Benvenuto Ospite

Forum Entomologi Italiani

www.entomologiitaliani.net/forum
 
Oggi è 01/04/2026, 18:51

Tutti gli orari sono UTC + 1 ora [ ora legale ]

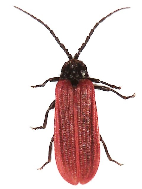
Pyropterus nigroruber (Degeer, 1774) - Lycidae ?

20.VII.2013 - SVIZZERA - EE, Cademario 792 m. slm. Ticino


nuovo argomento
rispondi
Pagina 1 di 1 [ 1 messaggio ]
Autore Messaggio
MessaggioInviato: 20/07/2013, 19:40 
Avatar utente

Iscritto il: 10/04/2012, 21:45
Messaggi: 873
Località: Lugano (Ti/CH)
Nome: Mattia Bianchini
Trovato in bosco misto, sopra foglie di Corylus avellana.

Lunghezza: 8 mm..

Grazie, :hi:
3.jpg



6.jpg

4.jpg

7.jpg

2.jpg

5.jpg

1.jpg

Top
profilo
Visualizza ultimi messaggi:  Ordina per  
nuovo argomento
rispondi
Pagina 1 di 1 [ 1 messaggio ]

Tutti gli orari sono UTC + 1 ora [ ora legale ]


Chi c’è in linea

Visitano il forum: Nessuno e 5 ospiti


Non puoi aprire nuovi argomenti
Non puoi rispondere negli argomenti
Non puoi modificare i tuoi messaggi
Non puoi cancellare i tuoi messaggi
Non puoi inviare allegati

Cerca per:
Vai a: