Benvenuto Ospite

Forum Entomologi Italiani

www.entomologiitaliani.net/forum
 
Oggi è 10/03/2026, 8:31

Tutti gli orari sono UTC + 1 ora [ ora legale ]

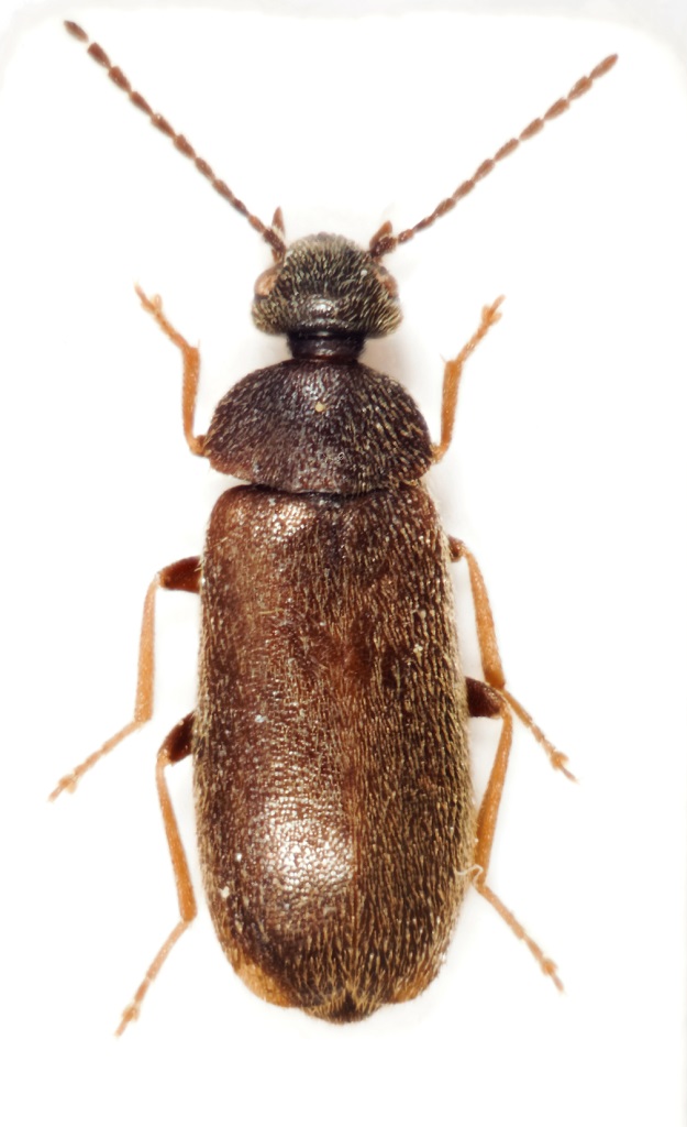
Scraptia dubia (Olivier, 1790) - Scraptiidae

12.VI.2021 - ITALIA - Lazio - RM, X miglio dell'Appia Antica, Rm


nuovo argomento
rispondi
Pagina 1 di 1 [ 5 messaggi ]
Autore Messaggio
MessaggioInviato: 31/03/2023, 19:17 
Avatar utente

Iscritto il: 05/05/2016, 11:22
Messaggi: 2985
Località: Santa Maria delle mole, Marino, Rm
Nome: Roberto Vanzini
Dim. 4,95 mm

Potete aiutarmi con l'identificazione per favore?
Purtroppo il nuovo obiettivo non mi da grandi risultati.


2023-03-31 18-20-24 (C,S3)1.jpg


_________________
Roberto Vanzini
Top
profilo
 Oggetto del messaggio: Re: Aiuto ID
MessaggioInviato: 31/03/2023, 20:07 
Avatar utente

Iscritto il: 13/10/2010, 18:21
Messaggi: 1997
Nome: Andrea Liberto
Penserei a Scraptia sp.

A.


Top
profilo
 Oggetto del messaggio: Re: Aiuto ID
MessaggioInviato: 31/03/2023, 20:33 
Avatar utente

Iscritto il: 05/05/2016, 11:22
Messaggi: 2985
Località: Santa Maria delle mole, Marino, Rm
Nome: Roberto Vanzini
Hai ragione Andrea. Vediamo se si può arrivare alla specie.

_________________
Roberto Vanzini


Top
profilo
 Oggetto del messaggio: Re: Aiuto ID
MessaggioInviato: 31/03/2023, 20:41 
Avatar utente

Iscritto il: 16/02/2009, 23:39
Messaggi: 1368
Località: Mirano (Venezia)
Nome: Enrico Ruzzier
Scraptia dubia :hi:

_________________
«Discendiamo da scimmie evolute, non da angeli caduti» Robert Ardrey


Top
profilo
MessaggioInviato: 31/03/2023, 21:53 
Avatar utente

Iscritto il: 05/05/2016, 11:22
Messaggi: 2985
Località: Santa Maria delle mole, Marino, Rm
Nome: Roberto Vanzini
Grazie Enrico :birra:

_________________
Roberto Vanzini


Top
profilo
Visualizza ultimi messaggi:  Ordina per  
nuovo argomento
rispondi
Pagina 1 di 1 [ 5 messaggi ]

Tutti gli orari sono UTC + 1 ora [ ora legale ]


Chi c’è in linea

Visitano il forum: Nessuno e 1 ospite


Non puoi aprire nuovi argomenti
Non puoi rispondere negli argomenti
Non puoi modificare i tuoi messaggi
Non puoi cancellare i tuoi messaggi
Non puoi inviare allegati

Cerca per:
Vai a:  
cron