Benvenuto Ospite

Forum Entomologi Italiani

www.entomologiitaliani.net/forum
 
Oggi è 29/04/2026, 19:37

Tutti gli orari sono UTC + 1 ora [ ora legale ]

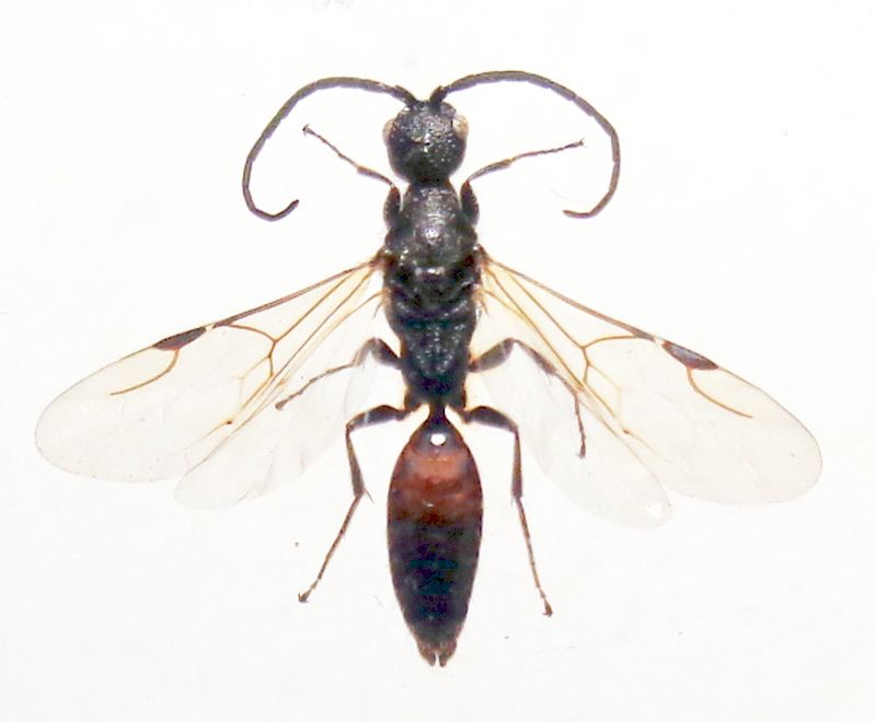
Pristocera depressa (Fabricius, 1805) (cf.) - Bethylidae

6.XI.2017 - ITALIA - Abruzzo - CH, Borrello, loc Baronessa


nuovo argomento
rispondi
Pagina 1 di 1 [ 9 messaggi ]
Autore Messaggio
MessaggioInviato: 06/06/2020, 11:16 
 

Iscritto il: 08/12/2013, 1:52
Messaggi: 7704
Località: Bagnacavallo (RA)
Nome: Giorgio Pezzi
In questa discussione viewtopic.php?f=392&t=57779&hilit=pristocera si cita P. masii come la sola specie presente in Italia secondo Faunaeur e così è, ma la cklist italiana cita:
- depressa (Fabricius, 1805) (S)
- masii Giordani Soika, 1933 (N)
secondo la quale questa sarebbe P. depressa vista la provenienza. Chi ha ragione?
esemplare di mm 10. legit Di Taddeo V. (dtvd)
:hi:

DSC02826.JPG



DSC02830.JPG

DSC02828.JPG

Top
profilo
 Oggetto del messaggio: Re: Pristocera sp., Bethylidae
MessaggioInviato: 06/06/2020, 21:13 
 

Iscritto il: 10/07/2010, 14:42
Messaggi: 4870
Nome: Giuseppe Pace
Questo è bello.
Dovrebbe essere un maschio.

Non conosco direttamente le due specie.
Provo a vedere se trovo qualche cosa.

Quanto alla cklist italiana penso abbia ampi margini di aggiornamento.

Ciao
Giuseppe


Top
profilo
 Oggetto del messaggio: Re: Pristocera sp., Bethylidae
MessaggioInviato: 06/06/2020, 21:19 
 

Iscritto il: 08/12/2013, 1:52
Messaggi: 7704
Località: Bagnacavallo (RA)
Nome: Giorgio Pezzi
"Quanto alla cklist italiana penso abbia ampi margini di aggiornamento."

perchè, Faunaeur no??? :lol:
In generale intendo, non so in questo caso...
:hi:


Top
profilo
 Oggetto del messaggio: Re: Pristocera sp., Bethylidae
MessaggioInviato: 07/06/2020, 14:09 
 

Iscritto il: 10/07/2010, 14:42
Messaggi: 4870
Nome: Giuseppe Pace
Questo lavoro penso sia utile:
https://www.google.it/url?q=https://www.semanticscholar.org/paper/Pristocera-masii%253A-rediscovery-of-the-holotype-and-Alencar-Colombo/ff1f0fa8dfc7ce10b853bc833e74fd9b3c91e904&sa=U&ved=2ahUKEwjtv_yK1e_pAhWL16YKHXM_CawQFjABegQIAxAB&usg=AOvVaw0tlzKcWIPHZ2F2EmDNCBOY

Ciao
Giuseppe


Top
profilo
 Oggetto del messaggio: Re: Pristocera sp., Bethylidae
MessaggioInviato: 07/06/2020, 18:33 
 

Iscritto il: 08/12/2013, 1:52
Messaggi: 7704
Località: Bagnacavallo (RA)
Nome: Giorgio Pezzi
Sì, quantomeno per dubitare che sia la stessa specie già a leggere la colorazione; però questo è identico, pare, a quello di Marco Selis del link. Dovrò scollarlo ed estrarlo. :hi:


Top
profilo
 Oggetto del messaggio: Re: Pristocera sp., Bethylidae
MessaggioInviato: 09/06/2020, 16:32 
 

Iscritto il: 10/07/2010, 14:42
Messaggi: 4870
Nome: Giuseppe Pace
Chalybion ha scritto:
Sì, quantomeno per dubitare che sia la stessa specie già a leggere la colorazione; però questo è identico, pare, a quello di Marco Selis del link. Dovrò scollarlo ed estrarlo.


Il carattere dell'ipopigidio sembra confermare il genere Pristocera per entrambi gli esemplari.
L'estrazione dovrebbe confermare che non si tratta del masii.

Ciao
Giuseppe


Top
profilo
 Oggetto del messaggio: Re: Pristocera sp., Bethylidae
MessaggioInviato: 10/06/2020, 11:40 
 

Iscritto il: 08/12/2013, 1:52
Messaggi: 7704
Località: Bagnacavallo (RA)
Nome: Giorgio Pezzi
Non ricordavo ma qui https://www.naturamediterraneo.com/foru ... _ID=298226 si parla dello stesso esemplare che allora supposi essere P. depressa per la colorazione. Qui https://books.google.it/books?id=_6M5AA ... sa&f=false vi è una succinta descrizione, cui segue quella di P. atra (maschio tutto nero). Sto cercando di trovare l'armatura genitale per confronti: qualcuno sa dove reperirla? Grazie. :hi:


Top
profilo
 Oggetto del messaggio: Re: Pristocera sp., Bethylidae
MessaggioInviato: 18/06/2020, 21:42 
 

Iscritto il: 08/12/2013, 1:52
Messaggi: 7704
Località: Bagnacavallo (RA)
Nome: Giorgio Pezzi
Come promesso ecco i genitali che non trovo da nessuna parte per P. depressa.
:hi:
DSC02847.JPG



DSC02844.JPG

Top
profilo
 Oggetto del messaggio: Re: Pristocera sp., Bethylidae
MessaggioInviato: 19/06/2020, 18:16 
 

Iscritto il: 10/07/2010, 14:42
Messaggi: 4870
Nome: Giuseppe Pace
Chalybion ha scritto:
Come promesso ecco i genitali che non trovo da nessuna parte per P. depressa

Bravissimo. :ok:

Sicuramente diverso da Acrepyris masii.

Penso che possiamo indicarlo come maschio di:
Pristocera depressa (Fabricius, 1805) cfr.

Ciao
Giuseppe


Top
profilo
Visualizza ultimi messaggi:  Ordina per  
nuovo argomento
rispondi
Pagina 1 di 1 [ 9 messaggi ]

Tutti gli orari sono UTC + 1 ora [ ora legale ]


Chi c’è in linea

Visitano il forum: Nessuno e 1 ospite


Non puoi aprire nuovi argomenti
Non puoi rispondere negli argomenti
Non puoi modificare i tuoi messaggi
Non puoi cancellare i tuoi messaggi
Non puoi inviare allegati

Cerca per:
Vai a: