Forum Entomologi Italiani
https://www.entomologiitaliani.net/public/forum/phpBB3/

Raphidiidae sp.
https://www.entomologiitaliani.net/public/forum/phpBB3/viewtopic.php?f=428&t=35635
Pagina 1 di 1

Autore:  Mimmo011 [ 21/06/2012, 16:28 ]
Oggetto del messaggio:  Raphidiidae sp.

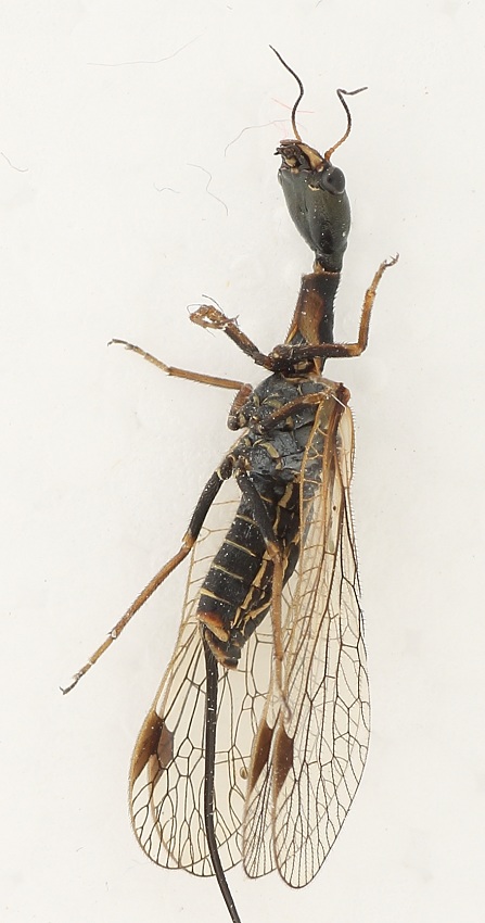
Ciao a tutti :)

inizialmente ero quasi sicuro che fosse una mantispa, ma non ha il primo paio di zampe modificate, quindi mi sa che non lo è!

Lunghezza 11 mm


IMG_5550 11mm.jpg



Allegati:
IMG_5551 11mm.jpg


Autore:  Maura [ 21/06/2012, 16:34 ]
Oggetto del messaggio:  Re: Neurottero

Dovrebbe essere un Raphidiidae, vedrai che qualcuno ti saprà dire quale :)

Autore:  Mimmo011 [ 21/06/2012, 16:42 ]
Oggetto del messaggio:  Re: Neurottero

Grazie Maura! :)

Ne ho visto uno simile in un avatar di qualche neurotterologo, ma non mi ricordo quale.

Autore:  clido [ 21/06/2012, 17:56 ]
Oggetto del messaggio:  Re: Neurottero

Provo a suggerire il genere Phaeostigma sp. - Raphidiidae

Autore:  Hemerobius [ 21/06/2012, 17:58 ]
Oggetto del messaggio:  Re: Neurottero

Qui andiamo sul difficile, questi ad occhiometro proprio non si determinano.
Se hai voglia di cimentarti servono ancora una visione laterale dell'apice dell'addome (ultimi uriti e base dell'ovopositore) ed una ventrale della stessa zona. Possibilmente entrambe perpendicolari all'addome (adesso lo vedo obliquamente e non ci capisco molto).

Roberto :to:

Autore:  clido [ 21/06/2012, 18:01 ]
Oggetto del messaggio:  Re: Neurottero

Hemerobius ha scritto:
Qui andiamo sul difficile, questi ad occhiometro proprio non si determinano.
Se hai voglia di cimentarti servono ancora una visione laterale dell'apice dell'addome (ultimi uriti e base dell'ovopositore) ed una ventrale della stessa zona. Possibilmente entrambe perpendicolari all'addome (adesso lo vedo obliquamente e non ci capisco molto).

Roberto :to:

:oooner: , ok,


clido ha scritto:
Provo a suggerire il genere Phaeostigma sp. - Raphidiidae


... come non detto :sick:

Autore:  Hemerobius [ 21/06/2012, 18:55 ]
Oggetto del messaggio:  Re: Neurottero

Non è assolutamente detto che non sia una Phaeostigma :) !

Roberto :to:

Autore:  Mimmo011 [ 21/06/2012, 20:49 ]
Oggetto del messaggio:  Re: Neurottero

Grazie a tutti :)

cercherò al più presto di accontentarti Roberto!! :D

Autore:  Maura [ 01/11/2012, 17:36 ]
Oggetto del messaggio:  Re: Neurottero

Mimmo, visto che hai adesso sei attrezzato di tutto punto :birra: ... proviamo a dare un nome a questo insettino? ;)

Autore:  Mimmo011 [ 01/11/2012, 17:46 ]
Oggetto del messaggio:  Re: Neurottero

Maura ha scritto:
Mimmo, visto che hai adesso sei attrezzato di tutto punto :birra: ... proviamo a dare un nome a questo insettino? ;)

Eeeeeem :roll: :roll: ..................lo dovrei prima trovare nel casino della mia scrivania!!! :D :D

Comunque le foto arriveranno!!! ;)

Pagina 1 di 1 Tutti gli orari sono UTC + 1 ora [ ora legale ]
Powered by phpBB® Forum Software © phpBB Group
http://www.phpbb.com/