Benvenuto Ospite

Forum Entomologi Italiani

www.entomologiitaliani.net/forum
 
Oggi è 21/04/2026, 10:28

Tutti gli orari sono UTC + 1 ora [ ora legale ]

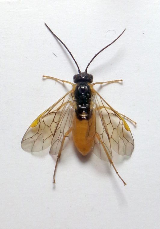
Amauronematus (Brachycoluma) sp. - Tenthredinidae Nematinae

3.IV.2019 - ITALIA - Emilia-Romagna - RA, Mezzano (RA)


nuovo argomento
rispondi
Vai alla pagina 1, 2  Prossimo
Pagina 1 di 2 [ 18 messaggi ]
Autore Messaggio
MessaggioInviato: 04/04/2019, 18:48 
 

Iscritto il: 08/12/2013, 1:52
Messaggi: 7698
Località: Bagnacavallo (RA)
Nome: Giorgio Pezzi
A me pare una femmina di tale specie. Confermate? mm 7,5. Foto fatte col telefonino :(
Grazie. :hi:
DSC00397.JPG



DSC00393.JPG

Top
profilo
MessaggioInviato: 09/04/2019, 22:12 
Avatar utente

Iscritto il: 05/02/2009, 17:31
Messaggi: 9527
Località: milano
Nome: maurizio pavesi
premesso che a quanto mi ha segnalato fausto pesarini, recentemente è stata confermata la separazione generica, anzi la notevole distanza, fra Nematus e Pteronidea (meglio tardi che mai :to: ), forse l'unico aspetto sensato di uno studio per il resto alquanto sconclusionato :x

ho provato a darci un'occhiata, ma i caratteri che non si vedono sono troppi :sick: in più nel faune de france, riguardo a P. pavida, tabella dicotomica ("tête jaune") e descrizione ("tête noire") si contraddicono :cry: quindi devo cercare qualcos'altro

ad ogni modo, ho raccolto recentemente alcuni exx. di qualcosa che sembra molto simile, intanto provo ad arrivarci da quelli

_________________
*****************
Immagine maurizio


Top
profilo
MessaggioInviato: 10/04/2019, 21:28 
 

Iscritto il: 08/12/2013, 1:52
Messaggi: 7698
Località: Bagnacavallo (RA)
Nome: Giorgio Pezzi
Ho notato nella chiave l'incongruenza ma è un palese errore giacchè nella descrizione si dice che la specie ha testa nera e parti boccali chiare; per questo ho ipotizzato la specie. Il resto dei caratteri infatti combaciano tutti.
:hi:


Top
profilo
MessaggioInviato: 11/04/2019, 11:40 
Avatar utente

Iscritto il: 22/11/2010, 18:16
Messaggi: 1130
Località: Donzy (Bourgogne : Dipart. Nièvre) - Francia
Nome: Jean-Pierre Balmer
gomphus ha scritto:
premesso che a quanto mi ha segnalato fausto pesarini, recentemente è stata confermata la separazione generica, anzi la notevole distanza, fra Nematus e Pteronidea (meglio tardi che mai :to: ), forse l'unico aspetto sensato di uno studio per il resto alquanto sconclusionato :x

ho provato a darci un'occhiata, ma i caratteri che non si vedono sono troppi :sick: in più nel faune de france, riguardo a P. pavida, tabella dicotomica ("tête jaune") e descrizione ("tête noire") si contraddicono :cry: quindi devo cercare qualcos'altro

ad ogni modo, ho raccolto recentemente alcuni exx. di qualcosa che sembra molto simile, intanto provo ad arrivarci da quelli

Berland (french key) has often incomplely translations of Enslin’s descriptions.
According to this latter Author, the colour of the head of pavidus can vary from yellow to almost entirely black.
---
if you still have the insect, use viewtopic.php?f=375&t=80350&hilit=+nematinae , to identify genus and sub-genus


Top
profilo
MessaggioInviato: 11/04/2019, 21:42 
 

Iscritto il: 08/12/2013, 1:52
Messaggi: 7698
Località: Bagnacavallo (RA)
Nome: Giorgio Pezzi
D & JP Balmer ha scritto:
Berland (french key) has often incomplely translations of Enslin’s descriptions.
According to this latter Author, the colour of the head of pavidus can vary from yellow to almost entirely black.
---
if you still have the insect, use viewtopic.php?f=375&t=80350&hilit=+nematinae , to identify genus and sub-genus

Thanks. Running along the key I stop to point 8 first option -> Amauronematus?
I resume others main characters of this female:
- vein Sc placed before M;
- FW anal cell petiolate;
- clypeus margin deeply excised;
- antenna clearly tapered toward apex;
- frontal crest non angularly produced, from above anteriorly flattened and with one longitudinal central dimple.
:hi:


Top
profilo
MessaggioInviato: 13/04/2019, 10:32 
Avatar utente

Iscritto il: 22/11/2010, 18:16
Messaggi: 1130
Località: Donzy (Bourgogne : Dipart. Nièvre) - Francia
Nome: Jean-Pierre Balmer
Chalybion ha scritto:
D & JP Balmer ha scritto:
Berland (french key) has often incomplely translations of Enslin’s descriptions.
According to this latter Author, the colour of the head of pavidus can vary from yellow to almost entirely black.
---
if you still have the insect, use viewtopic.php?f=375&t=80350&hilit=+nematinae , to identify genus and sub-genus

Thanks. Running along the key I stop to point 8 first option -> Amauronematus?
I resume others main characters of this female:
- vein Sc placed before M;
- FW anal cell petiolate;
- clypeus margin deeply excised;
- antenna clearly tapered toward apex;
- frontal crest non angularly produced, from above anteriorly flattened and with one longitudinal central dimple.
:hi:

YES ! Genus (or sub-Genus according to some Authors) Amauronematus
See sub-Genus & species with viewtopic.php?f=375&t=80484&hilit=+amauronematus


Top
profilo
MessaggioInviato: 14/04/2019, 18:09 
 

Iscritto il: 08/12/2013, 1:52
Messaggi: 7698
Località: Bagnacavallo (RA)
Nome: Giorgio Pezzi
Sorry but I am enable to continue along keys with confidence: my final result bring to Brachycoluma viduatus (?) but it's so different in body. So I prefere to show some other pictures taken with stereo microscope for more opinions. Thank's anyway to all. :hi:
saw.jpg



malar.jpg

mesonotum.jpg

DSC00407.JPG

Top
profilo
MessaggioInviato: 15/04/2019, 2:16 
Avatar utente

Iscritto il: 22/11/2010, 18:16
Messaggi: 1130
Località: Donzy (Bourgogne : Dipart. Nièvre) - Francia
Nome: Jean-Pierre Balmer
It seems to me that the sawsheat has parallel sides, not triangular ?


Top
profilo
MessaggioInviato: 18/04/2019, 21:30 
 

Iscritto il: 08/12/2013, 1:52
Messaggi: 7698
Località: Bagnacavallo (RA)
Nome: Giorgio Pezzi
It is one of the difficulty also for me: at the base it is largely triangular (equilateral about, as in photo) but I don't know in wich point to evaluate it.
:hi:


Top
profilo
MessaggioInviato: 19/04/2019, 15:18 
Avatar utente

Iscritto il: 22/11/2010, 18:16
Messaggi: 1130
Località: Donzy (Bourgogne : Dipart. Nièvre) - Francia
Nome: Jean-Pierre Balmer
I’m not sure what you’re seeing triangular belongs to the Sawsheat.
So have you a lateral view of Sawsheat ?


Top
profilo
MessaggioInviato: 19/04/2019, 20:38 
 

Iscritto il: 08/12/2013, 1:52
Messaggi: 7698
Località: Bagnacavallo (RA)
Nome: Giorgio Pezzi
Like this?
DSC00408.JPG


:hi:


Top
profilo
MessaggioInviato: 21/04/2019, 0:10 
Avatar utente

Iscritto il: 22/11/2010, 18:16
Messaggi: 1130
Località: Donzy (Bourgogne : Dipart. Nièvre) - Francia
Nome: Jean-Pierre Balmer
Saluti,

- According to Muche 1975 (Entomologische Abhandlungen - band 40 supplement II - p.9),
    the Pterostigma of viduatus ♀ has a dark border, so your capture is not viduatus
- According to Lindqvist 1945 (Notulae entomologicae - XXV - p.103),
    the hairs of the Sawsheat of viduatus are long, so your capture is not viduatus
So your capture is erectus (Lindqvist 1945)

Amauronematus (Brachycoluma) = Nematus (Amauronematus) = Euura

Ciao,
D & JP Balmer


Top
profilo
MessaggioInviato: 21/04/2019, 14:36 
Avatar utente

Iscritto il: 22/11/2010, 18:16
Messaggi: 1130
Località: Donzy (Bourgogne : Dipart. Nièvre) - Francia
Nome: Jean-Pierre Balmer
What did you include in the 7.5 mm length of your insect ?
Thanks


Top
profilo
MessaggioInviato: 22/04/2019, 12:03 
 

Iscritto il: 08/12/2013, 1:52
Messaggi: 7698
Località: Bagnacavallo (RA)
Nome: Giorgio Pezzi
Thanks a lot. Total body lenght (from front to end of abdomen seen from upper view) is correctly 7.7 mm. If you confirm Amauronematus (Brachycoluma) erectus Lindqvist, 1945 this species is not present in Italy as Faunaeur says, only in France, Sweden and Finland. Not present also in italian Checklist.
:hi:


Top
profilo
MessaggioInviato: 22/04/2019, 13:18 
Avatar utente

Iscritto il: 22/11/2010, 18:16
Messaggi: 1130
Località: Donzy (Bourgogne : Dipart. Nièvre) - Francia
Nome: Jean-Pierre Balmer
- According to EcatSym, erectus is present in Italy.
- But it is not erectus, because this species has a maximum length of 5.5 mm !
- My key (see viewtopic.php?f=375&t=80484&hilit=+amauronematus) contains only French & Italian species, I will have to search for other European species (without guarantee of success ...)


Top
profilo
Visualizza ultimi messaggi:  Ordina per  
nuovo argomento
rispondi
Vai alla pagina 1, 2  Prossimo
Pagina 1 di 2 [ 18 messaggi ]

Tutti gli orari sono UTC + 1 ora [ ora legale ]


Chi c’è in linea

Visitano il forum: Nessuno e 1 ospite


Non puoi aprire nuovi argomenti
Non puoi rispondere negli argomenti
Non puoi modificare i tuoi messaggi
Non puoi cancellare i tuoi messaggi
Non puoi inviare allegati

Cerca per:
Vai a:  
cron