Benvenuto Ospite

Forum Entomologi Italiani

www.entomologiitaliani.net/forum
 
Oggi è 22/11/2025, 22:42

Tutti gli orari sono UTC + 1 ora [ ora legale ]

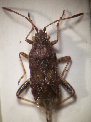
Hemiptera dal Monte Grappa 2

6.V.2016 - ITALIA - Veneto - TV, Liedolo di San Zenone degli Ezzelini -TV-


nuovo argomento
rispondi
Pagina 1 di 1 [ 1 messaggio ]
Autore Messaggio
 Oggetto del messaggio: Hemiptera dal Monte Grappa 2
MessaggioInviato: 10/05/2016, 21:01 
 

Iscritto il: 19/04/2009, 12:09
Messaggi: 355
Nome: stefano tasca
Ciao,
sempre dal mio solito sito.
Sui 7-8 millimetri anche questo.
Grazie
Stefano


20160510_162943.jpg

Top
profilo
Visualizza ultimi messaggi:  Ordina per  
nuovo argomento
rispondi
Pagina 1 di 1 [ 1 messaggio ]

Tutti gli orari sono UTC + 1 ora [ ora legale ]


Chi c’è in linea

Visitano il forum: Nessuno e 8 ospiti


Non puoi aprire nuovi argomenti
Non puoi rispondere negli argomenti
Non puoi modificare i tuoi messaggi
Non puoi cancellare i tuoi messaggi
Non puoi inviare allegati

Cerca per:
Vai a: