre Psylloidea, visto che ne avevo già raccolto un altro.
Anche questo è saltato fuoiri dal vaglio, da detriti raccolti alla base di alcuni pioppi.
E' preparato malissimo, ma me l'ero dimenticato su ltavolo da lavoro....e dopo era ormai troppo secco per poterlo stendere diversamente :oops:

Lunghezza: 4 mm.

z cicaletta02 4mm.JPG


_________________
Loris


Top
profilo
Visualizza ultimi messaggi:  Ordina per  
nuovo argomento
rispondi
Pagina 1 di 1 [ 1 messaggio ]

Tutti gli orari sono UTC + 1 ora [ ora legale ]


Chi c’è in linea

Visitano il forum: Nessuno e 1 ospite


Non puoi aprire nuovi argomenti
Non puoi rispondere negli argomenti
Non puoi modificare i tuoi messaggi
Non puoi cancellare i tuoi messaggi
Non puoi inviare allegati

Cerca per:
Vai a:  
cron