| Autore |
Messaggio |
|
Julodis
|
Inviato: 16/11/2011, 21:53 |
|
Iscritto il: 30/12/2009, 22:20 Messaggi: 31564 Località: Roma
Nome: Maurizio Gigli
|
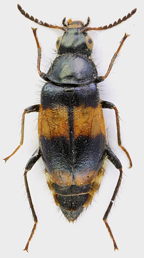
Su questo mi sono arreso. Preso sui fiori su un versante dei Monti Ksour Tunisia, Foum Tataouine, Douiret, 8.IV.1996, M. & D. Gigli legit 6 mm
|
|
| Top |
|
 |
|
Fumea crassiorella
|
Inviato: 17/11/2011, 0:00 |
|
Iscritto il: 02/09/2009, 20:57 Messaggi: 8703 Località: Cagliari
Nome: Roberto Rattu
|
Che bello  , dalla miniatura sembrava un Nicrophorus! Mi ricorda i nostri Divales.......
|
|
| Top |
|
 |
|
Andricus
|
Inviato: 17/11/2011, 0:03 |
|
Iscritto il: 01/07/2010, 22:26 Messaggi: 5663 Località: Viterbo
Nome: Marco Selis
|
Fumea crassiorella ha scritto: dalla miniatura sembrava un Nicrophorus Anche io sono caduto nello stesso tranello. Ho aperto la discussione contento di vedere un Nicrophorus tunisino e invece mi si presenta questo Cleroideo  Anche se è indubbiamente bello 
|
|
| Top |
|
 |
|
Julodis
|
Inviato: 17/11/2011, 8:29 |
|
Iscritto il: 30/12/2009, 22:20 Messaggi: 31564 Località: Roma
Nome: Maurizio Gigli
|
|
Dal vero gli somiglia ben poco, tra le dimensioni, molto minori, e il fatto che è una bestia floricola. Però in foto una certa somiglianza c'è. Mai trovato un Nicrophorus in Nord Africa! Ci saranno, soprattutto nelle zone più fresche del Nord, ma tra Scarabaeidae e Tenebrionidae (per non parlare di mammiferi ed uccelli) devono avere vita dura.
|
|
| Top |
|
 |
|
giuseppe55
|
Inviato: 17/11/2011, 19:56 |
|
Iscritto il: 10/07/2010, 14:42 Messaggi: 4867
Nome: Giuseppe Pace
|
Julodis ha scritto: Coleottero Cleroidea da determinare - Tunisia L'aspetto, effettivamente, è da Dasytidae/Malachiidae. Ciao Giuseppe
|
|
| Top |
|
 |
|
Julodis
|
Inviato: 17/11/2011, 23:11 |
|
Iscritto il: 30/12/2009, 22:20 Messaggi: 31564 Località: Roma
Nome: Maurizio Gigli
|
giuseppe55 ha scritto: Julodis ha scritto: Coleottero Cleroidea da determinare - Tunisia L'aspetto, effettivamente, è da Dasytidae/Malachiidae. Ciao Giuseppe Infatti anche io non riesco a decidere tra queste due famiglie.
|
|
| Top |
|
 |
|
giuseppe55
|
Inviato: 19/11/2011, 16:27 |
|
Iscritto il: 10/07/2010, 14:42 Messaggi: 4867
Nome: Giuseppe Pace
|
Julodis ha scritto: Infatti anche io non riesco a decidere tra queste due famiglie. Non a caso erano inserite in un'unica famiglia. Un carattere distintivo potrebbe essere visibile con una foto laterale. Ciao Giuseppe
|
|
| Top |
|
 |
|
Julodis
|
Inviato: 20/11/2011, 8:35 |
|
Iscritto il: 30/12/2009, 22:20 Messaggi: 31564 Località: Roma
Nome: Maurizio Gigli
|
giuseppe55 ha scritto: Non a caso erano inserite in un'unica famiglia. Un carattere distintivo potrebbe essere visibile con una foto laterale. Se mi dici quale, posso provare a scegliere una inquadratura adatta. Ciao
|
|
| Top |
|
 |
|
giuseppe55
|
Inviato: 21/11/2011, 20:29 |
|
Iscritto il: 10/07/2010, 14:42 Messaggi: 4867
Nome: Giuseppe Pace
|
Julodis ha scritto: Se mi dici quale, posso provare a scegliere una inquadratura adatta. Ciao Maurizio, i Malachidi hanno delle vescicole laterali. Solitamente sotto il bordo anteriore del pronoto. Anche nella zona del prosterno ed alla base dell'addome possono essere presenti. Quando non sono rigonfie appaiono poco visibili, ma solitamente riconoscibili. I Dasitidi non le hanno. Giuseppe
|
|
| Top |
|
 |
|
Julodis
|
Inviato: 22/11/2011, 1:25 |
|
Iscritto il: 30/12/2009, 22:20 Messaggi: 31564 Località: Roma
Nome: Maurizio Gigli
|
giuseppe55 ha scritto: Julodis ha scritto: Se mi dici quale, posso provare a scegliere una inquadratura adatta. Ciao Maurizio, i Malachidi hanno delle vescicole laterali. Solitamente sotto il bordo anteriore del pronoto. Anche nella zona del prosterno ed alla base dell'addome possono essere presenti. Quando non sono rigonfie appaiono poco visibili, ma solitamente riconoscibili. I Dasitidi non le hanno. Giuseppe Grazie. Domani provo.
|
|
| Top |
|
 |
|
strepens
|
Inviato: 26/01/2012, 17:29 |
|
Iscritto il: 25/01/2012, 21:39 Messaggi: 496 Località: athens, greece
Nome: Kakiopoulos George
|
|
Hello !!! It belongs to Malachiidae family, as I think. The morphology is similar to a female individual of the genus Attalus Er. 1840 and particulary to the subgenus A. (Maurattalus Pardo-Alcaide 1975). The caracteristic of this subgenus, is the long hairs, on the hind tibiae, in contrast to the subgenus Attalus (s.str.). A. (Maurattalus), is a group of 8-10 north-African species (mainly from Morocco), with a length of approximately 3-4.5 mm. Ciao a tutti !!! George
|
|
| Top |
|
 |
|
Julodis
|
Inviato: 26/01/2012, 17:38 |
|
Iscritto il: 30/12/2009, 22:20 Messaggi: 31564 Località: Roma
Nome: Maurizio Gigli
|
strepens ha scritto: Hello !!! It belongs to Malachiidae family, as I think. The morphology is similar to a female individual of the genus Attalus Er. 1840 and particulary to the subgenus A. (Maurattalus Pardo-Alcaide 1975). The caracteristic of this subgenus, is the long hairs, on the hind tibiae, in contrast to the subgenus Attalus (s.str.). A. (Maurattalus), is a group of 8-10 north-African species (mainly from Morocco), with a length of approximately 3-4.5 mm. Ciao a tutti !!! George Thank you very much, George!
|
|
| Top |
|
 |
|