Benvenuto Ospite

Forum Entomologi Italiani

www.entomologiitaliani.net/forum
 
Oggi è 21/04/2026, 14:11

Tutti gli orari sono UTC + 1 ora [ ora legale ]

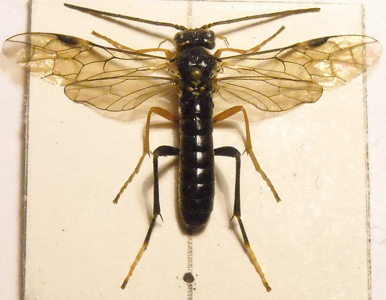
Tenthredopsis sp. - Tenthredinidae

25.IV.2015 - ITALIA - Lazio - RM, Torrimpietra


nuovo argomento
rispondi
Pagina 1 di 1 [ 1 messaggio ]
Autore Messaggio
 Oggetto del messaggio: Tenthredopsis sp. - Tenthredinidae
MessaggioInviato: 14/05/2015, 20:18 
 

Iscritto il: 10/07/2010, 14:42
Messaggi: 4869
Nome: Giuseppe Pace
Potrebbe essere un maschio di Tenthredopsis sp.


Dimensioni: c.a. mm. 10
Tenthredopsis 003 a.jpg



Ciao
Giuseppe


Top
profilo
Visualizza ultimi messaggi:  Ordina per  
nuovo argomento
rispondi
Pagina 1 di 1 [ 1 messaggio ]

Tutti gli orari sono UTC + 1 ora [ ora legale ]


Chi c’è in linea

Visitano il forum: Nessuno e 1 ospite


Non puoi aprire nuovi argomenti
Non puoi rispondere negli argomenti
Non puoi modificare i tuoi messaggi
Non puoi cancellare i tuoi messaggi
Non puoi inviare allegati

Cerca per:
Vai a: