Benvenuto Ospite

Forum Entomologi Italiani

www.entomologiitaliani.net/forum
 
Oggi è 15/05/2026, 1:17

Tutti gli orari sono UTC + 1 ora [ ora legale ]

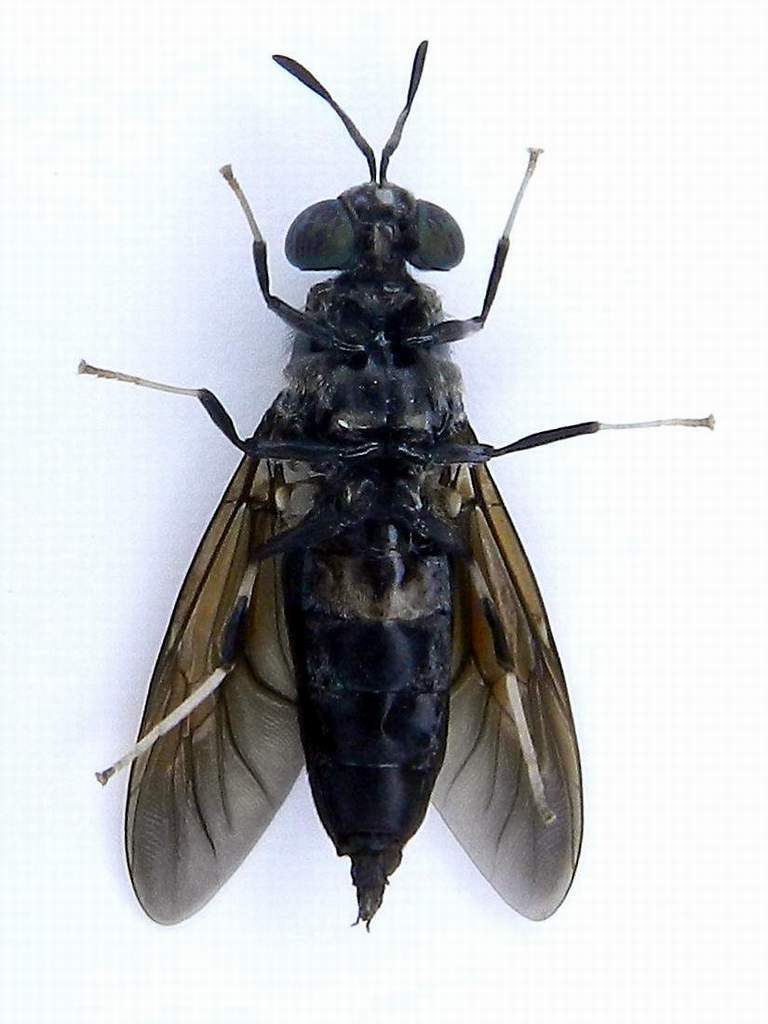
Hermetia illucens (Linnaeus, 1758) - Stratiomyidae

28.X.2013 - ITALIA - Veneto - VE, Lido di Venezia S. Maria Elisabetta Sud


nuovo argomento
rispondi
Pagina 1 di 1 [ 3 messaggi ]
Autore Messaggio
MessaggioInviato: 05/11/2013, 18:55 
Avatar utente

Iscritto il: 05/09/2011, 17:28
Messaggi: 2641
Nome: Leonida GRAZIOLI
Dimensioni mm. 15.
Si tratta di un dittero molto bello, robusto e dalla colorazione nero fumo con zampe bianche e nere.
Credo di poter azzardare come specie appartenente al genere Hermetia, forse illucens.
Serve una conferma.
Ciao a tutti
Leonida


SME Sud 28.X.2013 006.jpg

SME Sud 28.X.2013 005.jpg

SME Sud 28.X.2013 003.jpg

SME Sud 28.X.2013 001.jpg

Top
profilo
 Oggetto del messaggio: Re: Stratiomyidae sp. da identificare
MessaggioInviato: 05/11/2013, 19:15 
Amministratore
Avatar utente

Iscritto il: 06/02/2009, 9:16
Messaggi: 6925
Località: Portici (Napoli)
Nome: Claudio Labriola
Confermo, si tratta di Hermetia illucens (Linnaeus, 1758) - Stratiomyidae

_________________
Immagine Claudio Labriola
Buona Vita!!!!


Top
profilo
 Oggetto del messaggio: Re: Stratiomyidae sp. da identificare
MessaggioInviato: 05/11/2013, 21:37 
Avatar utente

Iscritto il: 05/09/2011, 17:28
Messaggi: 2641
Nome: Leonida GRAZIOLI
Grazie Claudio
Ciao
Leonida


Top
profilo
Visualizza ultimi messaggi:  Ordina per  
nuovo argomento
rispondi
Pagina 1 di 1 [ 3 messaggi ]

Tutti gli orari sono UTC + 1 ora [ ora legale ]


Chi c’è in linea

Visitano il forum: Nessuno e 1 ospite


Non puoi aprire nuovi argomenti
Non puoi rispondere negli argomenti
Non puoi modificare i tuoi messaggi
Non puoi cancellare i tuoi messaggi
Non puoi inviare allegati

Cerca per:
Vai a:  
cron