Benvenuto Ospite

Forum Entomologi Italiani

www.entomologiitaliani.net/forum
 
Oggi è 31/03/2026, 6:21

Tutti gli orari sono UTC + 1 ora [ ora legale ]

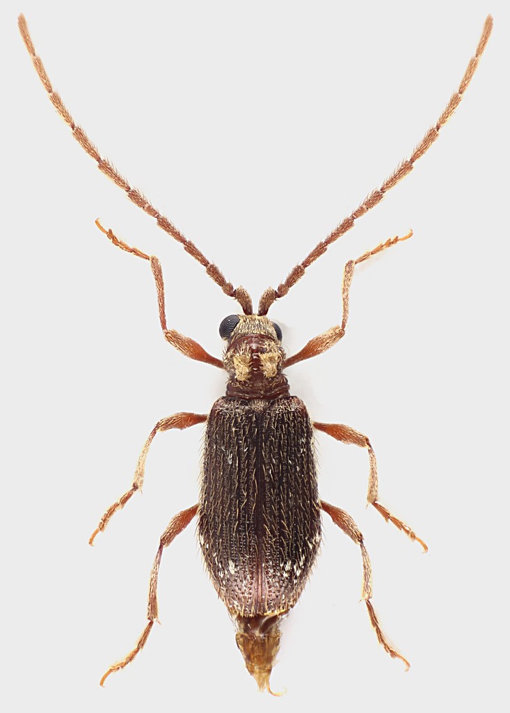
Ptinus (Cyphoderes) bidens Olivier, 1790 - Anobiidae Ptininae

2.I.2013 - ITALIA - Lazio - RM, Bosco di Manziana


nuovo argomento
rispondi
Pagina 1 di 1 [ 3 messaggi ]
Autore Messaggio
MessaggioInviato: 17/01/2013, 23:56 
Avatar utente

Iscritto il: 30/12/2009, 22:20
Messaggi: 31564
Località: Roma
Nome: Maurizio Gigli
Uno strano Ptinidae con gibbosità pelose sul pronoto. Ptinus sp.?

Lazio, Roma, Bosco di Manziana, 2.I.2013, sotto corteccia di quercia, M. Gigli legit

3 mm
Ptinus_Manziana_2-I-2013_3mm_grey.jpg


_________________
Maurizio Gigli
http://utenti.romascuola.net/bups
http://bup.xoom.it/


Top
profilo
 Oggetto del messaggio: Re: Ptinidae - Lazio
MessaggioInviato: 18/01/2013, 18:07 
Avatar utente

Iscritto il: 09/07/2011, 13:43
Messaggi: 2210
Località: Marmirolo (MN)
Nome: Maura Bocci
A me sembrerebbe un maschio di Ptinus bidens Olivier, 1790.

_________________
Maura
(Mitakuye oyasin)


Top
profilo
 Oggetto del messaggio: Re: Ptinidae - Lazio
MessaggioInviato: 18/01/2013, 20:02 
Avatar utente

Iscritto il: 30/12/2009, 22:20
Messaggi: 31564
Località: Roma
Nome: Maurizio Gigli
Sembra identico a quello di Loris, ma gli Ptinidi non li conosco per niente.

_________________
Maurizio Gigli
http://utenti.romascuola.net/bups
http://bup.xoom.it/


Top
profilo
Visualizza ultimi messaggi:  Ordina per  
nuovo argomento
rispondi
Pagina 1 di 1 [ 3 messaggi ]

Tutti gli orari sono UTC + 1 ora [ ora legale ]


Chi c’è in linea

Visitano il forum: Nessuno e 2 ospiti


Non puoi aprire nuovi argomenti
Non puoi rispondere negli argomenti
Non puoi modificare i tuoi messaggi
Non puoi cancellare i tuoi messaggi
Non puoi inviare allegati

Cerca per:
Vai a:  
cron