Benvenuto Ospite

Forum Entomologi Italiani

www.entomologiitaliani.net/forum
 
Oggi è 19/11/2025, 12:06

Tutti gli orari sono UTC + 1 ora [ ora legale ]

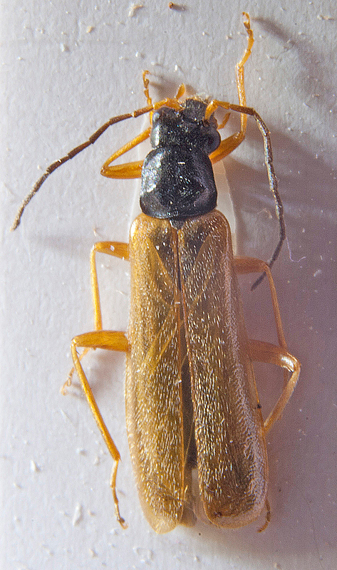
Cantharidae da id

29.V.1994 - ITALIA - Marche - MC, Sefro


nuovo argomento
rispondi
Pagina 1 di 1 [ 1 messaggio ]
Autore Messaggio
 Oggetto del messaggio: Cantharidae da id
MessaggioInviato: 12/01/2021, 11:00 
Avatar utente

Iscritto il: 02/10/2009, 17:40
Messaggi: 924
Località: Osimo
Nome: Alberto Strocchi
Salve a tutti e "Buon Anno"!,
ho questo dubbio che ancora non mi convince. Mi pare si tratti di Cantharidae Rhagonycha ... ma sulla sp. mi sono fermato alle "solite" 3 incognite: nigricipes (non credo: ha gli arti completamente chiari ... ?); fuscitibia (??? sempre per via degli arti); lignosa ... che mi sembra la più attendibile.
Che ne dite?
Grazie!


0008.jpg

Top
profilo
Visualizza ultimi messaggi:  Ordina per  
nuovo argomento
rispondi
Pagina 1 di 1 [ 1 messaggio ]

Tutti gli orari sono UTC + 1 ora [ ora legale ]


Chi c’è in linea

Visitano il forum: Nessuno e 9 ospiti


Non puoi aprire nuovi argomenti
Non puoi rispondere negli argomenti
Non puoi modificare i tuoi messaggi
Non puoi cancellare i tuoi messaggi
Non puoi inviare allegati

Cerca per:
Vai a: