Benvenuto Ospite

Forum Entomologi Italiani

www.entomologiitaliani.net/forum
 
Oggi è 21/04/2026, 20:58

Tutti gli orari sono UTC + 1 ora [ ora legale ]

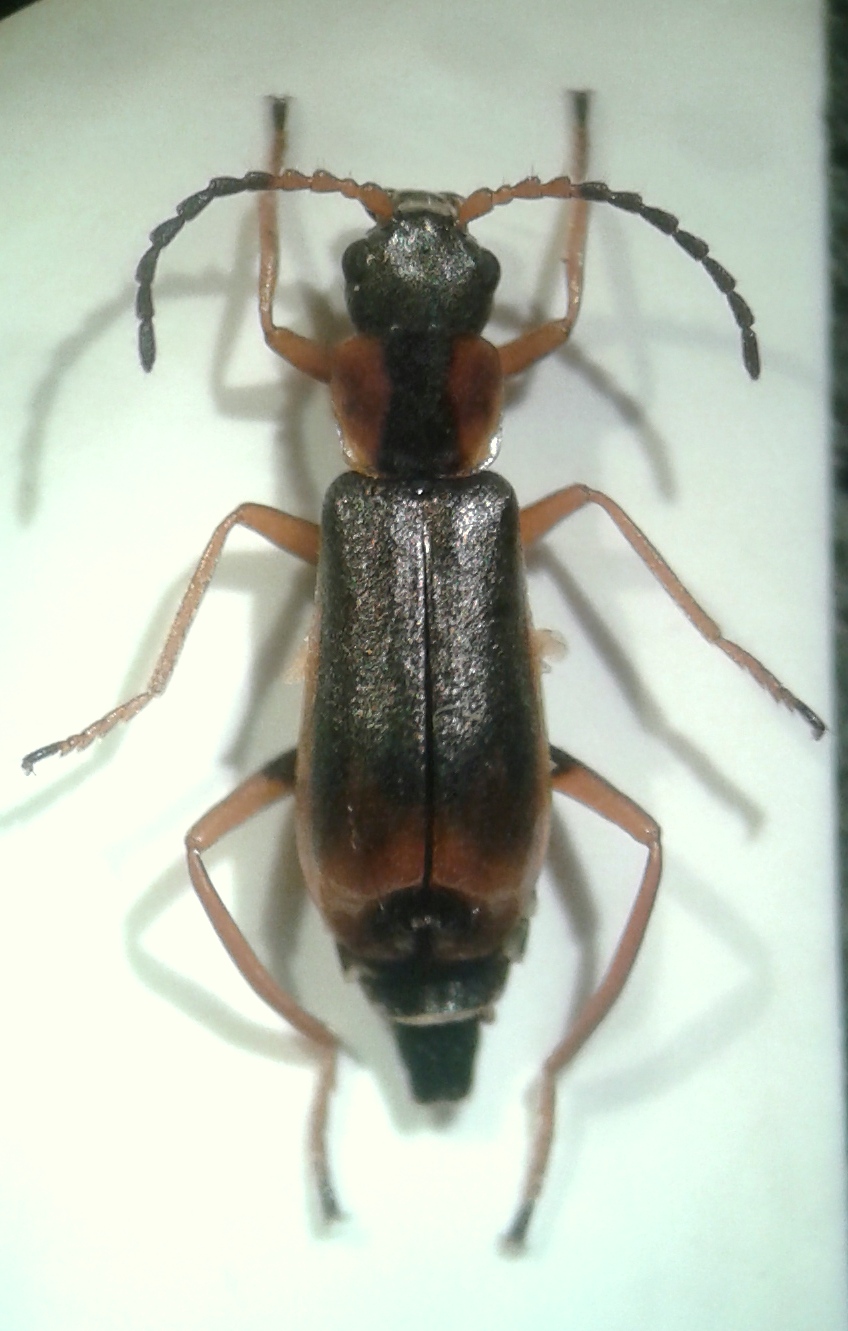
Cerapheles lateplagiatus (Fairmaire, 1862) - Malachiidae

28.IV.2017 - ITALIA - Emilia-Romagna - BO, Mordano - Bubano


nuovo argomento
rispondi
Pagina 1 di 1 [ 3 messaggi ]
Autore Messaggio
MessaggioInviato: 04/05/2017, 8:24 
Avatar utente

Iscritto il: 05/02/2009, 17:25
Messaggi: 4894
Località: Zola Predosa (BO)
Nome: Loris Colacurcio
Un esemplare che ricorda molto questo esemplare
viewtopic.php?f=432&t=71157&hilit=cerapheles

Unica differenza, la curiosa conformazione dell'apice elitrale che presumo sia propria dei maschi (o delle femmine :oops: )
Raccolto a sfalcio, sempre nella zona umida di Bubano

20170429_222458.jpg


20170429_222521.jpg


_________________
Loris


Top
profilo
MessaggioInviato: 04/05/2017, 21:28 
Avatar utente

Iscritto il: 14/03/2009, 12:59
Messaggi: 3262
Località: Milano
Nome: Gabriele Franzini
Ciao, :ok: :ok: è lui, ma anche quello dell'altra foto è un maschio. Le femmine hanno l'apice delle elitre semplice, senza appendici. Sono di comparsa un po' più tardiva dei maschi, se ci torni dopo metà maggio probabilmente le trovi.

:hi: :hi: G.


Top
profilo
MessaggioInviato: 06/03/2020, 19:01 
Avatar utente

Iscritto il: 14/03/2009, 12:59
Messaggi: 3262
Località: Milano
Nome: Gabriele Franzini
Ciao,
segnalo che i ritrovamenti di questa specie da parte di Loris sono stati inclusi nel lavoro di S. Cuoco uscito di recente:
Cuoco, S. (2019). Sulla presenza in Toscana di Cerapheles lateplagiatus (Fairmaire, 1862). Quaderno di Studi e Notizie di Storia Naturale della Romagna, 50, 171–176.

:hi: :hi: G.


Top
profilo
Visualizza ultimi messaggi:  Ordina per  
nuovo argomento
rispondi
Pagina 1 di 1 [ 3 messaggi ]

Tutti gli orari sono UTC + 1 ora [ ora legale ]


Chi c’è in linea

Visitano il forum: Nessuno e 1 ospite


Non puoi aprire nuovi argomenti
Non puoi rispondere negli argomenti
Non puoi modificare i tuoi messaggi
Non puoi cancellare i tuoi messaggi
Non puoi inviare allegati

Cerca per:
Vai a: