Benvenuto Ospite

Forum Entomologi Italiani

www.entomologiitaliani.net/forum
 
Oggi è 06/02/2026, 4:03

Tutti gli orari sono UTC + 1 ora [ ora legale ]

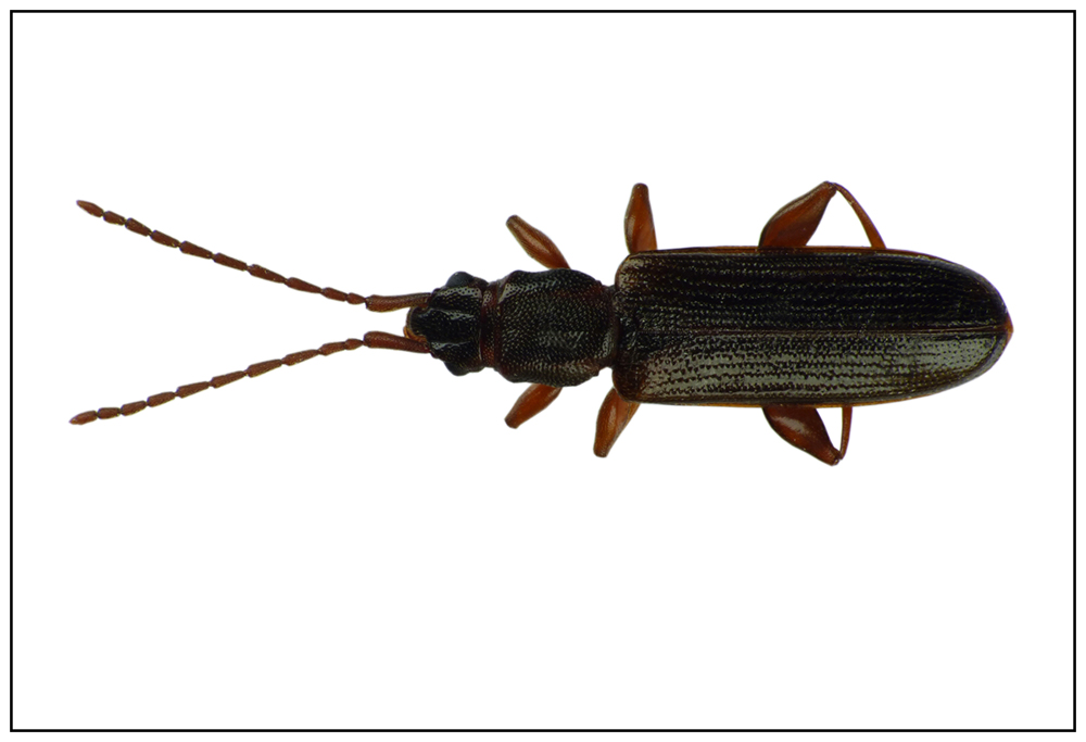
Dendrophagus crenatus (Paykull 1799) - Silvanidae

28.XII.2015 - REPUBBLICA CECA - EE, -


nuovo argomento
rispondi
Pagina 1 di 1 [ 4 messaggi ]
Autore Messaggio
MessaggioInviato: 30/12/2015, 9:14 
 

Iscritto il: 02/03/2013, 21:22
Messaggi: 271
Nome: Gierlasinski Grzegorz
Hello,

I found this beetle under the bark of dead (approx. 2m high) tree:
627 s2 for.jpg



Lenght: 7,6 mm

What species is it?

Best regards
Grzegorz

_________________
Papers in PDF format: https://www.researchgate.net/profile/Grzegorz_Gierlasinski3
My site: http://heteroptera.entomo.pl


Top
profilo
 Oggetto del messaggio: Re: Long flat beetle
MessaggioInviato: 30/12/2015, 10:29 
 

Iscritto il: 24/03/2010, 12:42
Messaggi: 1450
Nome: Lech Borowiec
http://www.colpolon.biol.uni.wroc.pl/de ... enatus.htm


Top
profilo
 Oggetto del messaggio: Re: Long flat beetle
MessaggioInviato: 30/12/2015, 10:32 
 

Iscritto il: 02/03/2013, 21:22
Messaggi: 271
Nome: Gierlasinski Grzegorz
Dziękuję Panie Profesorze :)

_________________
Papers in PDF format: https://www.researchgate.net/profile/Grzegorz_Gierlasinski3
My site: http://heteroptera.entomo.pl


Top
profilo
 Oggetto del messaggio: Re: Long flat beetle
MessaggioInviato: 30/12/2015, 12:13 
 

Iscritto il: 21/09/2009, 9:34
Messaggi: 1535
Località: Padova
Nome: Gianfranco Salvato
This Dendrophagus crenatus (Paykull 1799) is very interesting for me.
Do you have a second ex. for me?
Best regards
Gianfranco


Top
profilo
Visualizza ultimi messaggi:  Ordina per  
nuovo argomento
rispondi
Pagina 1 di 1 [ 4 messaggi ]

Tutti gli orari sono UTC + 1 ora [ ora legale ]


Chi c’è in linea

Visitano il forum: Nessuno e 1 ospite


Non puoi aprire nuovi argomenti
Non puoi rispondere negli argomenti
Non puoi modificare i tuoi messaggi
Non puoi cancellare i tuoi messaggi
Non puoi inviare allegati

Cerca per:
Vai a:  
cron