Benvenuto Ospite

Forum Entomologi Italiani

www.entomologiitaliani.net/forum
 
Oggi è 14/02/2026, 6:28

Tutti gli orari sono UTC + 1 ora [ ora legale ]

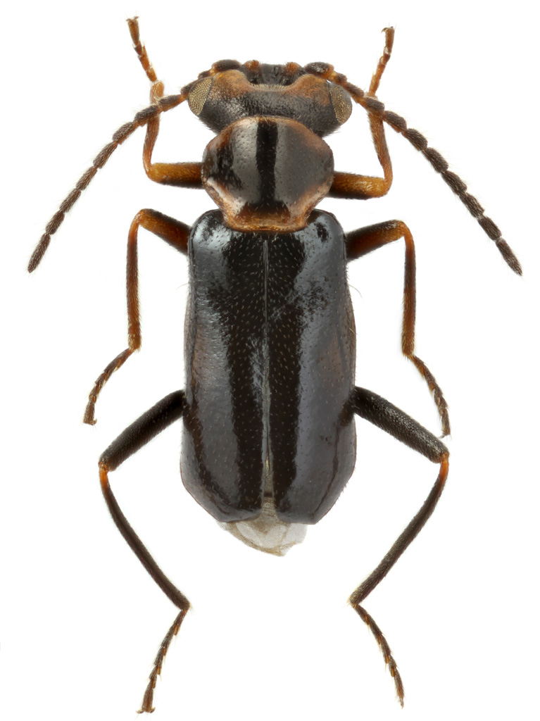
Troglops colasi Wittmer 1968 - Malachiidae

15.IV.2015 - TURCHIA - EE, Antalia prov., Kemer reg., Beldibi env.


nuovo argomento
rispondi
Pagina 1 di 1 [ 7 messaggi ]
Autore Messaggio
MessaggioInviato: 02/05/2020, 20:02 
 

Iscritto il: 01/05/2020, 0:49
Messaggi: 53
Nome: Maxim Smirnov
Help please with this Troglops if it possible on photo.
Male, 2,6 mm.


Troglops_Kemer.jpg

Top
profilo
 Oggetto del messaggio: Re: Troglops sp.
MessaggioInviato: 02/05/2020, 20:19 
Avatar utente

Iscritto il: 14/03/2009, 12:59
Messaggi: 3248
Località: Milano
Nome: Gabriele Franzini
Hello Maxim, we can try but you should take two more photos of head: one front and one lateral. Good characters of male Troglops are all on head.

:hi: :hi: G.


Top
profilo
 Oggetto del messaggio: Re: Troglops sp.
MessaggioInviato: 02/05/2020, 22:41 
 

Iscritto il: 01/05/2020, 0:49
Messaggi: 53
Nome: Maxim Smirnov
Ok, thanks :ok: I`ll try next week (it`s not so quick work) :hi:


Top
profilo
 Oggetto del messaggio: Re: Troglops sp.
MessaggioInviato: 07/05/2020, 1:14 
 

Iscritto il: 01/05/2020, 0:49
Messaggi: 53
Nome: Maxim Smirnov
Well, ready :) Look it please -


Troglops head lateral.jpg

Troglops_frons.jpg

Top
profilo
 Oggetto del messaggio: Re: Troglops sp.
MessaggioInviato: 07/05/2020, 11:42 
Avatar utente

Iscritto il: 14/03/2009, 12:59
Messaggi: 3248
Località: Milano
Nome: Gabriele Franzini
Hello Maxim,

My hypothesis is Troglops colasi Wittmer 1968, that is described fron that region and as "very close to T. albicans". You can find Wittmer's description here http://doi.org/10.5169/seals-401549.

Let's wait for George's opinion, also.

:hi: :hi: G.


Top
profilo
 Oggetto del messaggio: Re: Troglops sp.
MessaggioInviato: 07/05/2020, 14:58 
 

Iscritto il: 25/01/2012, 21:39
Messaggi: 496
Località: athens, greece
Nome: Kakiopoulos George
hello Maxim and Gabriele,
Very good photos !!!
Yes, it is Troglops colasi, exactly as Gabriele has already said.
Except of Turkey, I have also encountered it on some Greek islands (Aegean sea).
:hi: :hi:
George


Top
profilo
MessaggioInviato: 07/05/2020, 21:59 
 

Iscritto il: 01/05/2020, 0:49
Messaggi: 53
Nome: Maxim Smirnov
Thank You ever so much for this determination! :D


Top
profilo
Visualizza ultimi messaggi:  Ordina per  
nuovo argomento
rispondi
Pagina 1 di 1 [ 7 messaggi ]

Tutti gli orari sono UTC + 1 ora [ ora legale ]


Chi c’è in linea

Visitano il forum: Nessuno e 1 ospite


Non puoi aprire nuovi argomenti
Non puoi rispondere negli argomenti
Non puoi modificare i tuoi messaggi
Non puoi cancellare i tuoi messaggi
Non puoi inviare allegati

Cerca per:
Vai a:  
cron