Benvenuto Ospite

Forum Entomologi Italiani

www.entomologiitaliani.net/forum
 
Oggi è 22/04/2026, 23:33

Tutti gli orari sono UTC + 1 ora [ ora legale ]

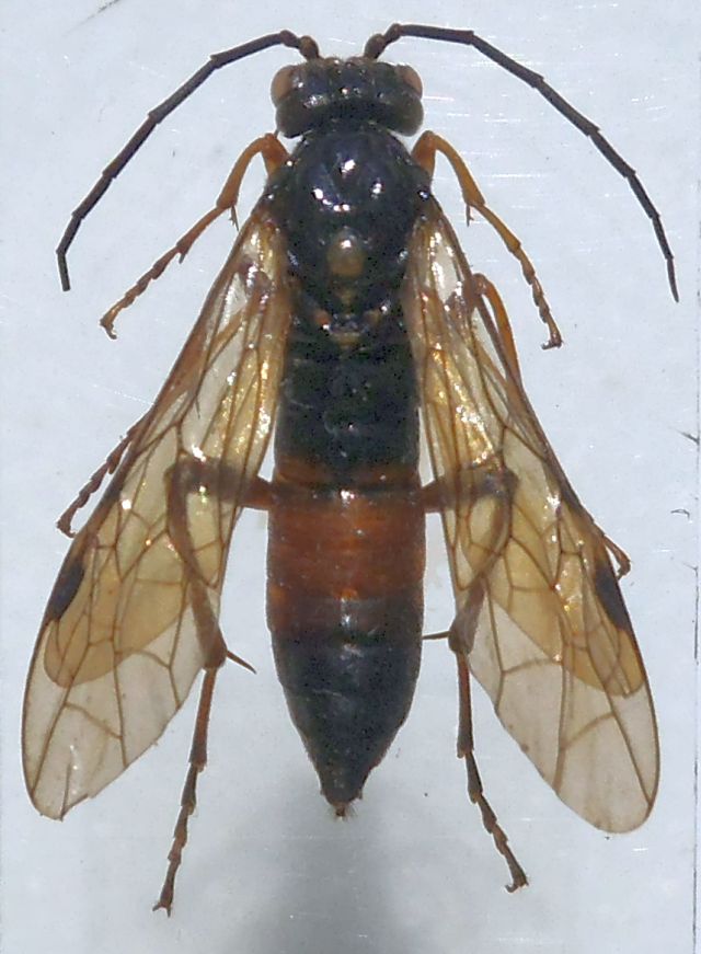
Tenthredopsis sp. - Tenthredinidae

1.VI.2014 - ITALIA - Friuli-Venezia Giulia - TS, Rupinpiccolo, 300 m


nuovo argomento
rispondi
Pagina 1 di 1 [ 1 messaggio ]
Autore Messaggio
 Oggetto del messaggio: Tenthredopsis sp. - Tenthredinidae
MessaggioInviato: 28/05/2015, 11:31 
 

Iscritto il: 08/12/2013, 1:52
Messaggi: 7701
Località: Bagnacavallo (RA)
Nome: Giorgio Pezzi
Agli amanti del genere (ne conosco uno di Milano :gh: ) propongo questo secondo esemplare femmina di mm 13: si riconosce? Molto simile a questo viewtopic.php?f=11&t=61851 salvo per il colore dell'addome, con caratteristiche identiche che ripropongo: clipeo bianco (come il labbro), appena arcuato; mesopleure con fini punti, lucide; ipopigio ad apice incavato, coi lati pallidi e centro bruno scuro. Anche questo somiglia ad una grossa carbonaria. :roll:
Grazie. :hi:
DSCF1752.JPG



DSCF1750.JPG

Top
profilo
Visualizza ultimi messaggi:  Ordina per  
nuovo argomento
rispondi
Pagina 1 di 1 [ 1 messaggio ]

Tutti gli orari sono UTC + 1 ora [ ora legale ]


Chi c’è in linea

Visitano il forum: Nessuno e 1 ospite


Non puoi aprire nuovi argomenti
Non puoi rispondere negli argomenti
Non puoi modificare i tuoi messaggi
Non puoi cancellare i tuoi messaggi
Non puoi inviare allegati

Cerca per:
Vai a: