Forum Entomologi Italiani
https://www.entomologiitaliani.net/public/forum/phpBB3/

Sphinginus coarctatus (Erichson, 1840) - Melyridae Malachiinae
https://www.entomologiitaliani.net/public/forum/phpBB3/viewtopic.php?f=431&t=106045
Pagina 1 di 1

Autore:  Chalybion [ 10/12/2024, 21:28 ]
Oggetto del messaggio:  Sphinginus coarctatus (Erichson, 1840) - Melyridae Malachiinae

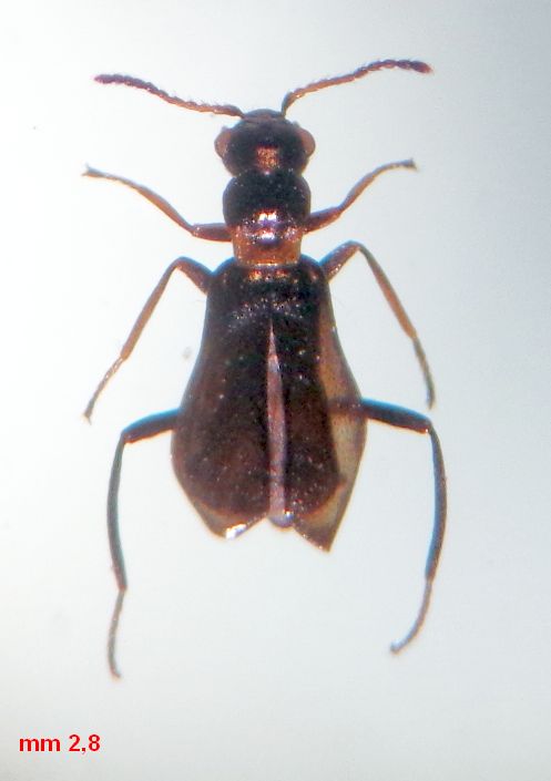
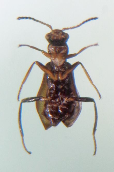
Di Taddeo V. legit.; le elitre sono completamente nere: raccolto sotto viburno. Sarei arrivato a Sphinginus coarctatus (Erichson, 1840); è lui?
:hi:
DSC03465.JPG



Allegati:
DSC03469.JPG


Autore:  gabrif [ 11/12/2024, 14:58 ]
Oggetto del messaggio:  Re: Sphinginus coarctatus (Erichson, 1840) - Melyridae Malachiinae

Cita:
Sarei arrivato a Sphinginus coarctatus (Erichson, 1840); è lui?

Ufficialmente: sì.
Ufficiosamente: io sono convinto che si tratti di due forme di colore. La presenza/assenza del bordo giallo all'apice delle elitre è l'unico carattere che separa le due specie, altrimenti identiche, e le due forme si trovano insieme in parte dei rispettivi areali.
Trattarle come specie separate mi sembra una forzatura.

:hi: :hi: G.

Autore:  Chalybion [ 11/12/2024, 15:04 ]
Oggetto del messaggio:  Re: Sphinginus coarctatus (Erichson, 1840) - Melyridae Malachiinae

Grazie. Vedo che hai corretto il titolo tu quindi sei stato sull'"ufficiale". :ok:

P.S.: Gabriele fa riferimento a S. lobatus, che ha apici elitrali chiari.
Giorgio. :hi:

Autore:  gabrif [ 11/12/2024, 16:08 ]
Oggetto del messaggio:  Re: Sphinginus coarctatus (Erichson, 1840) - Melyridae Malachiinae

no, è stato qualche altro volenteroso!

Pagina 1 di 1 Tutti gli orari sono UTC + 1 ora [ ora legale ]
Powered by phpBB® Forum Software © phpBB Group
http://www.phpbb.com/