Benvenuto Ospite

Forum Entomologi Italiani

www.entomologiitaliani.net/forum
 
Oggi è 19/11/2025, 22:06

Tutti gli orari sono UTC + 1 ora [ ora legale ]

Coleotteri Crete

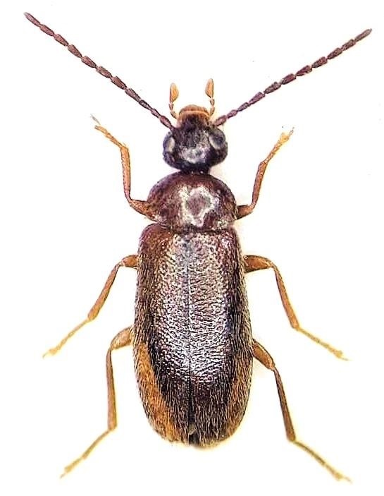
27.V.2022 - GRECIA - EE, Crete ,Apokoronas - Kryonerida 35°21'45.7"N 24°13'03.7"E ,Matějíček J.lgt.


nuovo argomento
rispondi
Pagina 1 di 1 [ 1 messaggio ]
Autore Messaggio
 Oggetto del messaggio: Coleotteri Crete
MessaggioInviato: 13/06/2022, 7:33 
Avatar utente

Iscritto il: 09/11/2009, 14:12
Messaggi: 5147
Località: Hradec Kralove,Czech republik
Nome: Jan Matějíček
:?
lunghezza 6 mm


attalus_3_8-Cefalu.jpg


_________________
Research Fields
Taxonomy, ecology, biomonitoring , faunistic of Staphylinidae
Top
profilo
Visualizza ultimi messaggi:  Ordina per  
nuovo argomento
rispondi
Pagina 1 di 1 [ 1 messaggio ]

Tutti gli orari sono UTC + 1 ora [ ora legale ]


Chi c’è in linea

Visitano il forum: Nessuno e 9 ospiti


Non puoi aprire nuovi argomenti
Non puoi rispondere negli argomenti
Non puoi modificare i tuoi messaggi
Non puoi cancellare i tuoi messaggi
Non puoi inviare allegati

Cerca per:
Vai a: