Benvenuto Ospite

Forum Entomologi Italiani

www.entomologiitaliani.net/forum
 
Oggi è 23/04/2026, 13:02

Tutti gli orari sono UTC + 1 ora [ ora legale ]

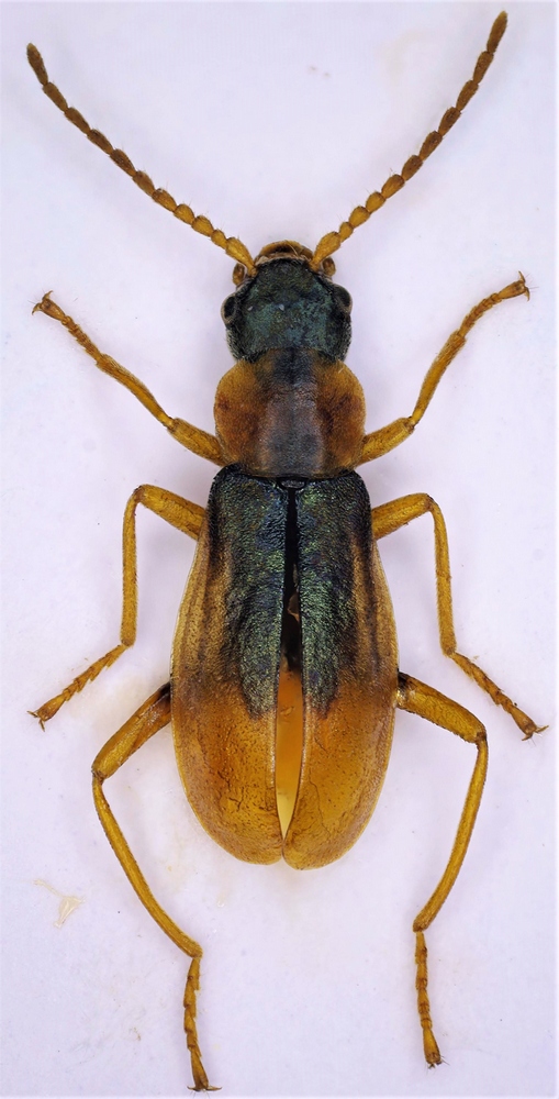
Cerapheles lateplagiatus (Fairmaire, 1862) ♀ - Malachiidae

1.V.2021 - ITALIA - Emilia-Romagna - RA, Pineta San Vitale (RA) 01.V.2021 A. Degiovanni leg


nuovo argomento
rispondi
Pagina 1 di 1 [ 3 messaggi ]
Autore Messaggio
MessaggioInviato: 10/02/2022, 15:21 
Avatar utente

Iscritto il: 06/02/2009, 9:03
Messaggi: 6379
Località: Bubano di Mordano (Bologna)
Nome: Augusto Degiovanni
Non so se sia già stato fotografato, ho dato un'occhiata ma non mi sembra di averlo visto, si può sapere cos'è ?

Catturato in zona paludosa.

Dimensioni: 4,8 mm

tn_Malachiidae.jpg


_________________
CIAO :hi: Augusto Degiovanni

http://anthicidaeecarabidae.altervista.org


Top
profilo
 Oggetto del messaggio: Re: Malachiidae
MessaggioInviato: 10/02/2022, 16:00 
Avatar utente

Iscritto il: 14/03/2009, 12:59
Messaggi: 3262
Località: Milano
Nome: Gabriele Franzini
Ciao Augusto, è la femmina di questo http://www.entomologiitaliani.net/public/forum/phpBB3/viewtopic.php?f=432&t=74375. Nel genere Cerapheles, come in diversi altri della famiglia, le femmine sono microtttere.

:hi: :hi: G.


Top
profilo
 Oggetto del messaggio: Re: Malachiidae
MessaggioInviato: 10/02/2022, 16:19 
Avatar utente

Iscritto il: 06/02/2009, 9:03
Messaggi: 6379
Località: Bubano di Mordano (Bologna)
Nome: Augusto Degiovanni
A ok grazie Gabri. :ok:

_________________
CIAO :hi: Augusto Degiovanni

http://anthicidaeecarabidae.altervista.org


Top
profilo
Visualizza ultimi messaggi:  Ordina per  
nuovo argomento
rispondi
Pagina 1 di 1 [ 3 messaggi ]

Tutti gli orari sono UTC + 1 ora [ ora legale ]


Chi c’è in linea

Visitano il forum: Nessuno e 1 ospite


Non puoi aprire nuovi argomenti
Non puoi rispondere negli argomenti
Non puoi modificare i tuoi messaggi
Non puoi cancellare i tuoi messaggi
Non puoi inviare allegati

Cerca per:
Vai a: