Benvenuto Ospite

Forum Entomologi Italiani

www.entomologiitaliani.net/forum
 
Oggi è 26/04/2026, 19:09

Tutti gli orari sono UTC + 1 ora [ ora legale ]

Plecoptera sp.

20.VI.2015 - ITALIA - Basilicata - PZ, Viggiano, dintorni


nuovo argomento
rispondi
Pagina 1 di 1 [ 13 messaggi ]
Autore Messaggio
 Oggetto del messaggio: Plecoptera sp.
MessaggioInviato: 03/07/2015, 10:55 
Avatar utente

Iscritto il: 22/12/2009, 13:31
Messaggi: 9646
Località: Napoli
Nome: Francesco Izzillo
Credo sia un Plecottero, poco più di 30 mm.


DSCF8513.JPG

DSCF8512.JPG


_________________
Francesco Izzillo
Top
profilo
 Oggetto del messaggio: Re: mostro
MessaggioInviato: 03/07/2015, 13:17 
Avatar utente

Iscritto il: 13/06/2015, 13:46
Messaggi: 1684
Località: Milano
Nome: Claudio Leali
In effetti non è un gran bellezza... :mrgreen: potrebbe essere un'Isoperla? Che se non erro, è anche il genere più comune da trovare... mah?! :?
:hi: Claudio

_________________
"E' ciò che non si vede, non quello che si vede che fa paura."
Christopher Lee


Top
profilo
 Oggetto del messaggio: Re: mostro
MessaggioInviato: 03/07/2015, 13:21 
Avatar utente

Iscritto il: 22/12/2009, 13:31
Messaggi: 9646
Località: Napoli
Nome: Francesco Izzillo
TheWings ha scritto:
In effetti non è un gran bellezza... :mrgreen: potrebbe essere un'Isoperla? Che se non erro, è anche il genere più comune da trovare... mah?! :?
:hi: Claudio

Forse un po' troppo grande...ma non è certo il mio campo! :lol1:

_________________
Francesco Izzillo


Top
profilo
 Oggetto del messaggio: Re: mostro
MessaggioInviato: 03/07/2015, 13:37 
Avatar utente

Iscritto il: 19/06/2012, 14:35
Messaggi: 5666
Località: Alfonsine (RA)
Nome: Marco Villani
TheWings ha scritto:
In effetti non è un gran bellezza... :mrgreen: potrebbe essere un'Isoperla? Che se non erro, è anche il genere più comune da trovare... mah?! :?
:hi: Claudio

:no: Le Isoperla le ho sempre viste sotto i 20 mm. Questa sembrerebbe una Perlodes microcephala o una specie simile


Top
profilo
 Oggetto del messaggio: Re: mostro
MessaggioInviato: 03/07/2015, 13:53 
Avatar utente

Iscritto il: 13/06/2015, 13:46
Messaggi: 1684
Località: Milano
Nome: Claudio Leali
marco villa ha scritto:
TheWings ha scritto:
In effetti non è un gran bellezza... :mrgreen: potrebbe essere un'Isoperla? Che se non erro, è anche il genere più comune da trovare... mah?! :?
:hi: Claudio

:no: Le Isoperla le ho sempre viste sotto i 20 mm. Questa sembrerebbe una Perlodes microcephala o una specie simile


Si, in effetti avete ragione, considerando la dimensione non può essere un'Isoperla, anche come colorazione sono più chiare dell'ex. fotografato.
Vabbè, sarà per un'altra volta...

Ciao a tutti.
Claudio

_________________
"E' ciò che non si vede, non quello che si vede che fa paura."
Christopher Lee


Top
profilo
 Oggetto del messaggio: Re: mostro
MessaggioInviato: 03/07/2015, 13:58 
Avatar utente

Iscritto il: 01/07/2010, 22:26
Messaggi: 5665
Località: Viterbo
Nome: Marco Selis
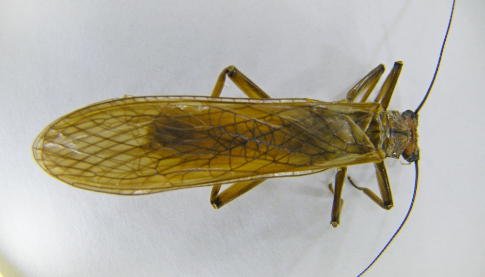
Sarebbe utile vedere la venatura alare per arrivare almeno alla famiglia ;)


Top
profilo
 Oggetto del messaggio: Re: mostro
MessaggioInviato: 03/07/2015, 14:53 
Avatar utente

Iscritto il: 22/12/2009, 13:31
Messaggi: 9646
Località: Napoli
Nome: Francesco Izzillo
Andricus ha scritto:
Sarebbe utile vedere la venatura alare per arrivare almeno alla famiglia ;)

Spero siano sufficienti queste foto.


DSCF8516.JPG

DSCF8514.JPG


_________________
Francesco Izzillo
Top
profilo
 Oggetto del messaggio: Re: mostro
MessaggioInviato: 03/07/2015, 15:14 
Avatar utente

Iscritto il: 01/07/2010, 22:26
Messaggi: 5665
Località: Viterbo
Nome: Marco Selis
Se le ali posteriori hanno un grande lobo anale allora si tratta di un Perlidae, forse del genere Dinocras.


Top
profilo
 Oggetto del messaggio: Re: mostro
MessaggioInviato: 03/07/2015, 15:45 
Avatar utente

Iscritto il: 22/12/2009, 13:31
Messaggi: 9646
Località: Napoli
Nome: Francesco Izzillo
Andricus ha scritto:
Se le ali posteriori hanno un grande lobo anale allora si tratta di un Perlidae, forse del genere Dinocras.

Grazie, poi farò altre foto e le posto.

_________________
Francesco Izzillo


Top
profilo
 Oggetto del messaggio: Re: mostro
MessaggioInviato: 03/07/2015, 21:59 
 

Iscritto il: 05/04/2014, 14:17
Messaggi: 561
Località: Casarza Ligure (Ge)
Nome: Manuela Baldari
Per curiosità...perchè "mostro":? ? Povera stella, ogni scarrafone (o Perlidae) è bello a mamma sua! :to:


Top
profilo
 Oggetto del messaggio: Re: mostro
MessaggioInviato: 03/07/2015, 22:33 
Avatar utente

Iscritto il: 22/12/2009, 13:31
Messaggi: 9646
Località: Napoli
Nome: Francesco Izzillo
Ayakuccia ha scritto:
Per curiosità...perchè "mostro":? ? Povera stella, ogni scarrafone (o Perlidae) è bello a mamma sua! :to:

Concordo ma io non sono a mamma sua! :to:

_________________
Francesco Izzillo


Top
profilo
 Oggetto del messaggio: Re: mostro
MessaggioInviato: 04/07/2015, 8:41 
 
ti piacerebbe la mamma eh :mrgreen: :mrgreen:


Top
 Oggetto del messaggio: Re: mostro
MessaggioInviato: 23/08/2015, 15:29 
Avatar utente

Iscritto il: 22/12/2009, 13:31
Messaggi: 9646
Località: Napoli
Nome: Francesco Izzillo
Se a qualcuno interessa questo Plecottero, e un altro paio di esemplari di specie diversa, me lo dica che glieli mando. :hi:

_________________
Francesco Izzillo


Top
profilo
Visualizza ultimi messaggi:  Ordina per  
nuovo argomento
rispondi
Pagina 1 di 1 [ 13 messaggi ]

Tutti gli orari sono UTC + 1 ora [ ora legale ]


Chi c’è in linea

Visitano il forum: Nessuno e 1 ospite


Non puoi aprire nuovi argomenti
Non puoi rispondere negli argomenti
Non puoi modificare i tuoi messaggi
Non puoi cancellare i tuoi messaggi
Non puoi inviare allegati

Cerca per:
Vai a: