Benvenuto Ospite

Forum Entomologi Italiani

www.entomologiitaliani.net/forum
 
Oggi è 05/02/2026, 11:39

Tutti gli orari sono UTC + 1 ora [ ora legale ]

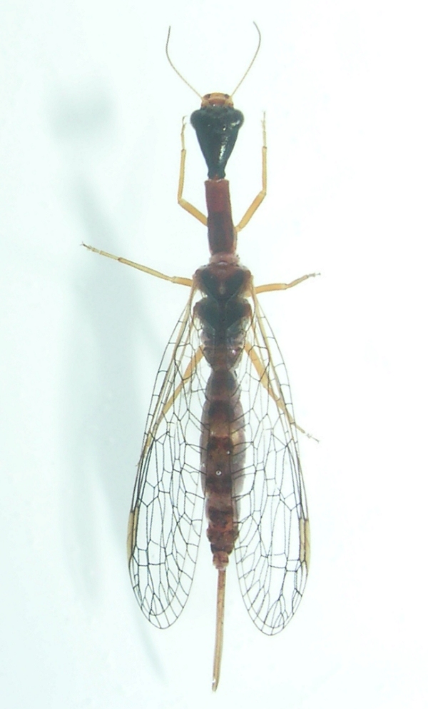
Xanthostigma aloysianum (A. Costa, 1855) - Raphidiidae

27.VII.2012 - ITALIA - Umbria - PG, Scheggia e Pascelupo - Eremo di S. Girolamo


nuovo argomento
rispondi
Pagina 1 di 1 [ 6 messaggi ]
Autore Messaggio
MessaggioInviato: 07/08/2012, 14:23 
Avatar utente

Iscritto il: 09/07/2011, 13:43
Messaggi: 2210
Località: Marmirolo (MN)
Nome: Maura Bocci
In trappola aerea, bosco misto, a quota 700 m ca.

Ocelli presenti.
Lunghezza: 12 mm.

Image2.jpg


Image3.jpg


Image4.jpg


Image5.jpg


_________________
Maura
(Mitakuye oyasin)


Top
profilo
 Oggetto del messaggio: Re: Raphidiidae da ID
MessaggioInviato: 07/08/2012, 15:32 
Avatar utente

Iscritto il: 02/02/2009, 23:32
Messaggi: 5645
Località: da Ferrara ad Alghero
Nome: Roberto A. Pantaleoni
:shock: 27 luglioooooooo :?

meglio allora che mi fotografi l'ala posteriore, troppo tardiva

Roberto :to:


PS: mi interessa soprattutto la base dell'ala.

_________________
verum stabile cetera fumus


Top
profilo
 Oggetto del messaggio: Re: Raphidiidae da ID
MessaggioInviato: 07/08/2012, 17:17 
Avatar utente

Iscritto il: 09/07/2011, 13:43
Messaggi: 2210
Località: Marmirolo (MN)
Nome: Maura Bocci
Sì, la trappola è rimasta appesa dal 17 al 27 luglio.

Ora lo riammorbidisco e, se riesco senza fare danni irreparabili :gh: , stanotte fotografo.

_________________
Maura
(Mitakuye oyasin)


Top
profilo
 Oggetto del messaggio: Re: Raphidiidae da ID
MessaggioInviato: 08/08/2012, 2:50 
Avatar utente

Iscritto il: 09/07/2011, 13:43
Messaggi: 2210
Località: Marmirolo (MN)
Nome: Maura Bocci
Spero che il dettaglio sia sufficiente

Image7.jpg


_________________
Maura
(Mitakuye oyasin)


Top
profilo
 Oggetto del messaggio: Re: Raphidiidae da ID
MessaggioInviato: 08/08/2012, 6:31 
Avatar utente

Iscritto il: 02/02/2009, 23:32
Messaggi: 5645
Località: da Ferrara ad Alghero
Nome: Roberto A. Pantaleoni
Direi allora che si tratta di una femmina tardiva di Xanthostigma aloysianum (A. Costa, 1855), specie non rara ma tutt'altro che banale.

Roberto :to:

_________________
verum stabile cetera fumus


Top
profilo
MessaggioInviato: 08/08/2012, 8:30 
Avatar utente

Iscritto il: 09/07/2011, 13:43
Messaggi: 2210
Località: Marmirolo (MN)
Nome: Maura Bocci
Grazie mille! :D

:hi:

_________________
Maura
(Mitakuye oyasin)


Top
profilo
Visualizza ultimi messaggi:  Ordina per  
nuovo argomento
rispondi
Pagina 1 di 1 [ 6 messaggi ]

Tutti gli orari sono UTC + 1 ora [ ora legale ]


Chi c’è in linea

Visitano il forum: Nessuno e 1 ospite


Non puoi aprire nuovi argomenti
Non puoi rispondere negli argomenti
Non puoi modificare i tuoi messaggi
Non puoi cancellare i tuoi messaggi
Non puoi inviare allegati

Cerca per:
Vai a:  
cron