Benvenuto Ospite

Forum Entomologi Italiani

www.entomologiitaliani.net/forum
 
Oggi è 21/03/2026, 15:43

Tutti gli orari sono UTC + 1 ora [ ora legale ]

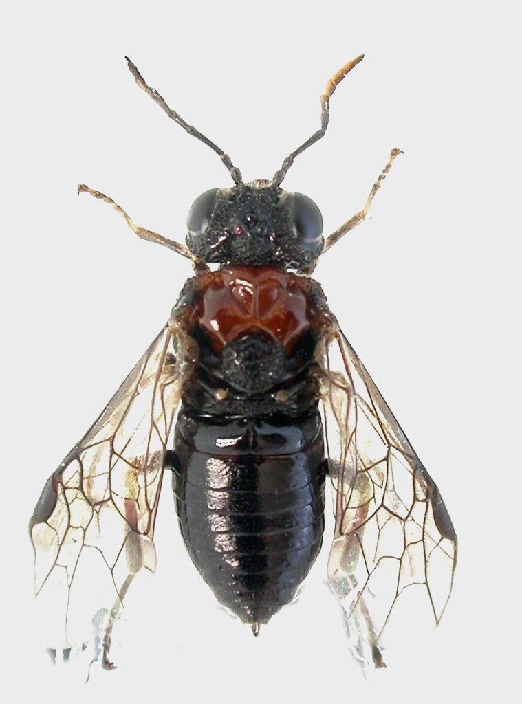
Eriocampa ovata (Linnaeus, 1761) - Tenthredinidae Allantinae

2.IX.2019 - ITALIA - Sardegna - CA, Monte Crèsia, loc. Bau Arrèxini, R. Rattu leg.


nuovo argomento
rispondi
Pagina 1 di 1 [ 3 messaggi ]
Autore Messaggio
MessaggioInviato: 03/09/2019, 12:43 
Avatar utente

Iscritto il: 02/09/2009, 20:57
Messaggi: 8703
Località: Cagliari
Nome: Roberto Rattu
Esemplare lungo 7 mm:

DSCN4164.JPG



Top
profilo
 Oggetto del messaggio: Re: Symphyta da id.
MessaggioInviato: 03/09/2019, 14:31 
Avatar utente

Iscritto il: 05/02/2009, 17:31
Messaggi: 9527
Località: milano
Nome: maurizio pavesi
Eriocampa ovata (Linnaeus, 1761)

_________________
*****************
Immagine maurizio


Top
profilo
MessaggioInviato: 04/09/2019, 23:06 
Avatar utente

Iscritto il: 02/09/2009, 20:57
Messaggi: 8703
Località: Cagliari
Nome: Roberto Rattu
Ciao, grazie :)

:hi:


Top
profilo
Visualizza ultimi messaggi:  Ordina per  
nuovo argomento
rispondi
Pagina 1 di 1 [ 3 messaggi ]

Tutti gli orari sono UTC + 1 ora [ ora legale ]


Chi c’è in linea

Visitano il forum: Nessuno e 6 ospiti


Non puoi aprire nuovi argomenti
Non puoi rispondere negli argomenti
Non puoi modificare i tuoi messaggi
Non puoi cancellare i tuoi messaggi
Non puoi inviare allegati

Cerca per:
Vai a: