Benvenuto Ospite

Forum Entomologi Italiani

www.entomologiitaliani.net/forum
 
Oggi è 24/05/2026, 11:16

Tutti gli orari sono UTC + 1 ora [ ora legale ]

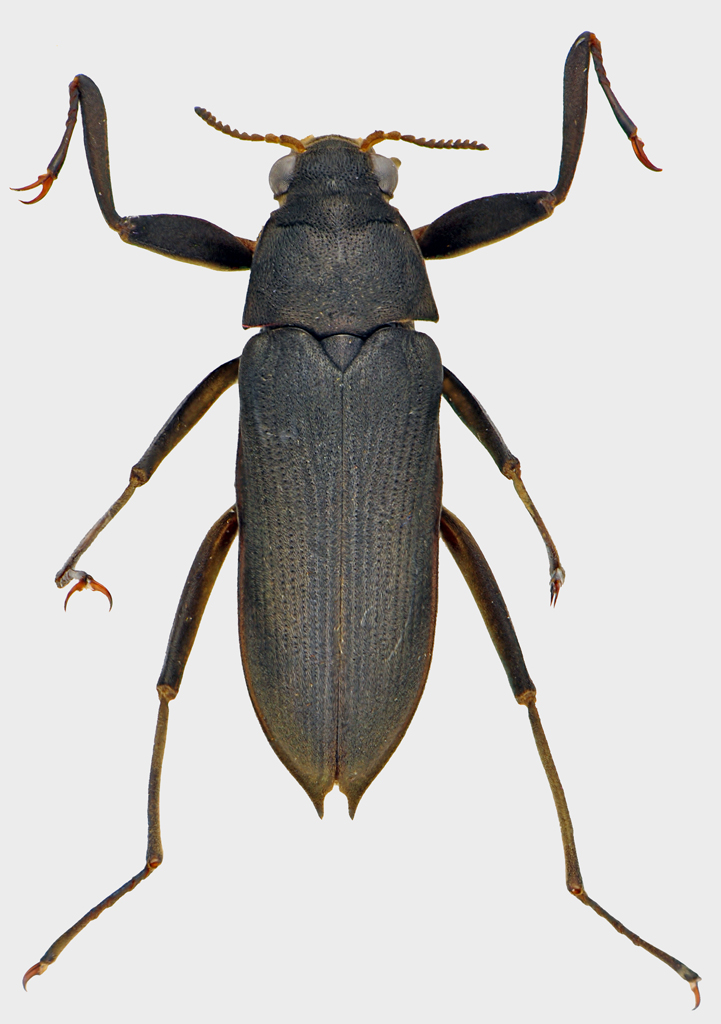
Potamodytes sp. - Elmidae

II.2011 - GABON - EE, P.N. Ivindo - Riserva Integrale d'Ipassa


nuovo argomento
rispondi
Pagina 1 di 1 [ 11 messaggi ]
Autore Messaggio
 Oggetto del messaggio: Potamodytes sp. - Elmidae
MessaggioInviato: 23/03/2011, 1:31 
Avatar utente

Iscritto il: 25/11/2009, 9:31
Messaggi: 8159
Località: Lecce
Nome: Maurizio Bollino
Dati: GABON – MAKOKOU (OGOOUE) - IVINDO N.P. – IPASSA NAT. RES. - ~ 0°30’43’’ N 12° 48’ 12’’ E - 19.II-11.III.2011 – m. 500
Dimensioni: 11 mm

Coleo-3-Gabon.jpg



Qui non so proprio dove andare a parare!!! I tarsi erano ingestibili, quindi li ho dovuti lasciare dove volevano :x :x :x

_________________
Maurizio Bollino


Top
profilo
 Oggetto del messaggio: Re: ???? - Gabon
MessaggioInviato: 23/03/2011, 2:17 
 

Iscritto il: 22/03/2011, 16:51
Messaggi: 56
Località: Francia
Nome: Mickaël FRANCOIS
It's an Elmidae, impossible for me to go further.


Top
profilo
 Oggetto del messaggio: Re: ???? - Gabon
MessaggioInviato: 23/03/2011, 8:45 
Avatar utente

Iscritto il: 30/12/2009, 22:20
Messaggi: 31564
Località: Roma
Nome: Maurizio Gigli
Effettivamente somiglia ad un Elmidae, ma mi piacerebbe sapere quanti articoli tarsali ha. Dalla foto non riesco a capire se sono 4 o 5.

_________________
Maurizio Gigli
http://utenti.romascuola.net/bups
http://bup.xoom.it/


Top
profilo
 Oggetto del messaggio: Re: ???? - Gabon
MessaggioInviato: 23/03/2011, 8:47 
Avatar utente

Iscritto il: 26/03/2010, 14:55
Messaggi: 5993
Località: Romania
Nome: Cosmin-Ovidiu Manci
Julodis ha scritto:
Effettivamente somiglia ad un Elmidae, ma mi piacerebbe sapere quanti articoli tarsali ha. Dalla foto non riesco a capire se sono 4 o 5.


credo che 5 (almeno gambe anteriori e posteriori)

_________________
Cosmin-Ovidiu Manci
**********************
cosmln's place - my blog
just insects
Dragonflies of Romania


Top
profilo
 Oggetto del messaggio: Re: Elmidae - Gabon
MessaggioInviato: 23/03/2011, 9:04 
Avatar utente

Iscritto il: 25/11/2009, 9:31
Messaggi: 8159
Località: Lecce
Nome: Maurizio Bollino
Littlebeetle23 ha scritto:
It's an Elmidae, impossible for me to go further.


Thanks Mickaël.

Julodis ha scritto:
Effettivamente somiglia ad un Elmidae, ma mi piacerebbe sapere quanti articoli tarsali ha. Dalla foto non riesco a capire se sono 4 o 5.


Dalla foto originale si vede bene che sono 5, almeno gli anteriori e posteriori. Appena posso controllo allo stereo anche i tarsi mediani.

_________________
Maurizio Bollino


Top
profilo
 Oggetto del messaggio: Re: Elmidae - Gabon
MessaggioInviato: 29/10/2012, 16:17 
Avatar utente

Iscritto il: 08/02/2010, 23:01
Messaggi: 6190
Località: Vicenza
Nome: Silvano Biondi
Maurizio, hai più controllato? (ho anch'io diversi di questi esemplari in collezione :) )

:hi:

_________________



Silvano


Top
profilo
 Oggetto del messaggio: Re: Elmidae - Gabon
MessaggioInviato: 29/10/2012, 23:48 
Avatar utente

Iscritto il: 05/02/2009, 17:31
Messaggi: 9527
Località: milano
Nome: maurizio pavesi
i miei (confermo che sono Elmidae) sono stati mandati in studio a cinzia monte, del museo "la specola" di firenze

p.s.

Cita:
...19.II-11.III.2011...

quindi sei rimasto lì altri 10 giorni :mrgreen: ? e senza dirci niente :to: ?

_________________
*****************
Immagine maurizio


Top
profilo
 Oggetto del messaggio: Re: Elmidae - Gabon
MessaggioInviato: 30/10/2012, 0:10 
Avatar utente

Iscritto il: 08/02/2010, 23:01
Messaggi: 6190
Località: Vicenza
Nome: Silvano Biondi
gomphus ha scritto:
Cita:
...19.II-11.III.2011...

quindi sei rimasto lì altri 10 giorni :mrgreen: ? e senza dirci niente :to: ?


:? :? :?

_________________



Silvano


Top
profilo
 Oggetto del messaggio: Re: Elmidae - Gabon
MessaggioInviato: 30/10/2012, 0:21 
Avatar utente

Iscritto il: 25/11/2009, 9:31
Messaggi: 8159
Località: Lecce
Nome: Maurizio Bollino
gomphus ha scritto:
i miei (confermo che sono Elmidae) sono stati mandati in studio a cinzia monte, del museo "la specola" di firenze

p.s.

Cita:
...19.II-11.III.2011...

quindi sei rimasto lì altri 10 giorni :mrgreen: ? e senza dirci niente :to: ?


2011, non 2012

_________________
Maurizio Bollino


Top
profilo
 Oggetto del messaggio: Re: Elmidae - Gabon
MessaggioInviato: 30/10/2012, 10:42 
Avatar utente

Iscritto il: 05/02/2009, 17:31
Messaggi: 9527
Località: milano
Nome: maurizio pavesi
Maurizio Bollino ha scritto:
2011, non 2012

:ses :ses :ses

_________________
*****************
Immagine maurizio


Top
profilo
 Oggetto del messaggio: Re: Elmidae - Gabon
MessaggioInviato: 01/02/2018, 18:15 
Avatar utente

Iscritto il: 07/10/2010, 19:26
Messaggi: 7
Località: Francia
Nome: Cédric Alonso
Hello,
It's a female of Potamodytes.
There are several possible species in Gabon. With a male and his aedeagus, it's easier.
I'm writting a revision of the genus. If you want me to look at your specimens, it will be with pleasure. I return the specimens after study.

Cédric Alonso
entomo34 [at] orange.fr


Top
profilo
Visualizza ultimi messaggi:  Ordina per  
nuovo argomento
rispondi
Pagina 1 di 1 [ 11 messaggi ]

Tutti gli orari sono UTC + 1 ora [ ora legale ]


Chi c’è in linea

Visitano il forum: Nessuno e 1 ospite


Non puoi aprire nuovi argomenti
Non puoi rispondere negli argomenti
Non puoi modificare i tuoi messaggi
Non puoi cancellare i tuoi messaggi
Non puoi inviare allegati

Cerca per:
Vai a: