Benvenuto Ospite

Forum Entomologi Italiani

www.entomologiitaliani.net/forum
 
Oggi è 22/12/2025, 18:39

Tutti gli orari sono UTC + 1 ora [ ora legale ]

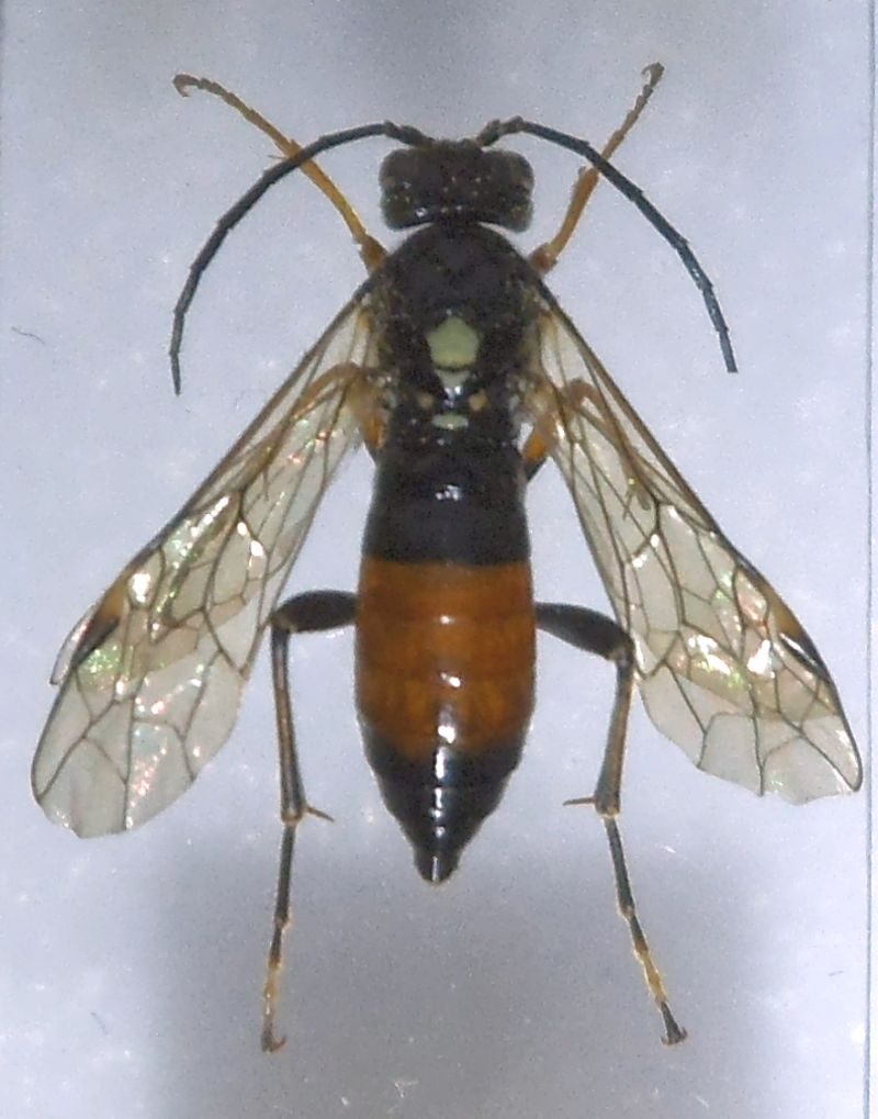
Tenthredopsis sp. - Tenthredinidae

25.IV.2015 - ITALIA - Marche - AN, m.te Conero


nuovo argomento
rispondi
Pagina 1 di 1 [ 3 messaggi ]
Autore Messaggio
 Oggetto del messaggio: Tenthredopsis sp. - Tenthredinidae
MessaggioInviato: 15/05/2015, 20:24 
 

Iscritto il: 08/12/2013, 1:52
Messaggi: 7590
Località: Bagnacavallo (RA)
Nome: Giorgio Pezzi
Questa Tenthredopsis è una femmina di mm 10. Mi risulta ostica da interpretare. Le foto sono scarse poichè non ho al momento una buona illuminazione. Fornisco alcune info non desumibili da foto:
- clipeo appena arcuato, bianco con macchietta nera centrale in alto
- mesopleure lisce con finissimi punti
- ipopigio piccolo, non incavato
- metatibie con parte centrale un po' rosso-bruna (carattere critico per me)
- mesonoto con punti fini ma definibili netti.
Graditi i Vs. pareri. Grazie. Giorgio. :hi:
DSCF1721.JPG



DSCF1719.JPG

Top
profilo
 Oggetto del messaggio: Re: Tenthredopsis da ID
MessaggioInviato: 16/05/2015, 15:39 
Avatar utente

Iscritto il: 05/02/2009, 17:31
Messaggi: 9527
Località: milano
Nome: maurizio pavesi
inutile che aspetti me :mrgreen: con le Tenthredopsis non ci provo neanche

_________________
*****************
Immagine maurizio


Top
profilo
 Oggetto del messaggio: Re: Tenthredopsis da ID
MessaggioInviato: 16/05/2015, 16:18 
 

Iscritto il: 08/12/2013, 1:52
Messaggi: 7590
Località: Bagnacavallo (RA)
Nome: Giorgio Pezzi
gomphus ha scritto:
inutile che aspetti me :mrgreen: con le Tenthredopsis non ci provo neanche

:cry:
E del Dolerus più sotto che ne dici?
:hi:


Top
profilo
Visualizza ultimi messaggi:  Ordina per  
nuovo argomento
rispondi
Pagina 1 di 1 [ 3 messaggi ]

Tutti gli orari sono UTC + 1 ora [ ora legale ]


Chi c’è in linea

Visitano il forum: Nessuno e 1 ospite


Non puoi aprire nuovi argomenti
Non puoi rispondere negli argomenti
Non puoi modificare i tuoi messaggi
Non puoi cancellare i tuoi messaggi
Non puoi inviare allegati

Cerca per:
Vai a: