Benvenuto Ospite

Forum Entomologi Italiani

www.entomologiitaliani.net/forum
 
Oggi è 27/12/2025, 19:41

Tutti gli orari sono UTC + 1 ora [ ora legale ]

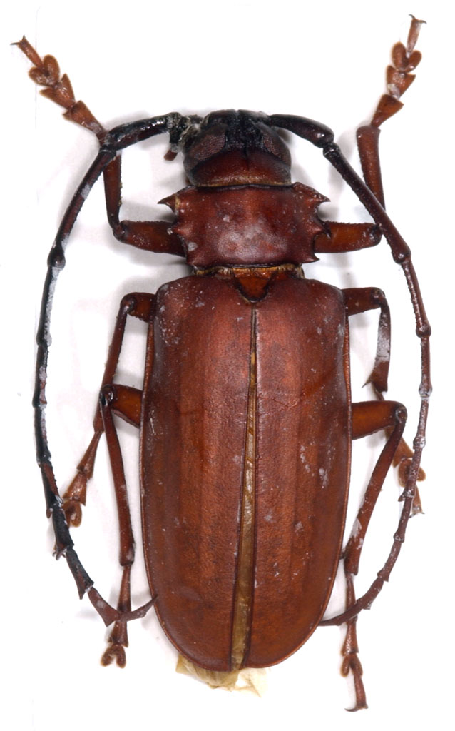
Dorysthenes sp. ?

VI.2008 - CINA - EE, Daxueshan, 2000 mt, Yongde, Yunnan


nuovo argomento
rispondi
Pagina 1 di 1 [ 1 messaggio ]
Autore Messaggio
 Oggetto del messaggio: Dorysthenes sp. ?
MessaggioInviato: 02/05/2019, 19:11 
Avatar utente

Iscritto il: 10/02/2018, 9:53
Messaggi: 275
Località: USA
Nome: Andrea Quaroni
Questo piccolo cerambicide assomiglia molto a dei Dorysthenes granulosus (Thomson, 1860) che ho, ma e' MOLTO piu' piccolo (32 mm, in confronto ai 60-70 mm degli altri). E' possibile sia la stessa specie ?


Dorysthenes granulosus 1.jpg

Dorysthenes granulosus 2.jpg

Dorysthenes granulosus 3.jpg

Top
profilo
Visualizza ultimi messaggi:  Ordina per  
nuovo argomento
rispondi
Pagina 1 di 1 [ 1 messaggio ]

Tutti gli orari sono UTC + 1 ora [ ora legale ]


Chi c’è in linea

Visitano il forum: Nessuno e 1 ospite


Non puoi aprire nuovi argomenti
Non puoi rispondere negli argomenti
Non puoi modificare i tuoi messaggi
Non puoi cancellare i tuoi messaggi
Non puoi inviare allegati

Cerca per:
Vai a: