Benvenuto Ospite

Forum Entomologi Italiani

www.entomologiitaliani.net/forum
 
Oggi è 07/02/2026, 19:07

Tutti gli orari sono UTC + 1 ora [ ora legale ]

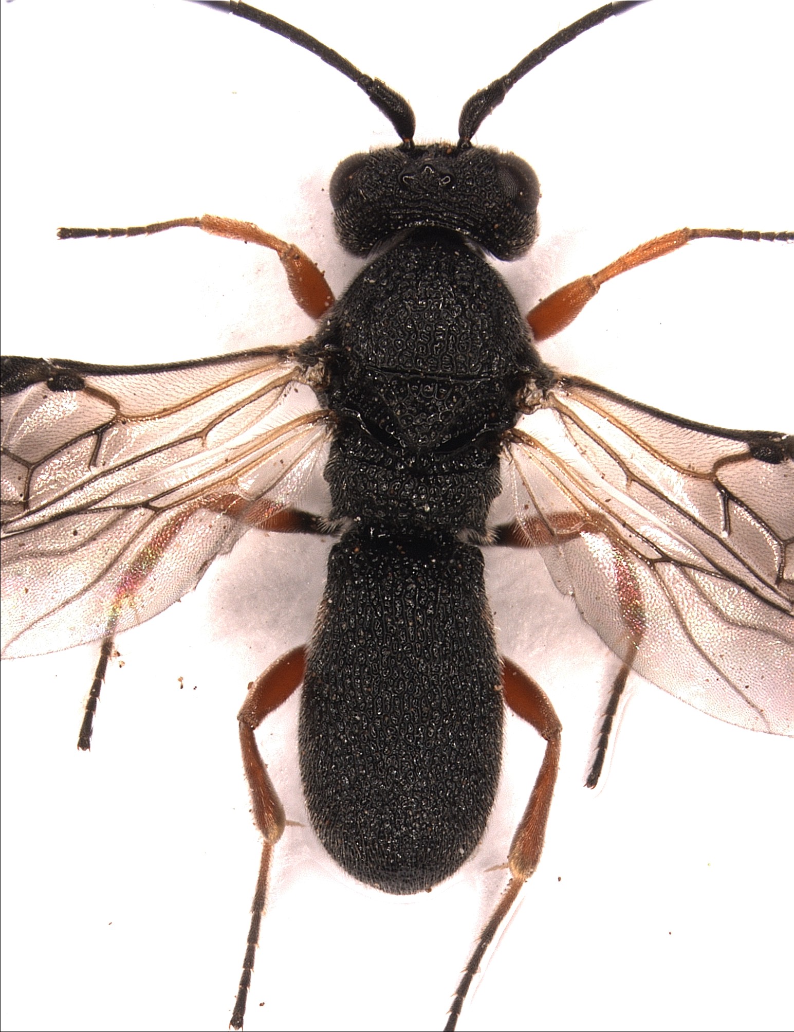
Chelonus sp. - Ichneumonoidea, Braconidae, Cheloninae

19.X.2009 - ITALIA - Sardegna - SS, Olmedo, Pulpazos


nuovo argomento
rispondi
Pagina 1 di 1 [ 14 messaggi ]
Autore Messaggio
MessaggioInviato: 19/10/2009, 19:40 
Avatar utente

Iscritto il: 02/02/2009, 23:32
Messaggi: 5645
Località: da Ferrara ad Alghero
Nome: Roberto A. Pantaleoni
In attesa di farmi venire in mente cosa sia (o meglio in che testo io l'abbia visto). Raccolto a sfalcio nell'erba di un piccolo frutteto.

Olmeno: Pulpazos; 19 ottobre 2009; 6 mm
Olmedo_19ott2009_6mm_1.jpg


Olmedo_19ott2009_6mm_2.jpg


visione ventrale
Olmedo_19ott2009_6mm_3.jpg



Ciao Roberto :to:

_________________
verum stabile cetera fumus


Top
profilo
MessaggioInviato: 19/10/2009, 19:48 
Avatar utente

Iscritto il: 05/02/2009, 17:31
Messaggi: 9527
Località: milano
Nome: maurizio pavesi
ciao roberto

se non mi sbaglio :oops: non è un proctotrupoideo, è un icneumonoideo, un Chelonus sp. (Braconidae Cheloninae)

_________________
*****************
Immagine maurizio


Top
profilo
MessaggioInviato: 19/10/2009, 20:29 
Avatar utente

Iscritto il: 02/02/2009, 23:32
Messaggi: 5645
Località: da Ferrara ad Alghero
Nome: Roberto A. Pantaleoni
Tutte le volte che mia mamma (Maurizio/Gomphus l'ha conosciuta) vede degli asiatici dice: "quei cinesi". Se gli si fa notare che nel caso specifico sono giapponesi, lei risponde invariabilmente: "cinesi, giapponesi, sono tutti uguali" :D !

Temo che il figlio abbia preso dalla madre :oops: :gh: :oops: !

Quasi sicuramente ha ragione Maurizio!

Roberto :to:

_________________
verum stabile cetera fumus


Top
profilo
MessaggioInviato: 19/10/2009, 20:34 
Avatar utente

Iscritto il: 05/07/2009, 12:23
Messaggi: 6895
Località: Anzio (RM)
Nome: Vittorio Risoldi
:o ...bellissima specie ! tutta nera opaca e rugosa !

_________________
°°°°°°°°°°°°°°°°°°°°°°°°°°°°°°°°°°°°°°°°
Ciao
Vittorio


Flickr

Phe Immagini

Facebook


Top
profilo
MessaggioInviato: 19/10/2009, 21:16 
Avatar utente

Iscritto il: 06/02/2009, 9:02
Messaggi: 1429
Località: Verona - Roma - Foggia e sporadicamente Padova
Nome: Filippo Di Giovanni
Sisi, io non ne so nulla ma è sicuramente un Braconide, alcuni hanno questo enorme tergite che ingloba tutto l'addome...

_________________
"Non posso separare il piacere estetico che provo nel vedere una farfalla dal piacere scientifico di sapere che cosa è" (V.Nabokov)


Top
profilo
MessaggioInviato: 19/10/2009, 21:23 
Avatar utente

Iscritto il: 02/02/2009, 23:32
Messaggi: 5645
Località: da Ferrara ad Alghero
Nome: Roberto A. Pantaleoni
Mi è venuto in mente, mi ricorda un Ascogaster (Braconidae), genere con specie che parassitoidizzano le larve di carpocapsa (il verme della mela). Una specie veniva allevata nell'Istituto di Entomologia di Piacenza.

Ciao Roberto :to:

_________________
verum stabile cetera fumus


Top
profilo
MessaggioInviato: 19/10/2009, 21:47 
Avatar utente

Iscritto il: 06/02/2009, 9:02
Messaggi: 1429
Località: Verona - Roma - Foggia e sporadicamente Padova
Nome: Filippo Di Giovanni
Allora Roberto, se dici che è lui, ti potresti cimentare con la chiave:

The Palaearctic species of Ascogaster - Bull.Brit.Mus.49(5)

:shock:

_________________
"Non posso separare il piacere estetico che provo nel vedere una farfalla dal piacere scientifico di sapere che cosa è" (V.Nabokov)


Top
profilo
MessaggioInviato: 19/10/2009, 21:51 
Avatar utente

Iscritto il: 02/02/2009, 23:32
Messaggi: 5645
Località: da Ferrara ad Alghero
Nome: Roberto A. Pantaleoni
Eopteryx ha scritto:
Allora Roberto, se dici che è lui, ti potresti cimentare con la chiave:

The Palaearctic species of Ascogaster - Bull.Brit.Mus.49(5)

:shock:

Veramente ho detto che ci assomiglia :bit !

Comunque posso provarci!

Roberto :to:

_________________
verum stabile cetera fumus


Top
profilo
MessaggioInviato: 19/10/2009, 22:25 
Avatar utente

Iscritto il: 05/02/2009, 17:31
Messaggi: 9527
Località: milano
Nome: maurizio pavesi
ho scaricato il lavoro, e dalla tabella dei generi, in base alla venatura alare, sembra proprio un Chelonus, non un Ascogaster...

roberto, controlla (e possibilmente fotografa :D ) se gli occhi sono vistosamente pubescenti (Chelonus) o no (Ascogaster)

_________________
*****************
Immagine maurizio


Top
profilo
MessaggioInviato: 19/10/2009, 22:27 
Avatar utente

Iscritto il: 02/02/2009, 23:32
Messaggi: 5645
Località: da Ferrara ad Alghero
Nome: Roberto A. Pantaleoni
Bene le chiavi mi dicono che ha ragione Maurizio: Chelonus!

Chiavi per Chelonus :mrgreen: ?

Roberto :to:


PS: Maurizio mi ha già anticipato. Se clicchi sulla seconda foto si vede bene la pubescenza degli occhi, ma la nervatura alare è proprio inconfondibile!

_________________
verum stabile cetera fumus


Top
profilo
MessaggioInviato: 19/10/2009, 22:37 
Amministratore
Avatar utente

Iscritto il: 02/02/2009, 23:30
Messaggi: 7105
Località: Capaci (Pa)
Nome: Marcello Romano
Hemerobius ha scritto:
Bene le chiavi mi dicono che ha ragione Maurizio: Chelonus!

Chiavi per Chelonus :mrgreen: ?

Roberto :to:



Intanto posso fornirtene una in catalano, con le tabelle per i sottogeneri (due) e diverse specie. :mrgreen:

http://ponent.atspace.org/fauna/ins/fam ... us_che.htm

Il genere conta poche specie, come riferito nel testo: "Gènere amb 25 espècies a la península, 168 al continent" :twisted:

Se preferisci, potresti procurarti le tabelle originali da cui queste sono tradotte:

MEDVEDEV, G.S. (Ed.), 1986
Keys to the insects of the European part of the Ussr. Braconidae I.
Vol.III. Pt.4 (Braconidae)

Naturalmente queste ultime sono in russo :lol1:

_________________
:hi: Marcello Romano


Top
profilo
MessaggioInviato: 19/10/2009, 22:43 
Avatar utente

Iscritto il: 06/02/2009, 9:02
Messaggi: 1429
Località: Verona - Roma - Foggia e sporadicamente Padova
Nome: Filippo Di Giovanni
Nel qual caso, Roberto, sappi che ti sono vicino e hai tutta la mia comprensione...

Comunque sulla checklist sono segnalate per la Sardegna appena 2 specie, ma se si va su fauna eur, il genere non è per nulla piccolo ! La più comune sembrerebbe C.oculator (Panzer)...

_________________
"Non posso separare il piacere estetico che provo nel vedere una farfalla dal piacere scientifico di sapere che cosa è" (V.Nabokov)


Ultima modifica di Eopteryx il 19/10/2009, 22:55, modificato 1 volta in totale.

Top
profilo
MessaggioInviato: 19/10/2009, 22:52 
Avatar utente

Iscritto il: 05/02/2009, 17:31
Messaggi: 9527
Località: milano
Nome: maurizio pavesi
Velvet Ant ha scritto:
... Il genere conta poche specie, come riferito nel testo: "Génere amb 25 espècies a la península, 168 al continent" :twisted: ...

e per di più questa non viene né dalla penisola né dal continente :gh: :mrgreen: :lol1:

_________________
*****************
Immagine maurizio


Top
profilo
MessaggioInviato: 20/10/2009, 6:26 
Avatar utente

Iscritto il: 02/02/2009, 23:32
Messaggi: 5645
Località: da Ferrara ad Alghero
Nome: Roberto A. Pantaleoni
Marcello ... archiviala come Chelonus sp. :ok: !

Ciao Roberto :to:

_________________
verum stabile cetera fumus


Top
profilo
Visualizza ultimi messaggi:  Ordina per  
nuovo argomento
rispondi
Pagina 1 di 1 [ 14 messaggi ]

Tutti gli orari sono UTC + 1 ora [ ora legale ]


Chi c’è in linea

Visitano il forum: Nessuno e 1 ospite


Non puoi aprire nuovi argomenti
Non puoi rispondere negli argomenti
Non puoi modificare i tuoi messaggi
Non puoi cancellare i tuoi messaggi
Non puoi inviare allegati

Cerca per:
Vai a: