Benvenuto Ospite

Forum Entomologi Italiani

www.entomologiitaliani.net/forum
 
Oggi è 03/03/2026, 14:20

Tutti gli orari sono UTC + 1 ora [ ora legale ]

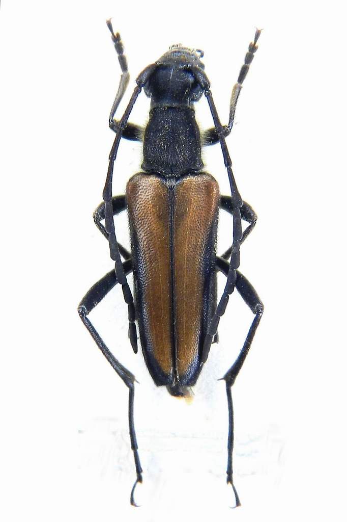
Anastrangalia dubia (Scopoli, 1763) ?

17.VII.2006 - TURCHIA - EE, Kafkasor (Rize) m. 1500 s.l.m.


nuovo argomento
rispondi
Pagina 1 di 1 [ 1 messaggio ]
Autore Messaggio
 Oggetto del messaggio: Anastrangalia dubia (Scopoli, 1763) ?
MessaggioInviato: 07/01/2014, 19:45 
Avatar utente

Iscritto il: 05/09/2011, 17:28
Messaggi: 2641
Nome: Leonida GRAZIOLI
Ciao a tutti
Leonida

L = mm. 13
Anastrangalia sp. 002.jpg



Top
profilo
Visualizza ultimi messaggi:  Ordina per  
nuovo argomento
rispondi
Pagina 1 di 1 [ 1 messaggio ]

Tutti gli orari sono UTC + 1 ora [ ora legale ]


Chi c’è in linea

Visitano il forum: Nessuno e 11 ospiti


Non puoi aprire nuovi argomenti
Non puoi rispondere negli argomenti
Non puoi modificare i tuoi messaggi
Non puoi cancellare i tuoi messaggi
Non puoi inviare allegati

Cerca per:
Vai a:  
cron