| Autore |
Messaggio |
|
Loriscola
|
Inviato: 22/10/2011, 18:10 |
|
Iscritto il: 05/02/2009, 17:25 Messaggi: 4894 Località: Zola Predosa (BO)
Nome: Loris Colacurcio
|
Questa è davvero un'occasione speciale, visto che posso tranquillamente definirla la mia prima escursione esclusivamente entomologica "a discreta distanza da casa" , di un'intera giornata Ultimamente, ho già avuto modo di fruire della splendida compagnia di alcuni di voi, ma questa volta, mi sono davvero superato  . Grazie all'iniziativa di Marco Uliana (Glaphyrus) ed in compagni anche di Salvato, abbiamo quindi deciso di farci un giretto al confine tra Veneto e Trentino, in Vallarsa appunto. L'idea era di prendere alcuni interessanti scydmenidi....che ovviamente non si sono fatti vedere Nonostante la presenza di un macchina fotografica perfettamente funzionante (portata da Marco), non abbiamo fatto alcuna foto...come era prevedibile abbiamo usato ogni stilla del nostro tempo per scavare, vagliare, chiacchierare...e sperare ! Nota dolente, il sottobosco si presentava quasi completamente disseccato ed anche sotto alle pietre più infossate, il terreno era sabbioso ed asciutto....  pessime condizioni quindi, per le nostre bestiole. Ed infatti abbiamo trovato pochissimo.....ma per questa volta sono comunque soddisfatto  La compagnia era ottima, il clima fresco ...e cercavo insetti: cosa volete di più ? Vista la pochezza delle catture, mi sono rovinato  ed ho fotografato tutte, proprio tutte le specie raccolte o almeno quelle che ritenevo specie diverse  ...dovrete quindi avere un po' di pazienza, visto che mi ci vorrano alcuni "post" per conlcudere il reportage. Innanzi tutto, un paio di immagini di repertorio della zona, prese dalla rete, se non altro per illustrare l'ambiente: montagna bassa (siamo sui mille metri) con fitta copertura di faggio.
_________________ Loris
|
|
| Top |
|
 |
|
Loriscola
|
Inviato: 22/10/2011, 18:15 |
|
Iscritto il: 05/02/2009, 17:25 Messaggi: 4894 Località: Zola Predosa (BO)
Nome: Loris Colacurcio
|
Cominciamo quindi con la carrellata delle bestiole raccolte: se poi riusciremo a determinarle, inserirò il nome della specie in un secondo tempo o se vi sono specie interessanti, creerò un post a parte. Iniziamo con gli "estranei" ovvero i non-coleotteri Hymenoptera (tutti da lettiera di faggio) Heteroptera (sempre in lettiera) ...questo invece l'ho raccolto in un prato, sotto un tronco. ..e non potevo certo dimenticarmi di almeno una cicaletta raccolta ai bordi di un piccolo stagno sulla strada del ritorno
_________________ Loris
|
|
| Top |
|
 |
|
Loriscola
|
Inviato: 22/10/2011, 18:25 |
|
Iscritto il: 05/02/2009, 17:25 Messaggi: 4894 Località: Zola Predosa (BO)
Nome: Loris Colacurcio
|
Cominciamo ora con i coleotteri....e per primi abbiamo i carabidi. di questo grosso carabide ne abbiamo presi due esemplari, entrambi sotto pietra....pensavo al: Licinus (cf.) hoffmanseggi (Panzer, 1797) Di questi, invece, non avanzo alcuna ipotesi. Nessuno è stato raccolto con vagliatura, ma sempre sotto pietra (o tronco). Ed ecco uno spledido anoftalmo, non carabide ovviamente E' un Anommatus foevolatus; sono piuttosto fiducioso nella determinazione perché sono riuscito nell'ingrato compito di estrarre l'edeago ed è davvero peculiare . Oltre al penoso "rimasuglio di insetto" che è rimasto dopo l'estrazione, vi sottopongo anche un esemplare integro.... Anommatus foveolatus Vsetecka 1948 Acch...è tardi e devo andare a cenare dai miei genitori (zuppa di pesce  e frittura mista )...continuerò stasera o domani, non scappate ! A presto !! 
_________________ Loris
|
|
| Top |
|
 |
|
Gianfranco
|
Inviato: 22/10/2011, 21:25 |
|
Iscritto il: 21/09/2009, 9:34 Messaggi: 1535 Località: Padova
Nome: Gianfranco Salvato
|
|
Forse intendi "Anommatus foveolatus Vsetecka 1948". Io sono molto invidioso poichè tu e Marco ne avete trovati due ogniuno mentre io (che ero il terzo della banda) non ne ho trovati. Ciò potrebbe essere dovuto alla mia incapacità o forse al fatto che io scavavo solo nella lettiera e non nel suolo sottostante (cercavo Latrididi e non avevo la zappetta!), oppure che loro hanno fatto dei prelievi anche vicino ad un ruscello ed io no (non volevo infangarmi!). Scelte di vita! Ciao Gianfranco
|
|
| Top |
|
 |
|
Loriscola
|
Inviato: 22/10/2011, 21:26 |
|
Iscritto il: 05/02/2009, 17:25 Messaggi: 4894 Località: Zola Predosa (BO)
Nome: Loris Colacurcio
|
Passiamo ai Cholevidi. Questo proviene da una "vagliata" sotto un piccolo mucchio di fieno. Colon sp...mentre questo splendore dovrebbe essere un qualche batyscino e l'ho raccolto vagliando la lettiera di faggio Bathyscila cf. vallarsae Halbh. - Cholevidae Bathyscino Una Atomaria (sotto fieno marcescente) ...e vari Latridiidi raccolti sempre sotto fieno Melanophtalma distinguenda (Comolli 1837) Corticaria cf. porochini (Johnson 2007) Cartodere (Aridius) nodifer (Westw. 1839) Una Monotoma, presumo (sempre sotto fieno marcescente) Monotoma brevicollis (Aubé, 1837) Sul fronte curculionidi, abbiamo un grosso Othyorrinchus trovato sotto pietra ...un piccolo Othyorrinchus da lettiera ..e due minuscoli Acalles (direi di diversa specie) ...ed infine un mini-curculionide trovato sempre in lettiera di faggio Melanapion minimum
_________________ Loris
|
|
| Top |
|
 |
|
Loriscola
|
Inviato: 22/10/2011, 21:34 |
|
Iscritto il: 05/02/2009, 17:25 Messaggi: 4894 Località: Zola Predosa (BO)
Nome: Loris Colacurcio
|
Un Ciide (direi) trovato vagliando nel cavo di un vecchio faggio Ennearthron (cf.) cornutum Un Onthophilus affinis Redtenbacher 1849 - Histeridae, Onthophilinae preso sempre in lettiera ..e alcuni "pallinidi" vari raccolti nella vagliatura da lettiera. I primi due dovrebbero essere dei Leiodiidi Sphaerosoma ssp. ...questa "pallina" dovrebbe essere un Hydrophilide... Cryptoleurum sp.Un Nitidulide trovato nel cavo di un faggio Carpophilus sp.Ed un Silphide, preso invece sotto pietre Silpha (cf.) obscura obscura Linnaeus 1758
_________________ Loris
|
|
| Top |
|
 |
|
Loriscola
|
Inviato: 22/10/2011, 21:54 |
|
Iscritto il: 05/02/2009, 17:25 Messaggi: 4894 Località: Zola Predosa (BO)
Nome: Loris Colacurcio
|
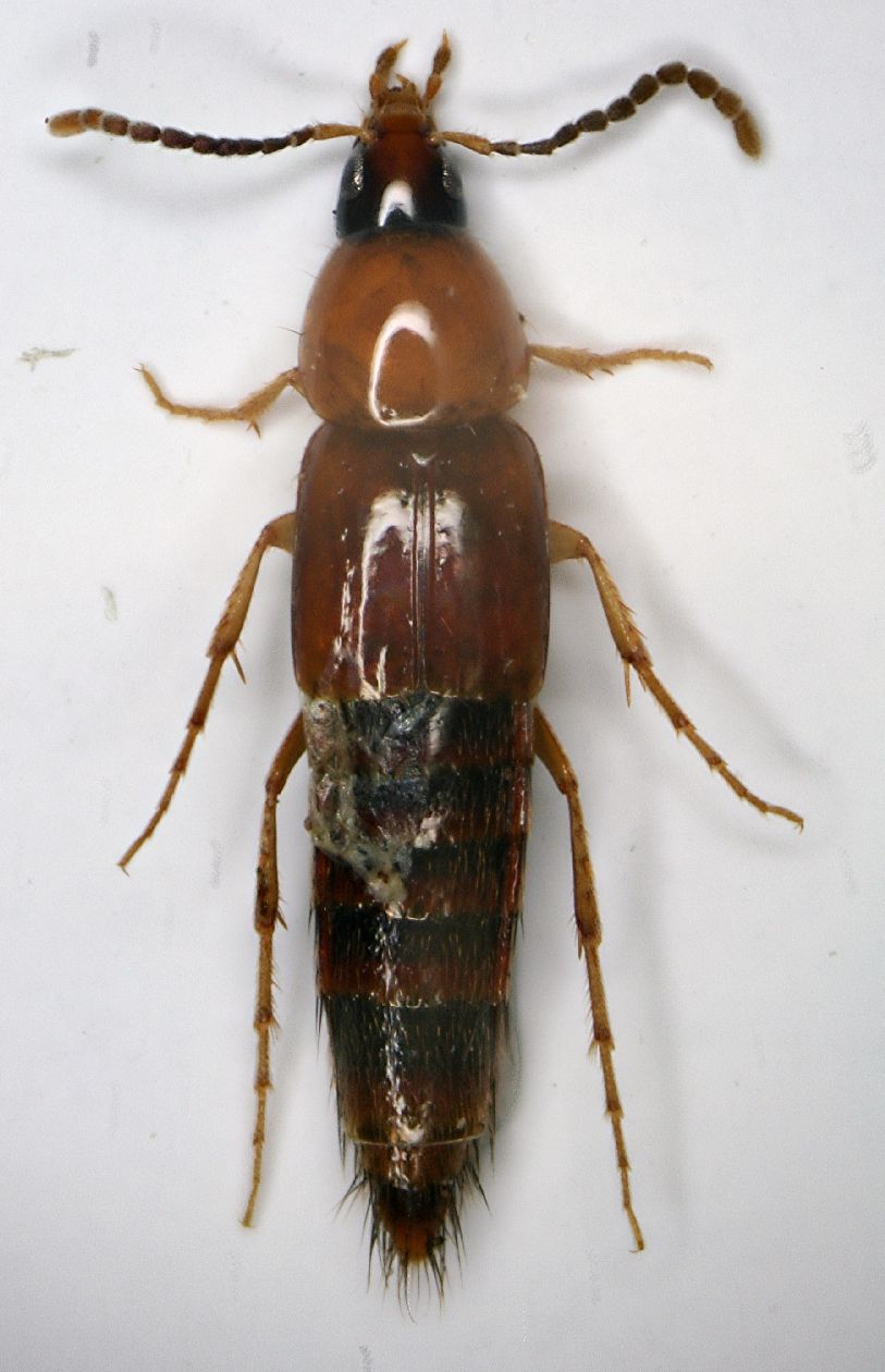
L'unica bestiola raccolta in più di uno o due esemplari è stato questo Zopheride (o almeno credo lo sia), trovato nel cavo di un faggio, tra la rosura...piuttosto secca Coxelus pictus (Sturm 1807) - Zopheridae Passiamo ora agli Staphylinidi... Megarthrus sp.Staphilidae Tachyporinae (gen. Ischnosoma o Lordithon) Cercando in lettiera, sono saltati fuori anche un paio di Dasycerus Non potevo poi andare via senza neanche uno Pselafide ! Purtroppo ne ho raccolti soo 3...era davvero troppo secco. Un Euplectus (femmina, mannaggia) ...e due Bryaxis Di questo ho pure estratto l'edeago, ma è stata davvero una giornata no.  Ed il piccolino ne è uscito davvero malconcio...
_________________ Loris
|
|
| Top |
|
 |
|
Loriscola
|
Inviato: 22/10/2011, 22:04 |
|
Iscritto il: 05/02/2009, 17:25 Messaggi: 4894 Località: Zola Predosa (BO)
Nome: Loris Colacurcio
|
Finiamo in bellezza con gli Scydmenidi, dove in effetti sono riuscito a trovare vari esemplari e specie. Del "gruppo" degli Euconnus, Cladoconnus et similia....tutti in lettiera e particolarmente attivi anche in un contesto davvero secco, la cosa i ha stupito alquanto. Scydmaenus tarsatus...e del genere Cephennium. Il primo l'ho trovato vagliando sotto ad un mucchio di fieno, tutti gli altri in lettiera. In questo caso, primo e terzo, potrebbero anche essere la stessa specie E questo è tutto gente !! Alla prossima.... 
_________________ Loris
|
|
| Top |
|
 |
|
Andricus
|
Inviato: 22/10/2011, 22:11 |
|
Iscritto il: 01/07/2010, 22:26 Messaggi: 5652 Località: Viterbo
Nome: Marco Selis
|
Bellissimo reportage e belle specie! Anche a me piacerebbe esaminare la lettiera, conosco anche un posto adatto che però è troppo lontano per le mie possibilità La Silpha dovrebbe essere Silpha obscura obscura Linnaeus 1758 - Silphidae, però con questo genere ho ancora qualche problema nelle identificazioni 
|
|
| Top |
|
 |
|
Gianfranco
|
Inviato: 22/10/2011, 22:50 |
|
Iscritto il: 21/09/2009, 9:34 Messaggi: 1535 Località: Padova
Nome: Gianfranco Salvato
|
|
Caro Loris
Relativamente ai tre Latrididi: 1) Melanophtalma distinguenda (Comolli 1837) 2) potrebbe essere: Corticaria porochini (Johnson 2007) ex C. longicornis (Herbst) ? 3) Cartodere (Aridius) nodifer (Westw. 1839)
Per la Monotoma aspetta domani.
Ciao Gianfranco
|
|
| Top |
|
 |
|
gomphus
|
Inviato: 22/10/2011, 22:53 |
|
Iscritto il: 05/02/2009, 17:31 Messaggi: 9527 Località: milano
Nome: maurizio pavesi
|
ciao loris belissima carrellata p.s. quando poi inserirai i post per la determinazione, ricordati di inserire le dimensioni  ...
_________________ ***************** maurizio
|
|
| Top |
|
 |
|
Loriscola
|
Inviato: 22/10/2011, 23:01 |
|
Iscritto il: 05/02/2009, 17:25 Messaggi: 4894 Località: Zola Predosa (BO)
Nome: Loris Colacurcio
|
Caro Gianfranco, grazie per le determinazioni .....ovviamente i Latridiide sono tutti tuoi Sugli Anommatus, vai traquillo che ne ho presi qualcuno di più, di due. Più che nella vagliatura da lettiera, ho notato che erano presenti soprattutto nella rosura umida raccolta in un faggio cavo. Per Gomphus.....certamente; qui ho voluto fare in fretta; con calma completerò il tutto 
_________________ Loris
|
|
| Top |
|
 |
|
Gianfranco
|
Inviato: 22/10/2011, 23:49 |
|
Iscritto il: 21/09/2009, 9:34 Messaggi: 1535 Località: Padova
Nome: Gianfranco Salvato
|
|
Lo Zopheride è un "Coxelus pictus (Sturm 1807).
Per la Monotoma non vedo bene le caratteristiche. Ancora ciao e congratulazioni per le estrazioni Gianfranco
|
|
| Top |
|
 |
|
Orotrechus
|
Inviato: 23/10/2011, 17:33 |
|
Iscritto il: 01/11/2010, 21:21 Messaggi: 2110 Località: Brescia
Nome: Mario Grottolo
|
|
Il Bathyscino dovrebbe essere Bathyscila vallarsae Halbh., purtroppo è una femmina. Ciao Mario
|
|
| Top |
|
 |
|
Pactolinus
|
Inviato: 23/10/2011, 18:02 |
|
Iscritto il: 14/01/2010, 0:10 Messaggi: 3603 Località: Liguria, Genova
Nome: Giovanni Ratto
|
_________________ GiovanniPactolinus gigas (Paykull, 1811)
|
|
| Top |
|
 |
|