Benvenuto Ospite

Forum Entomologi Italiani

www.entomologiitaliani.net/forum
 
Oggi è 19/02/2026, 14:20

Tutti gli orari sono UTC + 1 ora [ ora legale ]

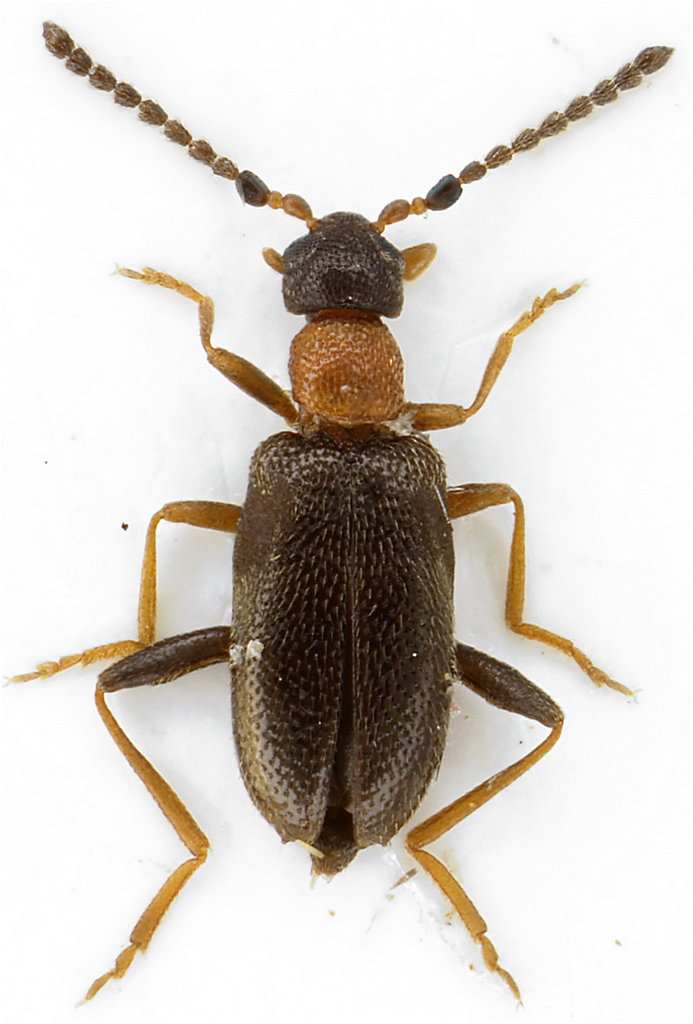
Anidorus sanguinolentus (Kiesenwetter, 1861) - Aderidae - Lazio

21.VIII.2010 - ITALIA - Lazio - FR, Serrone, 650 m


nuovo argomento
rispondi
Pagina 1 di 1 [ 7 messaggi ]
Autore Messaggio
MessaggioInviato: 25/08/2010, 13:34 
Avatar utente

Iscritto il: 30/12/2009, 22:20
Messaggi: 31564
Località: Roma
Nome: Maurizio Gigli
Ecco un altro Anthicidae arrivato alla luce.

Lazio, Frosinone, Serrone, 650 m, 21.VIII.2010, alla luce nera sul terrazzo di casa
2,2 mm

Anthicidae_Serrone_21-VIII-2010_2,2mm.jpg


_________________
Maurizio Gigli
http://utenti.romascuola.net/bups
http://bup.xoom.it/


Top
profilo
 Oggetto del messaggio: Re: Anthicidae - Lazio
MessaggioInviato: 25/08/2010, 15:34 
 

Iscritto il: 05/08/2010, 12:21
Messaggi: 41
Località: Hlučín-Bobrovníky, Repubblica Ceca
Nome: Marion Mantič
Aderidae-Anidorus sp.? in Italia

Anidorus lateralis (Gredler 1866)
Anidorus nigrinus (Germar 1842)
Anidorus sanguinolentus (von Kiesenwetter 1861)

_________________
Marion Mantič
marion.m@seznam.cz


Top
profilo
 Oggetto del messaggio: Re: Anthicidae - Lazio
MessaggioInviato: 25/08/2010, 15:57 
Avatar utente

Iscritto il: 30/12/2009, 22:20
Messaggi: 31564
Località: Roma
Nome: Maurizio Gigli
So, this is not Anthicidae, but Aderidae! I didn't know this family.
It seems very similar to a male of Anidorus sanguinolentus.

_________________
Maurizio Gigli
http://utenti.romascuola.net/bups
http://bup.xoom.it/


Top
profilo
 Oggetto del messaggio: Re: Anthicidae - Lazio
MessaggioInviato: 25/08/2010, 16:13 
 

Iscritto il: 05/08/2010, 12:21
Messaggi: 41
Località: Hlučín-Bobrovníky, Repubblica Ceca
Nome: Marion Mantič
http://www.ibdml.univ-mrs.fr/equipes/BP ... ridae.html


Anidorus.JPG


_________________
Marion Mantič
marion.m@seznam.cz
Top
profilo
 Oggetto del messaggio: Re: Anidorus sp. - Aderidae - Lazio
MessaggioInviato: 25/08/2010, 16:18 
 

Iscritto il: 05/08/2010, 12:21
Messaggi: 41
Località: Hlučín-Bobrovníky, Repubblica Ceca
Nome: Marion Mantič
http://www.ibdml.univ-mrs.fr/equipes/BP ... ridae.html

I think so. I do not know what he looks like lateralis.

_________________
Marion Mantič
marion.m@seznam.cz


Top
profilo
 Oggetto del messaggio: Re: Anidorus sp. - Aderidae - Lazio
MessaggioInviato: 25/08/2010, 16:23 
Avatar utente

Iscritto il: 30/12/2009, 22:20
Messaggi: 31564
Località: Roma
Nome: Maurizio Gigli
marion ha scritto:
http://www.ibdml.univ-mrs.fr/equipes/BP_NG/Aderidae.html

I think so. I do not know what he looks like lateralis.

And I was unable to find an image of this species!

_________________
Maurizio Gigli
http://utenti.romascuola.net/bups
http://bup.xoom.it/


Top
profilo
 Oggetto del messaggio: Re: Anidorus sp. - Aderidae - Lazio
MessaggioInviato: 25/08/2010, 18:20 
 

Iscritto il: 10/07/2010, 14:42
Messaggi: 4857
Nome: Giuseppe Pace
Ciao a tutti,
ho controllato i caratteri distintivi delle due specie e, come evidente anche dalle fotografie, si tratta di un maschio di Anidorus sanguinolentus.


Nella Fauna Italiana erano riportati:

Anidorus lateralis (Gredler, 1866) (N)
Anidorus nigrinus (Germar, 1831) (N, S, Sa?)
Anidorus patricius (Abeille de Perrin, 1872) (N?, S) (*)
Anidorus sanguinolentus (Kiesenwetter, 1861) (N, S, Si)

Il patricius, indicato proprio del Lazio, è in sinonimia con il nigrinus.
Quanto al lateralis (=tirolensis), c'è una nota sul "Porta", differisce dal sanguinolentus per la fine punteggiatura del capo.

Giuseppe


Top
profilo
Visualizza ultimi messaggi:  Ordina per  
nuovo argomento
rispondi
Pagina 1 di 1 [ 7 messaggi ]

Tutti gli orari sono UTC + 1 ora [ ora legale ]


Chi c’è in linea

Visitano il forum: Nessuno e 1 ospite


Non puoi aprire nuovi argomenti
Non puoi rispondere negli argomenti
Non puoi modificare i tuoi messaggi
Non puoi cancellare i tuoi messaggi
Non puoi inviare allegati

Cerca per:
Vai a: