Benvenuto Ospite

Forum Entomologi Italiani

www.entomologiitaliani.net/forum
 
Oggi è 01/05/2026, 2:45

Tutti gli orari sono UTC + 1 ora [ ora legale ]

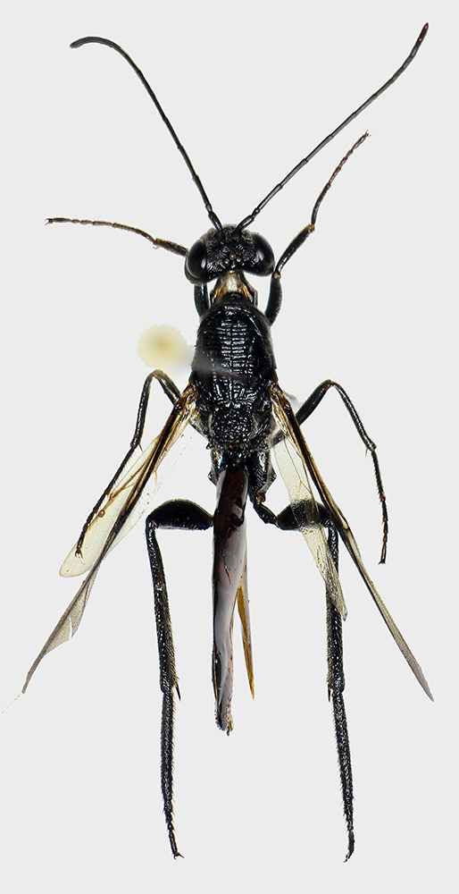
Ibalia (Ibalia) leucospoides (Hochenwarth, 1785) - Ibaliidae

19.VIII.2019 - ITALIA - Veneto - BL, Mareson, Laghetto delle Fertaze, 1300-1500m, leg. Marco Selis


nuovo argomento
rispondi
Pagina 1 di 1 [ 1 messaggio ]
Autore Messaggio
MessaggioInviato: 30/08/2019, 22:55 
Avatar utente

Iscritto il: 01/07/2010, 22:26
Messaggi: 5665
Località: Viterbo
Nome: Marco Selis
Questa curiosa famiglia di Cynipoidei mancava ancora sul forum :D

Gli Ibaliidae sono degli strani imenotteri caratterizzati dall'addome fortemente appiattito trasversalmente e dal pronoto fortemente carenato. Contano appena 20 specie al mondo, distribuite in tre generi, di cui due in Italia: Ibalia leucospoides e Ibalia rufipes. La distinzione tra le due specie italiane è facile, la leucospoides ha le zampe nere, mentre la rufipes, come dice il nome, rosse.
Sono parassiti di Imenotteri Siricidae e le specie del sottogenere Ibalia sono specializzate nei Siricinae che vivono nel legno di conifere. Nella stessa località ho trovato una femmina di Sirex juvencus, che potrebbe essere l'ospite.

Questa bella femmina di Ibalia leucospoides l'ho raccolta in un bosco di conifere e faggi, mentre camminava su delle ramaglie secche di larice.

13mm

Ibalia leucospoides 1.jpg


Ibalia leucospoides.jpg


Ibalia leucospoides 3.jpg



Top
profilo
Visualizza ultimi messaggi:  Ordina per  
nuovo argomento
rispondi
Pagina 1 di 1 [ 1 messaggio ]

Tutti gli orari sono UTC + 1 ora [ ora legale ]


Chi c’è in linea

Visitano il forum: Nessuno e 1 ospite


Non puoi aprire nuovi argomenti
Non puoi rispondere negli argomenti
Non puoi modificare i tuoi messaggi
Non puoi cancellare i tuoi messaggi
Non puoi inviare allegati

Cerca per:
Vai a:  
cron