|
Tutti gli orari sono UTC + 1 ora [ ora legale ] |

|
| Autore | Messaggio | ||
|---|---|---|---|
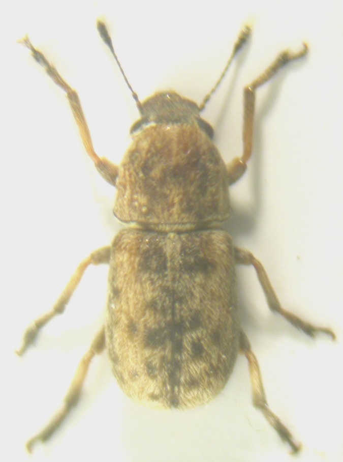
| Fumea crassiorella |
|
||
|
Iscritto il: 02/09/2009, 20:57 Messaggi: 8703 Località: Cagliari Nome: Roberto Rattu |
|
||
| Top |
|
||
|
Tutti gli orari sono UTC + 1 ora [ ora legale ] |
Chi c’è in linea |
Visitano il forum: Nessuno e 2 ospiti |
Non puoi aprire nuovi argomenti Non puoi rispondere negli argomenti Non puoi modificare i tuoi messaggi Non puoi cancellare i tuoi messaggi Non puoi inviare allegati |