Benvenuto Ospite

Forum Entomologi Italiani

www.entomologiitaliani.net/forum
 
Oggi è 23/04/2026, 18:58

Tutti gli orari sono UTC + 1 ora [ ora legale ]

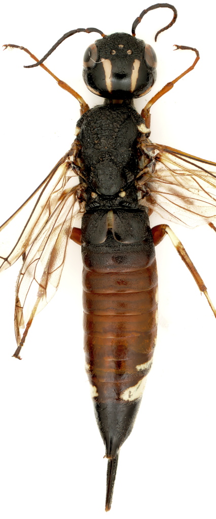
Xiphydria prolongata (Geoffroy, 1785) - Xiphydriidae

2.VI.2021 - BULGARIA - EE, Stara Zagora


nuovo argomento
rispondi
Pagina 1 di 1 [ 2 messaggi ]
Autore Messaggio
MessaggioInviato: 07/10/2021, 22:51 
 

Iscritto il: 03/09/2010, 14:07
Messaggi: 930
Località: Bulgaria
Nome: Georgi
On Salix.
L.19mm.


2017-10-07 22-22-11 (A,Radius2,Smoothing1)5.JPG

Top
profilo
 Oggetto del messaggio: Re: Hymenoptera
MessaggioInviato: 08/10/2021, 10:36 
Avatar utente

Iscritto il: 05/02/2009, 17:31
Messaggi: 9527
Località: milano
Nome: maurizio pavesi
wow :p :mrgreen:

Xiphydria prolongata (Geoffroy, 1785) - Xiphydriidae

_________________
*****************
Immagine maurizio


Top
profilo
Visualizza ultimi messaggi:  Ordina per  
nuovo argomento
rispondi
Pagina 1 di 1 [ 2 messaggi ]

Tutti gli orari sono UTC + 1 ora [ ora legale ]


Chi c’è in linea

Visitano il forum: Nessuno e 1 ospite


Non puoi aprire nuovi argomenti
Non puoi rispondere negli argomenti
Non puoi modificare i tuoi messaggi
Non puoi cancellare i tuoi messaggi
Non puoi inviare allegati

Cerca per:
Vai a: