Benvenuto Ospite

Forum Entomologi Italiani

www.entomologiitaliani.net/forum
 
Oggi è 22/05/2026, 3:07

Tutti gli orari sono UTC + 1 ora [ ora legale ]

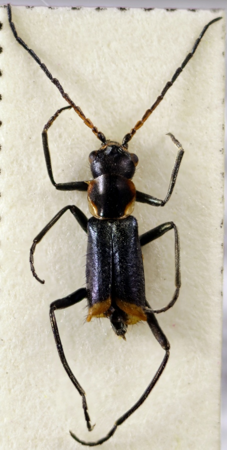
Axinotarsus (Axinotarsus) longicornis (Kiesenwetter, 1859) - Malachiidae

14.V.2022 - ITALIA - Sicilia - ME, Moio Alcantara 1 km E


nuovo argomento
rispondi
Pagina 1 di 1 [ 1 messaggio ]
Autore Messaggio
MessaggioInviato: 26/02/2023, 13:37 
Avatar utente

Iscritto il: 14/03/2009, 12:59
Messaggi: 3274
Località: Milano
Nome: Gabriele Franzini
Un bellissimo endemismo siciliano, riconoscibile per le elitre blu violetto e il pronoto scuro bordato di chiaro. Dalle pochissime località che ho visto, sembrerebbe legato ad ambienti umidi; il che fa di lui un candidato a tempi difficili :cry: :cry: .

Maschio, lungh. 3,5 mm, leg. G. Liberti

ax_longicornis.jpg



:hi: :hi: G.


Top
profilo
Visualizza ultimi messaggi:  Ordina per  
nuovo argomento
rispondi
Pagina 1 di 1 [ 1 messaggio ]

Tutti gli orari sono UTC + 1 ora [ ora legale ]


Chi c’è in linea

Visitano il forum: Nessuno e 1 ospite


Non puoi aprire nuovi argomenti
Non puoi rispondere negli argomenti
Non puoi modificare i tuoi messaggi
Non puoi cancellare i tuoi messaggi
Non puoi inviare allegati

Cerca per:
Vai a:  
cron