Benvenuto Ospite

Forum Entomologi Italiani

www.entomologiitaliani.net/forum
 
Oggi è 07/02/2026, 4:08

Tutti gli orari sono UTC + 1 ora [ ora legale ]

Gombo - San Rossore (PI) novembre 2012



nuovo argomento
rispondi
Vai alla pagina 1, 2, 3  Prossimo
Pagina 1 di 3 [ 33 messaggi ]
Autore Messaggio
MessaggioInviato: 19/11/2012, 23:54 
Avatar utente

Iscritto il: 05/02/2009, 17:25
Messaggi: 4894
Località: Zola Predosa (BO)
Nome: Loris Colacurcio
...ed eccomi qua con "qualche" foto da proporvi ;) Ecco il resoconto per immagini, di quanto ho trovato in una entusiasmante spedizione sul litorale pisano, insieme al nostro Augusto (Notoxus), Maurizio P. (Gomphus) e a Magrini.....io mi sono divertito come un matto ed in più ho potuto trovare bestiole davvero splendide.
Le specie sono abbastanza, quindi dovrò propinarvele a rate....alcuni scatti sono davvero pietosi, ma non potendo promettere tempi brevi per la loro sostituzione, intanto dovrete accontentarvi. Poi con calma e se ci sono bestiole meritevoli, cercherò di fare dei post singoli.

L'ambiente è in pratica un vasto prato parzialmente allagato, con qualche cepuglio di Juncus qua e là...a poche centinaia di metri dal mare. Eccovi le immagini... "animate" in parte, da alcuni eccelenti entomologi :mrgreen:

Una parte importante di raccolte (piacerà a Pactolinus & Piero ;) ) le ho anche effettuate guardando su un paio di grossi pini abbattuti....ma in questo caso non ho avuto la lungimiranza di fare nessuna foto :( .

aa1.JPG


aa2.JPG


aa3.JPG


aa4.JPG


_________________
Loris


Top
profilo
MessaggioInviato: 20/11/2012, 0:09 
Avatar utente

Iscritto il: 05/02/2009, 17:25
Messaggi: 4894
Località: Zola Predosa (BO)
Nome: Loris Colacurcio
Per comodità, procederò "per famiglia"....ed iniziamo ovviamente con i carabidi, che in pratica sono stati l'obiettivo principale (della maggior parte del gruppo ;) ). Ovviamente non potrà mancare il nostro interessante Lymnastis luigionii :lol1: Seguirà poi una serie di specie note e meno note :oops: raccolte nelle vaire fasi di vagliatura.

Lymnastis luigionii Dodero, 1899
Carabo00 Lymnastis.JPG



Amblystomus metallescens (Dejean, 1829)
Carabo01.JPG



Amblystomus niger (Heer, 1841)
Carabo02.JPG



Parophonus planicollis (Dejean, 1829) cf.
Carabo03.JPG



Questo scaritino era piuttosto comune scavando lungo gli argini dei canali
Distichus (Distichus) planus (Bonelli, 1813)
Carabo04 Scarites.JPG



Gli Zuphium si facevano vedere, ma risultavano tutt'altro che comuni. Di P. chevrolati invece non ne ho raccolti :(
Zuphium (Zuphium) olens (P. Rossi, 1790)
Carabo05Zuphium.JPG



Acupalpus e Apotomus (rufus e ruphithorax) erano invece piuttosto abbondanti...
Apotomus rufithorax (Pecchioli, 1837)
Carabo06 Apotomus1.JPG



Apotomus rufus (P. Rossi, 1790)
Carabo11 Apotomus2.JPG



Acupalpus notatus (Mulsant & Rey, 1861) cf.
Carabo09.JPG



Acupalpus paludicola (Reitter, 1881)
Carabo14 Acupalpus.JPG


_________________
Loris


Top
profilo
MessaggioInviato: 20/11/2012, 0:16 
Avatar utente

Iscritto il: 05/02/2009, 17:25
Messaggi: 4894
Località: Zola Predosa (BO)
Nome: Loris Colacurcio
Proseguiamo con i carabidi...

Scybalicus oblongogiusculus (Reitter, 1881)
Carabo07.JPG



Tachys scutellaris (Stephens, 1828)
Carabo08.JPG



Paratachys bistriatus (Duftschmid, 1812)
Carabo10.JPG



Questo dovrebbe essere un Badister ...
Antracus longicornis (Schaum, 1857)
Carabo12 Badister.JPG



Platytarus faminii (Dejean, 1826)
Carabo13.JPG



Questo dovrebbe invece essere il Brachinus immaculicornis (spero)
Brachinus (Brachynolomus) immaculicornis Dejean, 1826
Carabo14 Brachynus.JPG



Philochtus sp.
Carabo15.JPG



Questo, dovrebbe essere un Ocys, l'ho raccolto sotto corteccia alla base di un pino
Bradycellus sp.
Carabo16 Ocys.JPG



Chlaenius (Chlaenius) spoliatus spoliatus (P. Rossi, 1792)
Carabo17.JPG



Dicheirotrichus (Dicheirotrichus) obsoletus (Dejean, 1829)
Carabo18.JPG



Carabo19 Dyschi.JPG


Carabo20.JPG


_________________
Loris


Top
profilo
MessaggioInviato: 20/11/2012, 0:27 
Avatar utente

Iscritto il: 05/02/2009, 17:25
Messaggi: 4894
Località: Zola Predosa (BO)
Nome: Loris Colacurcio
Esaminando invece un paio di grossi tronchi di pino, ho potuto poi raccogliere alcuni splendidi histeridi, tenebrionidi ed altre "cosine".

Platysoma (Cylister) filiforme Erichson, 1834 cf.
Hister1.JPG



Platysoma (Cylister) elongatum elongatum (Thunberg, 1787)
Hister2.JPG



Paromalus (Paromalus) parallelepipedus (Herbst, 1791)
Hister3.JPG



Questa grossa Asida era morta da tempo e ricoperta da uno spesso strato di muffa....ora che è più pulita forse potremo scoprire anche la specie :?
Tenebri3 Asida.JPG



Sotto ad un pezzo di corteccia (di pino ancora vegeto) ho invece trovato un paio di queste Stenosis
Tenebri2  Stenosis.JPG



...e mi sembra, addirittura 3 specie diverse di Corticeus :o
Aulonium ruficorne (Oliv. 1790) - ZOOPHERIDAE :no1:
Tenebri5 Corticeus.JPG



Tenebri6 Corticeus.JPG


Tenebri7 Corticeus.JPG



Tenebri1 Uloma.JPG


Tenebri4.JPG



...ma non sono mancate altre bestiole. Ogni tanto si potevano vedere queste...termiti ? Erano sempre in coppia :?
Termite.JPG



Silvanus unidentatus (Lin. 1767) SILVANIDAE
Corticico.JPG



Ips typographus (Linnaeus, 1758)
Bostry1.JPG



Orthotomicus erosus (Wollaston, 1857) cf.
Bostry2.JPG


_________________
Loris


Top
profilo
MessaggioInviato: 20/11/2012, 0:36 
Avatar utente

Iscritto il: 05/02/2009, 17:25
Messaggi: 4894
Località: Zola Predosa (BO)
Nome: Loris Colacurcio
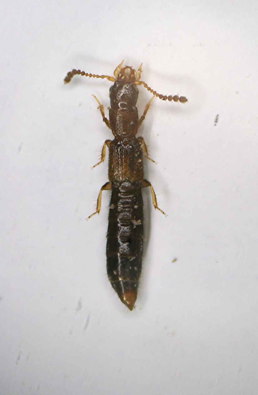
Passiamo agli stafilinidi dove, lo ammetto, ho raccolto solo alcune specie.....ed ovviamente gli pselafidi !

Brachygluta furcata
Psel2 Brachygluta furcata1.JPG



Brachygluta helferi longispina
Psel3 Brachygluta helferi1.JPG



Bibloplectus pusillus
Psel1 Bibloplectus pusillus1.JPG



...ed altri stafilinidi "misti". Il primo è corticicolo, gli altri, da vaglio
Stafil1.JPG



Stafil2.JPG


Stafil3.JPG


Stafil4 Paederus.JPG


Stafil5.JPG


Stafil6.JPG


Stafil7.JPG


Stafil8.JPG


Stafil9.JPG



Scydmaen1.JPG


_________________
Loris


Top
profilo
MessaggioInviato: 20/11/2012, 0:45 
Avatar utente

Iscritto il: 05/02/2009, 17:25
Messaggi: 4894
Località: Zola Predosa (BO)
Nome: Loris Colacurcio
Ecco il turno degli Anthicidi (tutti raccolti nel vaglio)...davvero comuni.
Cyclodinus minutus minutus (La Ferté-Sénectère, 1842)
Anthi01.JPG



Cyclodinus humilis (Germar, 1824)
Anthi02.JPG



Anthicus laeviceps Baudi, 1877
Anthi03.JPG



Cordicollis instabilis instabilis (W.L.E. Schmidt, 1842)
Anthi04.JPG



Di crisomelidi ho raccolto solo un genere (non rammento il nome) ed in 3 esemplari, ma secondo me si tratta di 3 differenti specie
Chryso1.JPG


Chryso2.JPG


Chryso3.JPG



Per la gioia di Maurizio e la disgrazia dell'Izzillo (non arrabbiatevi, ormai è d'uso), ecco anche e coccinelle
Coccine1.JPG



Tytthaspis (Tytthaspis) sedecimpunctata (Linnaeus, 1758)
Coccine2.JPG



Coccine3.JPG


Coccine4.JPG



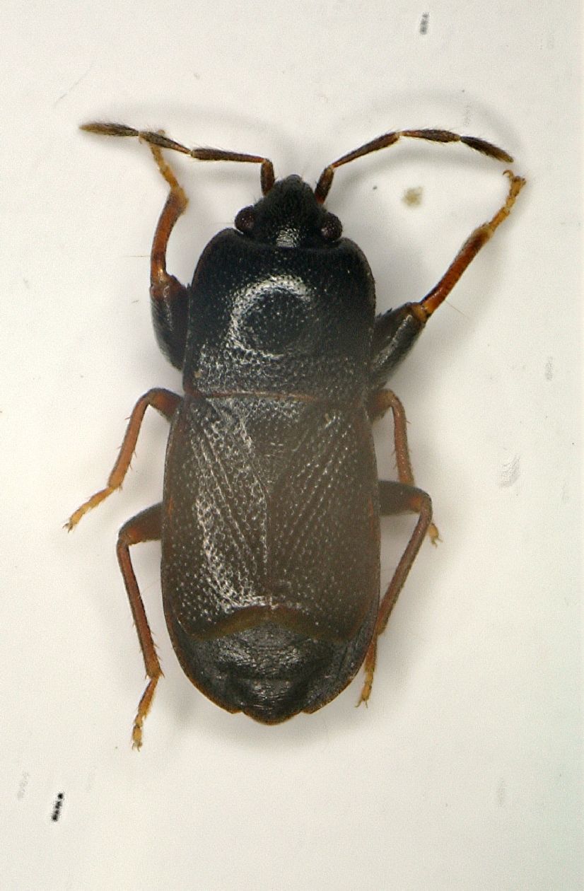
A differenza delle mie aspettative, i curculionidi sono stati pochissimi.....e nulla di visivamente interessante (a parte il corticicolo)
Curcu1.JPG


Curcu2.JPG


Curcu3.JPG


_________________
Loris


Top
profilo
MessaggioInviato: 20/11/2012, 0:52 
Avatar utente

Iscritto il: 05/02/2009, 17:25
Messaggi: 4894
Località: Zola Predosa (BO)
Nome: Loris Colacurcio
Con gli elateridi, ho trovato solo un Lacon (sotto corteccia) ed un piccolo esemplare dall'elegante livrea a dal nome ignoto :sma:
Lacon punctatus (Herbst, 1779)
Elater1 Lacon.JPG



Aeloderma cruciferae (Rossi, 1790)
Elater2.JPG



Ecco i Latridiidi
Migneauxia crassiuscola (Aubé, 1850)
Latri1.JPG



Enicmus transversus(Mann.)
Latri2.JPG



Melanophtalma fuscipennis (Mann.)
Latri3.JPG



Vagliando alla base dei grossi cepugli di Juncus, sono saltati fuori anche un paio di Aphanisticus...
Aphanisticus.JPG



...ed altre cose
Cryptophagus sp. CRYPTOPHAGIDAE
Crypto1.JPG



Bothrideres bipunctatus (Gmelin, 1790)
Bothri.JPG



Ptinide1.JPG


Ptinide2.JPG



Probabilmente la continua raccolta d'acqua (per lavare il terreno), mi ha poi permesso di trovare anche qualche "acquatico"
Berosus.JPG


Elmide.JPG



Addirittura è pure saltato fuori un timido Onthophagus....
Onthophagus.JPG


_________________
Loris


Top
profilo
MessaggioInviato: 20/11/2012, 0:57 
Avatar utente

Iscritto il: 05/02/2009, 17:25
Messaggi: 4894
Località: Zola Predosa (BO)
Nome: Loris Colacurcio
Terminiamo questa (sin troppo) lunga carrellata con alcune bestiole "non-coleotteri".
Bene, ho finito ...grazie per l'attenzione ed alla prossima !!! :hi:

Vagliando, sono saltate fuori 2 specie di mutillidi. una grande ed una piccina...
Mutilla1.JPG


Mutilla2.JPG



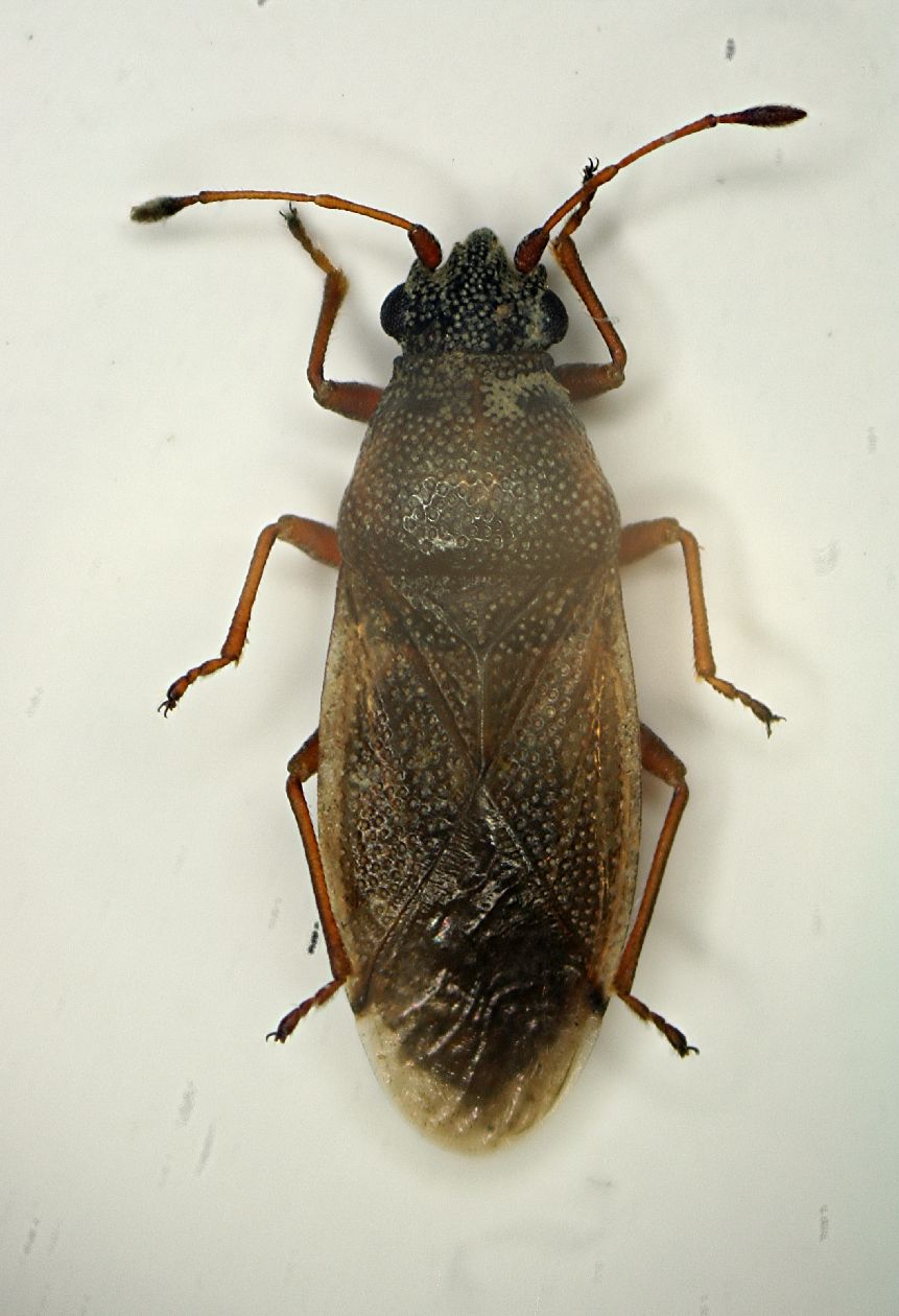
Sempre dal vaglio, non potevano poi mancare un po' di heterotteri misti.
Hetero1.JPG


Hetero2.JPG


Hetero3.JPG


Hetero4.JPG


_________________
Loris


Top
profilo
MessaggioInviato: 20/11/2012, 10:11 
Avatar utente

Iscritto il: 27/02/2009, 19:34
Messaggi: 857
Località: Belluno
Nome: Enzo GATTI
Ciao Loris,

complimenti per la bellissima raccolta e per la interessantissima carrellata fotografica. :) :)

Una prima determinazione: i due Scolytidae (ultime due foto prima dell'inizio degli Pselaphinae) sono:
- Ips typographus (Linnaeus, 1758)
- Orthotomicus sp. Forse erosus (Wollaston, 1857): per esserne sicuri servirebbe una foto della declività elitrale posteriore, vista di 3/4, che evidenzi la forma e la disposizione dei granuletti posti al margine.

Enzo :to: :hi:


Top
profilo
MessaggioInviato: 20/11/2012, 10:22 
Avatar utente

Iscritto il: 22/12/2009, 13:31
Messaggi: 9646
Località: Napoli
Nome: Francesco Izzillo
Tutto molto bello e interessante, peccato la caduta di livello con il ritrovamento di alcune bestiacce immonde! :gh: In questi casi è meglio non postare gli esseri infetti anche a salvaguardia dei minorenni presenti sul Forum! :lol1: :no:

_________________
Francesco Izzillo


Top
profilo
MessaggioInviato: 20/11/2012, 10:59 
Avatar utente

Iscritto il: 04/02/2009, 17:49
Messaggi: 5553
Località: Cagliari
Nome: Daniele Sechi
Una biodiversità incredibile Loris! Mi sa però che tra i 3 Corticeus, c'è un Aulonium (Zopheridae Colydiinae) e forse un altro intruso...

_________________
:hi:
Daniele


Top
profilo
MessaggioInviato: 20/11/2012, 11:11 
Avatar utente

Iscritto il: 05/02/2009, 17:25
Messaggi: 4894
Località: Zola Predosa (BO)
Nome: Loris Colacurcio
Grazie per le determinazioni...mi occuperò di aggiornare le didascalie.


Per Daniele....cavoli, è già la seconda volta che mi fregano questi corticeus. Ho avuto il dubbio dell'Aulonium (con quei solchi sul pronoto), ma poi sono tornato a pensare ad un qualche tenebrionide :oops: :(

_________________
Loris


Top
profilo
MessaggioInviato: 20/11/2012, 12:08 
Avatar utente

Iscritto il: 05/02/2009, 17:31
Messaggi: 9527
Località: milano
Nome: maurizio pavesi
ciao loris

quello che "dovrebbe essere un Badister" :no: è un Anthracus, credo :oops: Anthracus consputus (Duftschmid, 1812)

e quello dopo, senza nome, è bellisssssimo :p ... Platytarus faminii (Dejean, 1826), complimenti :ok:

(uno solo, vero :cry: ?)

p.s. l'ultima coccinella (visto che mi chiamo maurizio, mi ci butto anch'io :lol1: ) dovrebbe :oops: essere una Coccinella (Spilota) undecimpunctata undecimpunctata Linnaeus, 1758

_________________
*****************
Immagine maurizio


Top
profilo
MessaggioInviato: 20/11/2012, 13:55 
Avatar utente

Iscritto il: 10/05/2010, 22:31
Messaggi: 4372
Località: Gavorrano (GR)
Nome: marco bastianini
Daniele Sechi ha scritto:
Una biodiversità incredibile Loris

Credo che i risultati strepitosi di questa cacciata siano principalmente dovuti alle aree quasi completamente allagate con
obbligata concentrazione delle bestiole sugli argini e comunque su quei pochi posti poco sopra al limite delle acque.

_________________
:to: Marco
"Le foreste a precedere le civiltà, i deserti a seguire."
François-René de Chateaubriand


Top
profilo
MessaggioInviato: 20/11/2012, 13:59 
Avatar utente

Iscritto il: 05/02/2009, 17:44
Messaggi: 2691
Località: Garbagnate Milanese
Nome: Augusto Franzini
L'Elateride dopo il Lacon punctatus dovrebbe essere Aeoloderma crucifer, tipico delle zone umide.
Bellissima la (o il?) Platytarus, che non credevo arrivasse così a Nord (nella Piana Pontina c'era).
La fauna di carabidi assomiglia molto a quella di Fiumicino-Ponte Galeria di cui parlava Maurizio-gomphus.
Non riesco a capire cos'è il Carabide dopo il Chlenius spoliatus: un Parophonus immaturo? sembra peloso...
Certo che vi dovete essere divertiti parecchio...(invidia)!

_________________
Augusto (aug)
Prediction is very difficult, especially about the future (Niels Bohr, fisico)


Top
profilo
Visualizza ultimi messaggi:  Ordina per  
nuovo argomento
rispondi
Vai alla pagina 1, 2, 3  Prossimo
Pagina 1 di 3 [ 33 messaggi ]

Tutti gli orari sono UTC + 1 ora [ ora legale ]


Chi c’è in linea

Visitano il forum: Nessuno e 0 ospiti


Non puoi aprire nuovi argomenti
Non puoi rispondere negli argomenti
Non puoi modificare i tuoi messaggi
Non puoi cancellare i tuoi messaggi
Non puoi inviare allegati

Cerca per:
Vai a:  
cron