Benvenuto Ospite

Forum Entomologi Italiani

www.entomologiitaliani.net/forum
 
Oggi è 03/03/2026, 15:21

Tutti gli orari sono UTC + 1 ora [ ora legale ]

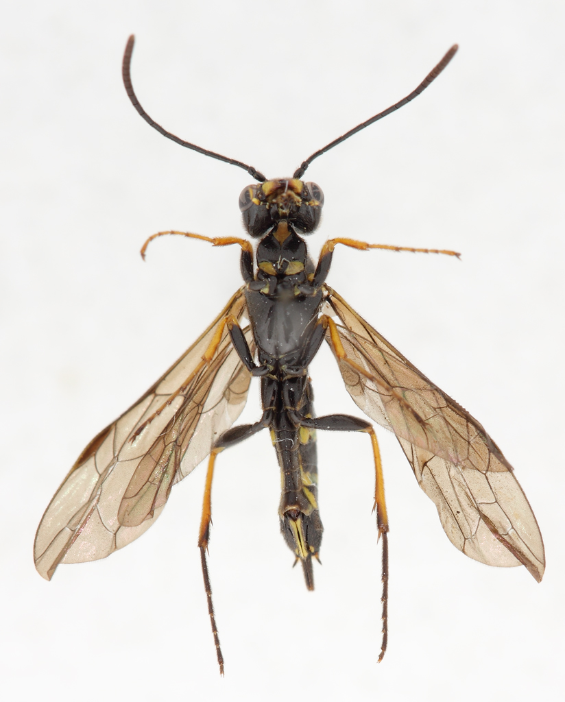
Cephus cultratus Eversmann, 1847 ♀ - Cephidae

8.V.2016 - ITALIA - Toscana - GR, Massa Marittima - Lago dell'Accesa


nuovo argomento
rispondi
Pagina 1 di 1 [ 4 messaggi ]
Autore Messaggio
MessaggioInviato: 28/06/2016, 15:51 
Avatar utente

Iscritto il: 17/02/2009, 0:05
Messaggi: 8524
Località: Isola d'Elba - Arcipelago Toscano
Nome: Leonardo Forbicioni
Chiedo il vostro aiuto per determinare questo Imenottero catturato in occasione dell'ultimo BioBlitz tenutosi al Lago dell'Accesa.

8mm

Hymenoptera-D-da-determinare-up.jpg

Hymenoptera-D-da-determinare-down.jpg

Hymenoptera-D-da-determinare-lat.jpg


_________________
"Stay hungry, stay foolish".
Steve Jobs, 2005
___________________
jjuniper8(at)gmail.com
Twitter: @weevil_forbix
cell. 339/5275910
___________________


Top
profilo
MessaggioInviato: 28/06/2016, 16:00 
Avatar utente

Iscritto il: 01/07/2010, 22:26
Messaggi: 5661
Località: Viterbo
Nome: Marco Selis
Cephidae, ma oltre non so proprio andare.


Top
profilo
MessaggioInviato: 28/06/2016, 16:03 
Avatar utente

Iscritto il: 22/11/2010, 18:16
Messaggi: 1130
Località: Donzy (Bourgogne : Dipart. Nièvre) - Francia
Nome: Jean-Pierre Balmer
Saluti,

Cephus cultratus Eversmann, 1847

Ciao.
D & JP Balmer


Top
profilo
MessaggioInviato: 30/06/2016, 12:07 
Avatar utente

Iscritto il: 17/02/2009, 0:05
Messaggi: 8524
Località: Isola d'Elba - Arcipelago Toscano
Nome: Leonardo Forbicioni
:hp: :hp: Grazieee!!! :lov2: :lov2:

_________________
"Stay hungry, stay foolish".
Steve Jobs, 2005
___________________
jjuniper8(at)gmail.com
Twitter: @weevil_forbix
cell. 339/5275910
___________________


Top
profilo
Visualizza ultimi messaggi:  Ordina per  
nuovo argomento
rispondi
Pagina 1 di 1 [ 4 messaggi ]

Tutti gli orari sono UTC + 1 ora [ ora legale ]


Chi c’è in linea

Visitano il forum: Nessuno e 2 ospiti


Non puoi aprire nuovi argomenti
Non puoi rispondere negli argomenti
Non puoi modificare i tuoi messaggi
Non puoi cancellare i tuoi messaggi
Non puoi inviare allegati

Cerca per:
Vai a:  
cron