Forum Entomologi Italiani
https://www.entomologiitaliani.net/public/forum/phpBB3/

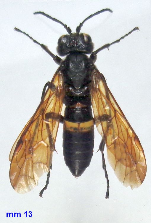
Tenthredo (Cephaledo) caucasica cinctaria Enslin, 1912 - Tenthredinidae
https://www.entomologiitaliani.net/public/forum/phpBB3/viewtopic.php?f=375&t=91621
Pagina 1 di 1

Autore:  Chalybion [ 04/08/2020, 20:55 ]
Oggetto del messaggio:  Tenthredo (Cephaledo) caucasica cinctaria Enslin, 1912 - Tenthredinidae

Chiedo conferma di questa femmina, reperita su ombrellifera assieme a T. crassa e T. arcuata; rispetto a T. bifasciata mi ha colpito per le tibie tutte nere. mm 13. Grazie.
:hi:

Allegati:
DSC04683.JPG

DSC03452.JPG

DSC03450.JPG

DSC03451.JPG

DSC03449.JPG


Autore:  D & JP Balmer [ 05/08/2020, 2:52 ]
Oggetto del messaggio:  Re: Tenthredo (Cephaledo) caucasica cinctaria Enslin, 1912

Superb capture, Excellent identification, very nice photos , BRAVO !

Autore:  gomphus [ 05/08/2020, 11:03 ]
Oggetto del messaggio:  Re: Tenthredo (Cephaledo) caucasica cinctaria Enslin, 1912

bellissima :p :p :p

Autore:  Chalybion [ 05/08/2020, 19:00 ]
Oggetto del messaggio:  Re: Tenthredo (Cephaledo) caucasica cinctaria Enslin, 1912

Grazie a entrambi, ma almeno la foto 1 è scarsa per indisponibilità di fotocamera adeguata. Però immaginavo fosse un buon reperto. :hi:

Autore:  D & JP Balmer [ 06/08/2020, 11:53 ]
Oggetto del messaggio:  Re: Tenthredo (Cephaledo) caucasica cinctaria Enslin, 1912

A precision : caucasica caucasica was never captured in Europe, but only in the Caucasus.

Autore:  Chalybion [ 17/09/2025, 20:04 ]
Oggetto del messaggio:  Re: Tenthredo (Cephaledo) caucasica cinctaria Enslin, 1912 - Tenthredinidae

Grazie a Maurizio Pavesi che mi ha ricordato questo topic e mostrato interesse all'esemplare ;) ; ne ho approfittato per cambiare la prima foto con una migliore. Inoltre pare che Cephaledo sia oggi accettato come genere. :hi:

Pagina 1 di 1 Tutti gli orari sono UTC + 1 ora [ ora legale ]
Powered by phpBB® Forum Software © phpBB Group
http://www.phpbb.com/