Benvenuto Ospite

Forum Entomologi Italiani

www.entomologiitaliani.net/forum
 
Oggi è 12/01/2026, 6:23

Tutti gli orari sono UTC + 1 ora [ ora legale ]

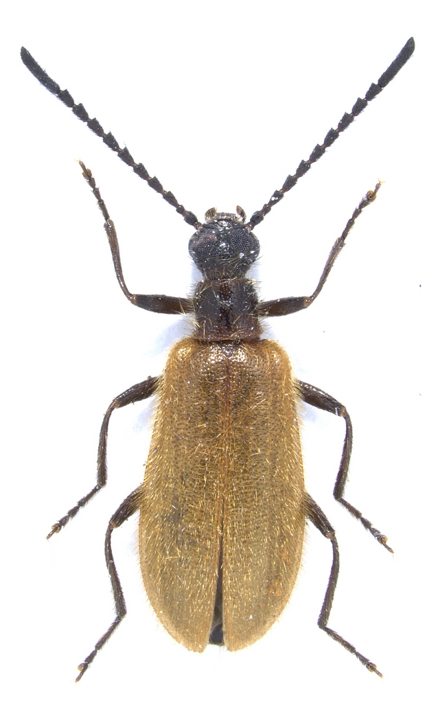
Lagria limbata Desbrochers des Loges, 1881? - Tenebrionidae

23.VIII.2022 - ROMANIA - EE, Romania: Constanta county: Agigea


nuovo argomento
rispondi
Pagina 1 di 1 [ 1 messaggio ]
Autore Messaggio
MessaggioInviato: 26/01/2023, 9:54 
Avatar utente

Iscritto il: 31/08/2010, 7:16
Messaggi: 3041
Località: Romania
Nome: Pintilioaie Alexandru Mihai
Is this a male of Lagria limbata Desbrochers des Loges, 1881? :roll: :roll: :roll:
- Romania, near the Black Sea shore, 23 august 2022 :hi:
- lenght 7.4 mm :hi:

Lagria sp.jpg



Experiment-569-Extended Depth of Focus-06.jpg



Experiment-568-Extended Depth of Focus-05.jpg



Snap-129.jpg



page.jpg


_________________
alexandrupintilioaie(AT)gmail.com


Top
profilo
Visualizza ultimi messaggi:  Ordina per  
nuovo argomento
rispondi
Pagina 1 di 1 [ 1 messaggio ]

Tutti gli orari sono UTC + 1 ora [ ora legale ]


Chi c’è in linea

Visitano il forum: Nessuno e 1 ospite


Non puoi aprire nuovi argomenti
Non puoi rispondere negli argomenti
Non puoi modificare i tuoi messaggi
Non puoi cancellare i tuoi messaggi
Non puoi inviare allegati

Cerca per:
Vai a:  
cron