Benvenuto Ospite

Forum Entomologi Italiani

www.entomologiitaliani.net/forum
 
Oggi è 24/04/2026, 1:02

Tutti gli orari sono UTC + 1 ora [ ora legale ]

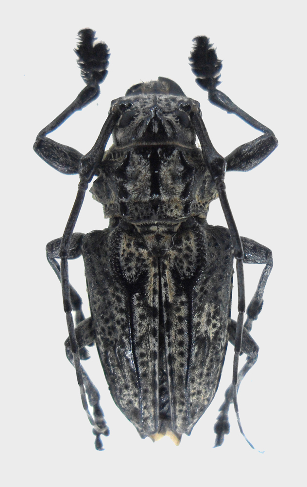
Steirastoma breve (Sulzer, 1776) - Cerambycidae (da confermare)

25.VIII.2012 - PERU - EE, San Martin, Juanjui, leg. raccoglitore locale


nuovo argomento
rispondi
Pagina 1 di 1 [ 1 messaggio ]
Autore Messaggio
MessaggioInviato: 16/12/2012, 21:56 
Avatar utente

Iscritto il: 01/07/2010, 22:26
Messaggi: 5665
Località: Viterbo
Nome: Marco Selis
Questo bel Cerambycide mi è arrivato come Steirastoma breve e penso sia proprio lei, ma gradisco una conferma :)

23mm

SAM_4271.JPG



SAM_4276.JPG



SAM_4275.JPG



SAM_4273.JPG



Davvero curiosi i tarsi anteriori

SAM_4277.JPG



Top
profilo
Visualizza ultimi messaggi:  Ordina per  
nuovo argomento
rispondi
Pagina 1 di 1 [ 1 messaggio ]

Tutti gli orari sono UTC + 1 ora [ ora legale ]


Chi c’è in linea

Visitano il forum: Nessuno e 10 ospiti


Non puoi aprire nuovi argomenti
Non puoi rispondere negli argomenti
Non puoi modificare i tuoi messaggi
Non puoi cancellare i tuoi messaggi
Non puoi inviare allegati

Cerca per:
Vai a: