Benvenuto Ospite

Forum Entomologi Italiani

www.entomologiitaliani.net/forum
 
Oggi è 23/12/2025, 13:28

Tutti gli orari sono UTC + 1 ora [ ora legale ]

Diapridiidae

7.VII.2010 - ITALIA - Trentino-Alto Adige - TN, Sella di Borgo Valsugana 1000m/slm su catasta di tronchi di Picea, Abies,Fagus


nuovo argomento
rispondi
Pagina 1 di 1 [ 4 messaggi ]
Autore Messaggio
 Oggetto del messaggio: Diapridiidae
MessaggioInviato: 20/02/2011, 23:49 
Avatar utente

Iscritto il: 22/05/2009, 21:00
Messaggi: 2777
Località: Pergine Valsugana (TN)
Nome: Andrea Carlin
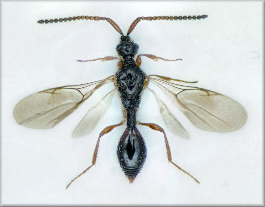
:hi: Inserisco questo piccolo imenottero (scusate la foto....) trovato nel barattolino assieme a numerosi Cerambycidi (Pachyta quadrimaculata, qualche Rhagium, ecc..) raccolti su una enorme catasta di tronchi. Chissà che a qualcuno non possa interessare! (ce ne sono 2) :ok:

lunghezza: 4,8 mm
micro imenottero.jpg


_________________
Andrea Carlin, Pergine Valsugana (TN) carlin.andrea(AT)gmail.com

Nota: tutti gli esemplari inseriti nelle discussioni aperte da me sono da ritenere "Andrea Carlin legit" se non diversamente specificato.


Top
profilo
 Oggetto del messaggio: Re: Mini imenottero del Trentino
MessaggioInviato: 21/02/2011, 0:46 
Avatar utente

Iscritto il: 06/02/2009, 9:07
Messaggi: 1706
Località: W-Mediterraneo
Nome: Davide Badano
Penso possa interessare al nostro Hemerobius!!


Top
profilo
 Oggetto del messaggio: Re: Mini imenottero del Trentino
MessaggioInviato: 21/02/2011, 10:33 
Avatar utente

Iscritto il: 02/02/2009, 23:32
Messaggi: 5645
Località: da Ferrara ad Alghero
Nome: Roberto A. Pantaleoni
Non proprio, se non per la bellezza. Dovrebbe essere un Diapridiidae (Proctotrupoideo, una volta).

Ciao Roberto :to:

_________________
verum stabile cetera fumus


Top
profilo
 Oggetto del messaggio: Re: Mini imenottero del Trentino
MessaggioInviato: 21/02/2011, 11:06 
Avatar utente

Iscritto il: 05/02/2009, 17:31
Messaggi: 9527
Località: milano
Nome: maurizio pavesi
per un attimo ieri sera, complice l'ora tarda :oooner: , avevo pensato che potesse interessare a me :mrgreen: ... la forma del capo, con le antenne inserite in quel modo, mi avevano fatto venire in mente il maschio di Embolemus ruddii :no1: ... fortunatamente un residuo di lucidità mi rimaneva ancora

_________________
*****************
Immagine maurizio


Top
profilo
Visualizza ultimi messaggi:  Ordina per  
nuovo argomento
rispondi
Pagina 1 di 1 [ 4 messaggi ]

Tutti gli orari sono UTC + 1 ora [ ora legale ]


Chi c’è in linea

Visitano il forum: Nessuno e 1 ospite


Non puoi aprire nuovi argomenti
Non puoi rispondere negli argomenti
Non puoi modificare i tuoi messaggi
Non puoi cancellare i tuoi messaggi
Non puoi inviare allegati

Cerca per:
Vai a: