Benvenuto Ospite

Forum Entomologi Italiani

www.entomologiitaliani.net/forum
 
Oggi è 25/05/2026, 16:21

Tutti gli orari sono UTC + 1 ora [ ora legale ]

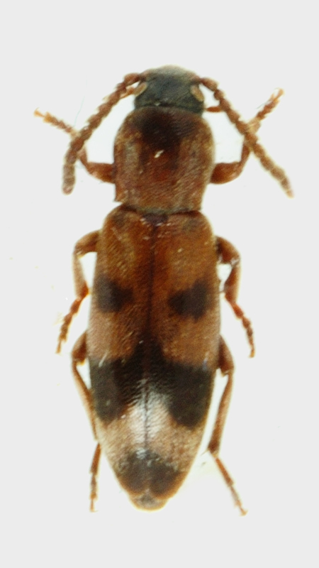
Hypulus bifasciatus (Fabricius, 1792) - Melandryidae

III.2007 - SLOVENIA - EE, Selva di Tarnova


nuovo argomento
rispondi
Pagina 1 di 1 [ 6 messaggi ]
Autore Messaggio
MessaggioInviato: 19/07/2011, 20:55 
Avatar utente

Iscritto il: 04/04/2010, 22:20
Messaggi: 1041
Località: S.Pelagio (TS)
Nome: Alessandro Drago
l'unica certezza che ho è l'ordine... :evil:

misura: 6mm


selva_tarnova_indet.jpg


_________________
- SoNo un PoMpIeRe -
Top
profilo
 Oggetto del messaggio: Re: coleottero da ID O_O
MessaggioInviato: 19/07/2011, 21:07 
Avatar utente

Iscritto il: 13/10/2010, 18:21
Messaggi: 2004
Nome: Andrea Liberto
Ciao: Melandrydae, direi genere Marolia. :hi:


Top
profilo
 Oggetto del messaggio: Re: coleottero da ID O_O
MessaggioInviato: 19/07/2011, 21:08 
Avatar utente

Iscritto il: 13/10/2010, 18:21
Messaggi: 2004
Nome: Andrea Liberto
OOPS... Forse Hypulus :ses


Top
profilo
 Oggetto del messaggio: Re: coleottero da ID O_O
MessaggioInviato: 19/07/2011, 21:18 
Avatar utente

Iscritto il: 04/04/2010, 22:20
Messaggi: 1041
Località: S.Pelagio (TS)
Nome: Alessandro Drago
è molto simile a Hypulus bifasciatus (Fabricius, 1792)

_________________
- SoNo un PoMpIeRe -


Top
profilo
 Oggetto del messaggio: Re: coleottero da ID O_O
MessaggioInviato: 19/07/2011, 21:22 
Avatar utente

Iscritto il: 09/11/2009, 14:12
Messaggi: 5199
Località: Hradec Kralove,Czech republik
Nome: Jan Matějíček
Hypulus bifasciatus (Fabricius, 1792) - Melandryidae

_________________
Research Fields
Taxonomy, ecology, biomonitoring , faunistic of Staphylinidae


Top
profilo
 Oggetto del messaggio: Re: coleottero da ID O_O
MessaggioInviato: 19/07/2011, 21:48 
Avatar utente

Iscritto il: 16/02/2009, 23:39
Messaggi: 1372
Località: Mirano (Venezia)
Nome: Enrico Ruzzier
Honza ha scritto:
Hypulus bifasciatus (Fabricius, 1792) - Melandryidae


Right :ok: :mrgreen: :mrgreen: :mrgreen: :mrgreen:


:hi:

_________________
«Discendiamo da scimmie evolute, non da angeli caduti» Robert Ardrey


Top
profilo
Visualizza ultimi messaggi:  Ordina per  
nuovo argomento
rispondi
Pagina 1 di 1 [ 6 messaggi ]

Tutti gli orari sono UTC + 1 ora [ ora legale ]


Chi c’è in linea

Visitano il forum: Nessuno e 1 ospite


Non puoi aprire nuovi argomenti
Non puoi rispondere negli argomenti
Non puoi modificare i tuoi messaggi
Non puoi cancellare i tuoi messaggi
Non puoi inviare allegati

Cerca per:
Vai a: